|
| 釣場 |
地域 |
|
釣 果 |
釣況 |
釣 人 |
写真 |
更新 |
| 郷ノ浦 |
壱岐 |
|
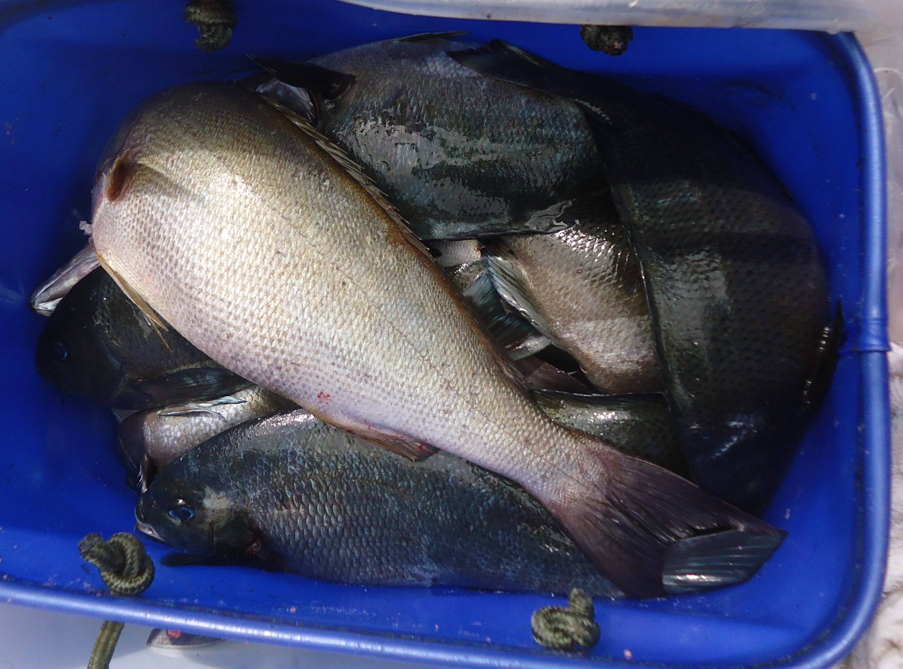
大型真鯛にクロ、イサキ!大漁でした! |
夜釣 |
米永様 |
 |
 |
11/23 |
| 郷ノ浦 |
壱岐 |
|
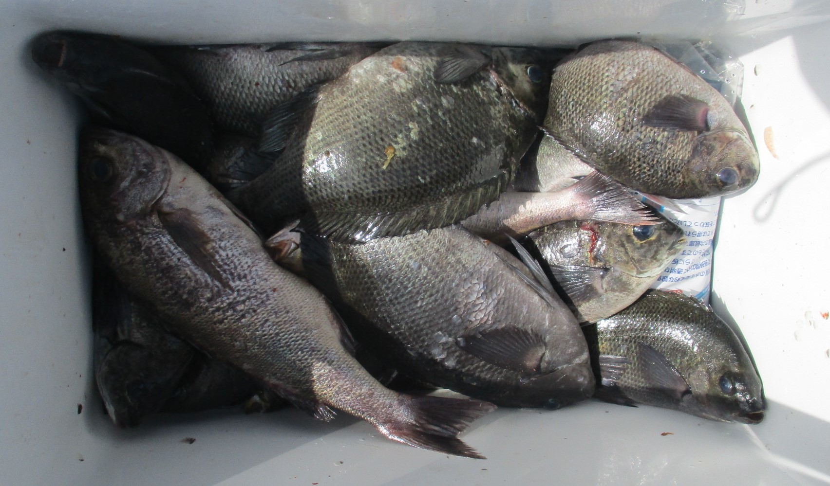
大型クロ45cm、1.4kg頭にアジも大型釣れてました! |
夜釣 |
廣田グループ様 |
 |
|
11/23 |
| 郷ノ浦 |
壱岐 |
|
クロ40cmオーバーに良型シマアジです! |
夜釣 |
首藤グループ様 |
 |
|
11/23 |
| 郷ノ浦 |
壱岐 |
|
大型のアジ!50cmクラスが数枚釣れてました! |
夜釣 |
関様 |
 |
|
11/23 |
| 郷ノ浦 |
壱岐 |
|
大型イシダイ!68cm、5.3kg!お見事でした! |
日帰 |
中村様 |
 |
 |
11/22 |
| 郷ノ浦 |
壱岐 |
|
ルアーゲーム!良型のヒラマサ、お見事! |
日帰 |
横地・小畑様 |
 |
|
11/22 |
| 郷ノ浦 |
壱岐 |
|
大型クロ46cmにシマアジも釣れてました! |
夜釣 |
龍頭・川浪様 |
 |
|
11/22 |
| 郷ノ浦 |
壱岐 |
|
ヒラマサ 142cm、21kg! ヒラマサ、ブリ、数も釣れてます!お見事でした! |
日帰 |
田中グループ様 |
 |
|
11/21 |
| 郷ノ浦 |
壱岐 |
|
ヒラマサに平スズキ!好釣果です! |
日帰 |
芝・上田様 |
 |
|
11/21 |
| 郷ノ浦 |
壱岐 |
|
クロです!良型も釣れてますよ! |
夜釣 |
古川様 |
 |
|
|
| 郷ノ浦 |
壱岐 |
|
アラにイシガキです!お見事でした! |
夜釣 |
笠井・長澤様 |
 |
|
11/17 |
| 郷ノ浦 |
壱岐 |
|
クロにネリゴです! |
夜釣 |
森田様 |
 |
|
11/17 |
| 郷ノ浦 |
壱岐 |
|
真鯛に大型クロ、イサキ!好釣果です! |
夜釣 |
河村・木本様 |
 |
|
11/16 |
| 郷ノ浦 |
壱岐 |
|
大アジにクロ、イサキ!釣れてますよ~! |
夜釣 |
薦野・宮脇様 |
 |
|
11/16 |
| 郷ノ浦 |
壱岐 |
|
大型クロ47cmに46cm!数も沢山釣れてました! |
夜釣 |
井上様 |
 |
|
11/16 |
| 郷ノ浦 |
壱岐 |
|
大アジ、50cmに48cm!デカアジ釣れてます! |
夜釣 |
古川様 |
 |
|
11/16 |
| 郷ノ浦 |
壱岐 |
|
大型イサキにクロ!クーラー満タンです! |
夜釣 |
河合様 |
 |
|
11/15 |
| 郷ノ浦 |
壱岐 |
|
イシガキにアカハタ!ガキ数釣れてました! |
夜釣 |
栄村様 |
 |
 |
11/15 |
| 郷ノ浦 |
壱岐 |
|
大アジ50cmクラスにクロも良型です!イサキも釣れてます! |
夜釣 |
右田様 |
 |
|
11/14 |
| 郷ノ浦 |
壱岐 |
|
大アジに良型クロ、イサキです!好釣果! |
夜釣 |
今泉様 |
 |
|
11/14 |
| 郷ノ浦 |
壱岐 |
|
デカアジです!数も釣れてますよ~! |
夜釣 |
山本様 |
 |
|
11/14 |
| 郷ノ浦 |
壱岐 |
|
良型真鯛に大アジ、アコウ、イサキ、クロ!クーラー満タンの好釣果です! |
夜釣 |
田中・三苫様 |
 |
|
11/13 |
| 郷ノ浦 |
壱岐 |
|
ルアーゲーム!良型のヒラマサです! |
日帰 |
長嶋様 |
 |
|
11/10 |
| 郷ノ浦 |
壱岐 |
|
ハトの釣果です!クロにイサキ、数釣りです! |
日帰 |
宮坂様 |
 |
|
11/8 |
| 郷ノ浦 |
壱岐 |
|
イシガキです! |
夜釣 |
稲田様 |
 |
|
11/6 |
| 郷ノ浦 |
壱岐 |
|
大型ヒラマサに平スズキ、ヒラゴも釣れてます! |
日帰 |
油布様 |
 |
 |
11/2 |
| 郷ノ浦 |
壱岐 |
|
良型のイサキ!ハトの釣果です! |
夜釣 |
吉武様 |
 |
|
11/2 |
| 郷ノ浦 |
壱岐 |
|
ヒラマサ82cm!お見事です! |
日帰 |
田中様 |
 |
|
11/1 |
| 郷ノ浦 |
壱岐 |
|
大型クロにデカアジ、平スズキ、イサキ!クーラー満タンの大漁です! |
夜釣 |
一ノ瀬様 |
 |
|
10/30 |
| 郷ノ浦 |
壱岐 |
|
イシガキ8匹に大型のシマアジ、イサキも大型です!イシガキも良い型してます! |
夜釣 |
栗原様 |
 |
|
10/30 |
| 郷ノ浦 |
壱岐 |
|
ヒラマサ!8kgクラスです!お見事でした! |
日帰 |
福田様 |
 |
|
10/29 |
| 郷ノ浦 |
壱岐 |
|
大型のシマアジにイサキ!50cmのアジも釣れてました! |
夜釣 |
浜地様 |
 |
|
10/29 |
| 郷ノ浦 |
壱岐 |
|
大型シマアジにイサキです! |
夜釣 |
田中様 |
 |
|
10/29 |
| 郷ノ浦 |
壱岐 |
|
大型シマアジにイサキです! |
夜釣 |
三苫様 |
 |
|
10/29 |
| 郷ノ浦 |
壱岐 |
|
デカアジ50cmオーバーにイサキも沢山釣れてました!お見事です! |
夜釣 |
河村様 |
 |
|
10/28 |
| 郷ノ浦 |
壱岐 |
|
イシガキ6匹の好釣果です! |
夜釣 |
上園様 |
 |
|
10/28 |
| 郷ノ浦 |
壱岐 |
|
朝のみ短時間でイシガキ7匹です!良い型してます、好釣果! |
日帰 |
山口様 |
 |
|
10/26 |
| 郷ノ浦 |
壱岐 |
|
沖ハトです!ネリゴにクロ、サンバソウ! |
日帰 |
岩永様 |
 |
|
10/26 |
| 郷ノ浦 |
壱岐 |
|
大型クロです!好釣果でした! |
日帰 |
長岡様 |
 |
|
10/25 |
| 郷ノ浦 |
壱岐 |
|
イサキにクロ44cm、1.2kg! |
夜釣 |
吉開・武藤様 |
 |
|
10/25 |
| 郷ノ浦 |
壱岐 |
|
イシガキにチヌです!好釣果! |
夜釣 |
上田様 |
 |
 |
10/12 |
| 郷ノ浦 |
壱岐 |
|
イシガキです!良型ですよ~! |
夜釣 |
道竿様 |
 |
|
10/12 |
| 郷ノ浦 |
壱岐 |
|
良型の真鯛にイサキ!お見事でした! |
夜釣 |
杢尾様 |
 |
|
10/12 |
| 郷ノ浦 |
壱岐 |
|
イサキにクロです! |
夜釣 |
梶原様 |
 |
|
10/12 |
| 郷ノ浦 |
壱岐 |
|
キハダマグロ、3本です!なかなかのサイズでしたよ~!お見事でした! |
日帰 |
土谷様 |
 |
 |
10/11 |
| 郷ノ浦 |
壱岐 |
|
イサキにクロ!大型イサキにクロも40弱の良型釣れてました! |
夜釣 |
荒巻・吉武様 |
 |
|
10/6 |
| 郷ノ浦 |
壱岐 |
|
ヒラマサです!お見事でした! |
日帰 |
加納様 |
 |
 |
10/1 |
| 郷ノ浦 |
壱岐 |
|
良型イサキ!沢山釣れてました!イサキ、好調ですよ~! |
夜釣 |
右田様 |
 |
|
10/1 |
| 郷ノ浦 |
壱岐 |
|
イサキをメインに色々釣れてました!相変わらずの好釣果です! |
夜釣 |
柴垣様 |
 |
|
10/1 |
| 郷ノ浦 |
壱岐 |
|
イサキにクロ!ハトの釣果です! |
夜釣 |
山本様 |
 |
|
10/1 |
| 郷ノ浦 |
壱岐 |
|
アラです!お見事でした! |
夜釣 |
長澤様 |
 |
|
9/29 |
| 郷ノ浦 |
壱岐 |
|
イサキにクロ!数釣れてましたよ~! |
夜釣 |
大橋グループ様 |
 |
|
9/28 |
| 郷ノ浦 |
壱岐 |
|
大型イサキ40cmオーバーです!クーラー満タンでしたよ~!3㎏位の真鯛も下にいます! |
夜釣 |
吉福様 |
 |
|
9/27 |
| 郷ノ浦 |
壱岐 |
|
4kgのアラに2kgのアラ2匹です!お見事です! |
夜釣 |
秦グループ様 |
 |
|
9/25 |
| 郷ノ浦 |
壱岐 |
|
大型クロにイサキ、根魚!好釣果です! |
夜釣 |
杢尾様 |
 |
 |
9/21 |
| 郷ノ浦 |
壱岐 |
|
イサキにタイです!イサキ釣れてますよ~! |
夜釣 |
徳永様 |
 |
|
9/16 |
| 郷ノ浦 |
壱岐 |
|
大型イサキ!大漁でしたよ~! |
夜釣 |
薦野様 |
 |
|
9/15 |
| 郷ノ浦 |
壱岐 |
|
イサキにクロ!イサキ釣れてます! |
夜釣 |
宮脇様 |
 |
|
9/15 |
| 郷ノ浦 |
壱岐 |
|
イシガキ!お見事です! |
日帰 |
竹藤様 |
 |
|
9/15 |
| 郷ノ浦 |
壱岐 |
|
イシガキに大型のイサキ、お見事です! |
夜釣 |
森田グループ様 |
 |
|
9/8 |
| 郷ノ浦 |
壱岐 |
|
イサキ!暑い中お疲れ様でした! |
夜釣 |
古川様 |
 |
|
9/7 |
| 郷ノ浦 |
壱岐 |
|
イサキ!良型釣れてますよ~! |
夜釣 |
河合様 |
 |
|
8/30 |
| 郷ノ浦 |
壱岐 |
|
イサキです!好釣果です! |
夜釣 |
古川様 |
 |
|
8/24 |
| 郷ノ浦 |
壱岐 |
|
大型イサキ、大漁でしたよ~! |
夜釣 |
一ノ瀬様 |
 |
|
8/17 |
| 郷ノ浦 |
壱岐 |
|
大型イサキ!釣れてますよ~! |
夜釣 |
寺上様 |
 |
|
8/17 |
| 郷ノ浦 |
壱岐 |
|
アラ2匹です!お見事でした! |
夜釣 |
杢尾様 |
 |
 |
8/14 |
| 郷ノ浦 |
壱岐 |
|
イサキにクロです!時化の中お疲れ様でした! |
夜釣 |
館林様 |
 |
|
8/9 |
| 郷ノ浦 |
壱岐 |
|
イサキにクロ!大漁でしたよ~! |
夜釣 |
加賀田グループ様 |
 |
|
7/31 |
| 郷ノ浦 |
壱岐 |
|
石鯛にイシガキです!お見事! |
日帰 |
川内様 |
 |
|
7/27 |
| 郷ノ浦 |
壱岐 |
|
クーラー満タンの釣果です!イサキに40オーバーのクロも釣れてました!イサキ絶好調です! |
夜釣 |
中原様 |
 |
|
7/20 |
| 郷ノ浦 |
壱岐 |
|
大型クロにイサキ!イサキも良型です! |
夜釣 |
古川様 |
 |
|
7/20 |
| 郷ノ浦 |
壱岐 |
|
大型イサキ!大漁ですよ~!フカセでの釣果! |
夜釣 |
首藤グループ様 |
 |
 |
7/19 |
| 郷ノ浦 |
壱岐 |
|
イサキ、クーラー満タンの好釣果!! |
夜釣 |
坂本様 |
 |
|
7/13 |
| 郷ノ浦 |
壱岐 |
|
大型イサキ!好釣果です! |
夜釣 |
遠藤様 |
 |
|
7/13 |
| 郷ノ浦 |
壱岐 |
|
ルアーでの平スズキ、80cmの大物です!イサキも釣れてました! |
日帰 |
永尾様 |
 |
|
7/12 |
| 郷ノ浦 |
壱岐 |
|
良型イサキ!釣れてますよ~! |
夜釣 |
中本様 |
 |
|
7/9 |
| 郷ノ浦 |
壱岐 |
|
イサキ!良い型してます! |
夜釣 |
岩佐様 |
 |
|
7/8 |
| 郷ノ浦 |
壱岐 |
|
大型イサキ!好釣果でした! |
夜釣 |
廣田・中村・永様 |
 |
|
7/6 |
| 郷ノ浦 |
壱岐 |
|
イサキにクロ!クーラー満タンの釣果です! |
夜釣 |
吉開様 |
 |
|
7/5 |
| 郷ノ浦 |
壱岐 |
|
イサキにクロ!大型イサキも釣れてますよ~! |
夜釣 |
武藤様 |
 |
|
7/5 |
| 郷ノ浦 |
壱岐 |
|
大型クロ、40オーバー2匹にイサキも大型です! |
夜釣 |
河合グループ様 |
 |
|
7/5 |
| 郷ノ浦 |
壱岐 |
|
ハトの釣果です!良型イサキ釣れてました! |
夜釣 |
吉住様 |
 |
|
7/4 |
| 郷ノ浦 |
壱岐 |
|
相変わらず一人でクーラー2個分の大漁です!イサキ、大型も沢山釣れてました! |
夜釣 |
荒磯様 |
 |
|
7/2 |
| 郷ノ浦 |
壱岐 |
|
大漁ですよ~!大型イサキに良型クロ、見事な釣果です! |
夜釣 |
御厨様 |
 |
|
7/2 |
| 郷ノ浦 |
壱岐 |
|
クロ40cmオーバーに大型イサキ!好釣果! |
夜釣 |
白木様 |
 |
|
7/2 |
| 郷ノ浦 |
壱岐 |
|
イサキ!大型釣れてます! |
夜釣 |
徳永様 |
 |
|
7/1 |
| 郷ノ浦 |
壱岐 |
|
イサキ!好調ですよ~! |
夜釣 |
藤木様 |
 |
|
7/1 |
| 郷ノ浦 |
壱岐 |
|
カンダイにイサキ!好釣果です! |
夜釣 |
田中様 |
 |
|
6/30 |
| 郷ノ浦 |
壱岐 |
|
イサキ釣れてますよ~!お見事! |
夜釣 |
河村様 |
 |
|
6/29 |
| 郷ノ浦 |
壱岐 |
|
良型のアラにイサキも沢山釣れてます! |
夜釣 |
和嶋様 |
 |
|
6/29 |
| 郷ノ浦 |
壱岐 |
|
良型クロにイサキ!好釣果です! |
夜釣 |
満保様 |
 |
|
6/29 |
| 郷ノ浦 |
壱岐 |
|
大型イサキ!丸々してますよ~! |
夜釣 |
古田様 |
 |
|
6/29 |
| 郷ノ浦 |
壱岐 |
|
大型イサキに良型のクロ!見事な釣果です! |
夜釣 |
松本・東様 |
 |
|
6/28 |
| 郷ノ浦 |
壱岐 |
|
真鯛にイサキ、クロ!好釣果です! |
夜釣 |
山本・右田様 |
 |
|
6/28 |
| 郷ノ浦 |
壱岐 |
|
イサキ、クロ、チヌ!釣れてますよ~! |
夜釣 |
松原様 |
 |
|
6/28 |
| 郷ノ浦 |
壱岐 |
|
イサキ、クロ!イサキ釣れてます! |
夜釣 |
長野様 |
 |
|
6/28 |
| 郷ノ浦 |
壱岐 |
|
大漁です!大型イサキにアラカブです!一人でクーラー2個の釣果です! |
夜釣 |
荒磯様 |
 |
|
6/20 |
| 郷ノ浦 |
壱岐 |
|
良型イサキ!沢山釣れてますよ~! |
夜釣 |
古川様 |
 |
|
6/20 |
| 郷ノ浦 |
壱岐 |
|
アラにクロ!クロ40cm後半の大型です! |
夜釣 |
小材様 |
 |
|
6/20 |
| 郷ノ浦 |
壱岐 |
|
大型のアジにクロも40cmオーバー、イサキも良く釣れてます!大漁、お見事でした! |
夜釣 |
荒磯様 |
 |
|
|
| 郷ノ浦 |
壱岐 |
|
大型クロにデカアジも釣れてますよ~! |
夜釣 |
中本様 |
 |
|
6/9 |
| 郷ノ浦 |
壱岐 |
|
イサキにクロ!好釣果です! |
夜釣 |
坂本様 |
 |
|
6/8 |
| 郷ノ浦 |
壱岐 |
|
デカアジにイサキ、クロ、チヌです! |
夜釣 |
宮脇・薦野様 |
 |
|
6/8 |
| 郷ノ浦 |
壱岐 |
|
大型の尾長!複数釣れてます! |
日帰 |
福田・山口様 |
 |
|
6/7 |
| 郷ノ浦 |
壱岐 |
|
大型真鯛85cm、6.4kg!イサキ、クロです! |
夜釣 |
一ノ瀬・河合様 |
 |
 |
6/6 |
| 郷ノ浦 |
壱岐 |
|
イサキにクロ!数釣れてますよ~! |
夜釣 |
右田グループ様 |
 |
|
6/5 |
| 郷ノ浦 |
壱岐 |
|
デカアジにイサキ、クロ!イサキ今からです! |
夜釣 |
徳永様 |
 |
|
6/2 |
| 郷ノ浦 |
壱岐 |
|
石鯛57cm、3.3kg!お見事です! |
夜釣 |
飯地様 |
 |
|
6/1 |
| 郷ノ浦 |
壱岐 |
|
石鯛2.4kg!お見事です! |
夜釣 |
阿部様 |
 |
|
6/1 |
| 郷ノ浦 |
壱岐 |
|
大型真鯛にカンダイ、クロも大型釣れてます! |
夜釣 |
橋本・西野様 |
 |
|
6/1 |
| 郷ノ浦 |
壱岐 |
|
大型真鯛にイサキ!好釣果です! |
夜釣 |
古田様 |
 |
|
6/1 |
| 郷ノ浦 |
壱岐 |
|
イサキ、数釣れてますよ~!型も良いです! |
夜釣 |
吉開様 |
 |
|
5/30 |
| 郷ノ浦 |
壱岐 |
|
大型クロ40cmオーバー!お見事です! |
夜釣 |
武藤様 |
 |
|
5/30 |
| 郷ノ浦 |
壱岐 |
|
大アジ46cmにクロ45cm、イサキも大型で数も出てましたよ~!見事な釣果です! |
夜釣 |
荒磯様 |
 |
 |
5/28 |
| 郷ノ浦 |
壱岐 |
|
真鯛に大型イサキ!柴垣さん沖ハトで何時も良く釣ってます!流石です! |
夜釣 |
柴垣様 |
 |
|
5/28 |
| 郷ノ浦 |
壱岐 |
|
大型クロ!40cmクラスが数枚釣れてました! |
夜釣 |
河村様 |
 |
|
5/28 |
| 郷ノ浦 |
壱岐 |
|
良型イサキです!イサキ今から良くなってきますよ! |
夜釣 |
今泉様 |
 |
|
5/28 |
| 郷ノ浦 |
壱岐 |
|
クロです!お疲れ様でした! |
夜釣 |
木本様 |
 |
|
5/28 |
| 郷ノ浦 |
壱岐 |
|
大型イサキにクロ!大漁でした!皆さん好釣果おめでとうございます! |
夜釣 |
田中グループ様 |
 |
 |
5/27 |
| |
 |
|
| 郷ノ浦 |
壱岐 |
|
イサキ!良い型してますよ~! |
日帰 |
大曲様 |
 |
|
|
| 郷ノ浦 |
壱岐 |
|
良型の平スズキにイサキ、タイ、クロ!好釣果おめでとうございます! |
夜釣 |
岡崎グループ様 |
 |
 |
5/19 |
| 郷ノ浦 |
壱岐 |
|
大型クロにイサキです! |
日帰 |
山口・長嶋様 |
 |
|
5/18 |
| 郷ノ浦 |
壱岐 |
|
大漁でした!イサキにクロ! |
夜釣 |
今泉・荒磯様 |
 |
|
5/14 |
| 郷ノ浦 |
壱岐 |
|
真鯛にイサキ!お見事でした~! |
夜釣 |
中村様 |
 |
 |
5/14 |
| 郷ノ浦 |
壱岐 |
|
大型クロに大型イサキ!好釣果、お見事です! |
夜釣 |
河村様 |
 |
|
5/8 |
| 郷ノ浦 |
壱岐 |
|
良型クロ35cmクラスです!イサキもいますよ! |
夜釣 |
木本様 |
 |
|
5/8 |
| 郷ノ浦 |
壱岐 |
|
真鯛に大型イサキ!見事な釣果です! |
夜釣 |
橋本グループ様 |
 |
 |
5/7 |
| 郷ノ浦 |
壱岐 |
|
良型のヒラマサ86cm!お見事でした~! |
日帰 |
武山グループ様 |
 |
|
5/5 |
| 郷ノ浦 |
壱岐 |
|
良型イサキ!数釣れてました! |
夜釣 |
松隈様 |
 |
|
5/5 |
| 郷ノ浦 |
壱岐 |
|
トウヘイにイサキ、アラカブの釣果です! |
夜釣 |
杢尾様 |
 |
|
5/5 |
| 郷ノ浦 |
壱岐 |
|
真鯛にイサキ!好釣果でした! |
日帰 |
大工園様 |
 |
|
5/5 |
| 郷ノ浦 |
壱岐 |
|
クロにイサキです! |
日帰 |
長嶋様 |
 |
|
5/5 |
| 郷ノ浦 |
壱岐 |
|
良型のカンダイです! |
夜釣 |
谷頭様 |
 |
|
5/5 |
| 郷ノ浦 |
壱岐 |
|
良型の真鯛にイサキ!お見事! |
日帰 |
寒川様 |
 |
|
5/4 |
| 郷ノ浦 |
壱岐 |
|
大漁です!クロ49cm頭で大型釣れてます!チヌも大漁でした!流石の釣果です! |
夜釣 |
一ノ瀬様 |
 |
 |
5/1 |
| 郷ノ浦 |
壱岐 |
|
平スズキ70cmオーバーです!お見事! |
日帰 |
岩澤様 |
 |
|
5/1 |
| 郷ノ浦 |
壱岐 |
|
大型クロ!他にも大型のクロ釣れてました! |
夜釣 |
井上様 |
 |
 |
4/30 |
| 郷ノ浦 |
壱岐 |
|
ルアーゲーム!平スズキにチヌ、イサキです! |
日帰 |
長澤グループ様 |
 |
 |
4/29 |
| 郷ノ浦 |
壱岐 |
|
良型クロ40cm弱にチヌ!好釣果です! |
夜釣 |
牧野・加来様 |
 |
|
4/28 |
| 郷ノ浦 |
壱岐 |
|
大型チヌ、クロも良型です! |
夜釣 |
梶原様 |
 |
|
4/28 |
| 郷ノ浦 |
壱岐 |
|
大型クロ1.6kg!チヌも釣れてました! |
日帰 |
小畑様 |
 |
|
4/28 |
| 郷ノ浦 |
壱岐 |
|
クロにチヌ、イサキです! |
日帰 |
山口様 |
 |
|
4/28 |
| 郷ノ浦 |
壱岐 |
|
良型のイサキ釣れてますよ~! |
日帰 |
市川様 |
 |
|
4/28 |
| 郷ノ浦 |
壱岐 |
|
ハトのイサキです!大型で数釣れてました! |
夜釣 |
田中様 |
 |
|
4/27 |
| 郷ノ浦 |
壱岐 |
|
クロにチヌです! |
夜釣 |
東江様 |
 |
|
4/27 |
| 郷ノ浦 |
壱岐 |
|
クロ、イサキ、チヌです! |
夜釣 |
中村様 |
 |
|
4/27 |
| 郷ノ浦 |
壱岐 |
|
クロ、チヌ、イサキ!好釣果でした! |
夜釣 |
松崎・渋田様 |
 |
 |
4/25 |
| 郷ノ浦 |
壱岐 |
|
ヒラマサ9kgに大型クロ40オーバー複数釣れてます!好釣果お見事です! |
夜釣 |
芳賀グループ様 |
 |
 |
4/21 |
| 郷ノ浦 |
壱岐 |
|
アラカブ大漁です!チヌに真鯛も釣れてました! |
夜釣 |
石田グループ様 |
 |
|
4/21 |
| 郷ノ浦 |
壱岐 |
|
クロにイサキ、チヌです! |
夜釣 |
大黒様 |
 |
|
4/21 |
| 郷ノ浦 |
壱岐 |
|
大型クロ40オーバー複数釣れてますよ~! |
夜釣 |
御厨様 |
 |
|
4/20 |
| 郷ノ浦 |
壱岐 |
|
チヌにクロ!良い型してます! |
夜釣 |
古田様 |
 |
|
4/20 |
| 郷ノ浦 |
壱岐 |
|
大型クロ45cmにチヌです! |
日帰 |
岩永グループ様 |
 |
 |
4/19 |
| 郷ノ浦 |
壱岐 |
|
クロにイサキ!好釣果! |
日帰 |
池松様 |
 |
|
4/12 |
| 郷ノ浦 |
壱岐 |
|
良型の真鯛釣れてます!クロ、イサキも良型いますよ! |
夜釣 |
岡崎・松原様 |
 |
 |
4/12 |
| 郷ノ浦 |
壱岐 |
|
大型クロ43cm、1.1kgに40cm1.0kg! |
日帰 |
池松様 |
 |
|
4/11 |
| 郷ノ浦 |
壱岐 |
|
クロ、イサキ、チヌです! |
日帰 |
ヒナ様 |
 |
|
4/11 |
| 郷ノ浦 |
壱岐 |
|
大型真鯛、83cm、6.5kg!サクラ鯛お見事! |
日帰 |
長嶋様 |
 |
|
4/6 |
| 郷ノ浦 |
壱岐 |
|
大型の春マサですよ~!90cmオーバー、お見事です! |
日帰 |
田中様 |
 |
|
3/31 |
| 郷ノ浦 |
壱岐 |
|
平スズキにクロも40オーバーの大物です!チヌも釣れてました!好釣果! |
日帰 |
植村様 |
 |
|
3/31 |
| 郷ノ浦 |
壱岐 |
|
大型チヌにクロです! |
日帰 |
山口様 |
 |
|
3/31 |
| 郷ノ浦 |
壱岐 |
|
チヌ!釣れてますよ~!お見事! |
夜釣 |
柳原様 |
 |
|
3/31 |
| 郷ノ浦 |
壱岐 |
|
良型の真鯛にイサキもデカいです!サクラ鯛の季節が始まりますよ~! |
日帰 |
寒川様 |
 |
|
3/29 |
| 郷ノ浦 |
壱岐 |
|
良型のチヌにクロです!お見事! |
夜釣 |
吉開様 |
 |
|
3/22 |
| 郷ノ浦 |
壱岐 |
|
クロにチヌ、アラカブも釣れてましたよ~! |
夜釣 |
山本様 |
 |
|
3/13 |
| 郷ノ浦 |
壱岐 |
|
大型の口太クロ52cm、2.4kg!お腹パンパンでした!チヌも釣れてましたよ~!お見事です! |
日帰 |
結城様 |
|
|
3/11 |
| 郷ノ浦 |
壱岐 |
|
大型クロ45cm前後が沢山釣れてますよ~!ササイカのおまけ付き、メバルも大型でした!好釣果おめでとうございます! |
夜釣 |
重信グループ様 |
 |
 |
3/1 |
| 郷ノ浦 |
壱岐 |
|
大型クロ49cm、2.1kg!流石です! |
日帰 |
田山様 |
 |
 |
3/1 |
| 郷ノ浦 |
壱岐 |
|
良型の真鯛に大型クロ! |
夜釣 |
御厨様 |
 |
|
3/1 |
| 郷ノ浦 |
壱岐 |
|
クロ、良い型してます!お見事です! |
夜釣 |
松崎様 |
 |
|
3/1 |
| 郷ノ浦 |
壱岐 |
|
大型クロ、45cm位が複数釣れてます! |
日帰 |
山口様 |
 |
|
3/1 |
| 郷ノ浦 |
壱岐 |
|
大型クロに巨大なチヌ、60cmは確実にありましたよ~! |
日帰 |
長嶋様 |
 |
|
3/1 |
| 郷ノ浦 |
壱岐 |
|
大型クロ!好釣果です! |
日帰 |
竹松様 |
 |
|
2/28 |
| 郷ノ浦 |
壱岐 |
|
爆釣です!49cm頭で40オーバーばかりでキーパーバッカン満タンの大爆釣!凄かったです! |
日帰 |
山口様 |
 |
 |
2/27 |
| 郷ノ浦 |
壱岐 |
|
大型クロ40cmクラスの型揃いです!お見事! |
日帰 |
市川様 |
 |
|
2/27 |
| 郷ノ浦 |
壱岐 |
|
大型クロ45cm!40オーバー数釣れてますよ~!好釣果です! |
日帰 |
小畑様 |
 |
|
2/27 |
| 郷ノ浦 |
壱岐 |
|
大型クロ49cmです!丸々してましたよ! |
夜釣 |
中村様 |
 |
|
2/23 |
| 郷ノ浦 |
壱岐 |
|
大型クロ46cmにイサキ!お見事です! |
夜釣 |
永様 |
 |
|
2/23 |
| 郷ノ浦 |
壱岐 |
|
良型の真鯛です!お見事! |
夜釣 |
廣田様 |
 |
|
2/23 |
| 郷ノ浦 |
壱岐 |
|
大漁ですね~!デカいのもいますよ~! |
日帰 |
李グループ様 |
 |
|
2/20 |
| 郷ノ浦 |
壱岐 |
|
大型クロ48cm頭です!好釣果! |
日帰 |
李グループ様 |
 |
|
2/19 |
| 郷ノ浦 |
壱岐 |
|
大型クロにイサキ!釣れてました! |
日帰 |
李グループ様 |
 |
|
2/18 |
| 郷ノ浦 |
壱岐 |
|
大型クロ49cm頭!好釣果でしたよ~! |
日帰 |
山口様 |
 |
|
2/15 |
| 郷ノ浦 |
壱岐 |
|
大型クロ!お見事でした~! |
日帰 |
鋸崎様 |
 |
|
2/15 |
| 郷ノ浦 |
壱岐 |
|
大型クロ42.5cm!おめでとうございます! |
日帰 |
長岡様 |
 |
|
2/15 |
| 郷ノ浦 |
壱岐 |
|
沖防の釣果です!真鯛にクロ、良型でしたよ!アラカブも大漁でした! |
夜釣 |
右田・山本様 |
 |
|
2/15 |
| 郷ノ浦 |
壱岐 |
|
クロ、数釣れてました! |
日帰 |
長嶋様 |
 |
|
2/2 |
| 郷ノ浦 |
壱岐 |
|
クロにチヌ、良型のアジも釣れてました! |
夜釣 |
大川グループ様 |
 |
|
2/1 |
| 郷ノ浦 |
壱岐 |
|
大型クロ45cm頭、好釣果でした! |
日帰 |
長嶋様 |
 |
|
1/26 |
| 郷ノ浦 |
壱岐 |
|
良型クロ!40cm前後の型揃いです!お見事! |
夜釣 |
古田様 |
 |
|
1/26 |
| 郷ノ浦 |
壱岐 |
|
大型クロ44cm、1.3kgに41cm、1.0kg! |
夜釣 |
吉開・武藤様 |
 |
|
1/25 |
| 郷ノ浦 |
壱岐 |
|
クロ42cm!2日目もまずまずの釣果です! |
日帰 |
佐村・小屋様 |
 |
|
1/24 |
| 郷ノ浦 |
壱岐 |
|
大型クロ49.5cm! おめでとうございます! |
夜釣 |
吉武様 |
 |
|
1/23 |
| 郷ノ浦 |
壱岐 |
|
大型クロ45cm、1.6kg!イサキも釣れてました! |
日帰 |
山口様 |
 |
|
1/23 |
| 郷ノ浦 |
壱岐 |
|
クロ!良型釣れてますよ~! |
日帰 |
小屋・佐村様 |
 |
|
1/23 |
| 郷ノ浦 |
壱岐 |
|
大型クロ45cm2匹、好釣果です! |
日帰 |
清川様 |
 |
|
1/22 |
| 郷ノ浦 |
壱岐 |
|
良型のクロのみ持ち帰りです、1.0kg! |
日帰 |
星山様 |
 |
|
1/21 |
| 郷ノ浦 |
壱岐 |
|
クロ!数釣れてました! |
夜釣 |
水野様 |
 |
|
1/21 |
| 郷ノ浦 |
壱岐 |
|
ルアーゲーム!良型のサワラ105cmにヤズ、ヒラゴです!お見事でした! |
夜釣 |
田中様 |
 |
|
1/19 |
| 郷ノ浦 |
壱岐 |
|
大型クロ、釣れてますよ~! |
夜釣 |
美林様 |
 |
|
1/19 |
| 郷ノ浦 |
壱岐 |
|
クロ42cm頭です!数釣れてました! |
夜釣 |
龍頭・甲斐様 |
 |
|
1/19 |
| 郷ノ浦 |
壱岐 |
|
クロ!数釣れてます、良型も釣れてますよ~! |
夜釣 |
松崎・満保様 |
 |
|
1/19 |
| 郷ノ浦 |
壱岐 |
|
大型クロ!お見事です! |
日帰 |
長嶋様 |
 |
|
1/19 |
| 郷ノ浦 |
壱岐 |
|
良型クロ40cmにアオリイカ10杯!大漁でした! |
夜釣 |
重信・田中様 |
 |
 |
1/18 |
| 郷ノ浦 |
壱岐 |
|
クロ40オーバーにヒラゴです! |
日帰 |
結城様 |
 |
|
1/18 |
| 郷ノ浦 |
壱岐 |
|
真鯛に青物です!お見事でした! |
日帰 |
長嶋様 |
 |
|
1/13 |
| 郷ノ浦 |
壱岐 |
|
良型のクロ40cm釣れてますよ~! |
夜釣 |
三原様 |
 |
|
1/12 |
| 郷ノ浦 |
壱岐 |
|
真鯛2.6kgにイサキです!イサキ、大型でした! |
日帰 |
福田様 |
 |
|
1/7 |
| 郷ノ浦 |
壱岐 |
|
大型のイサキにクロ、チヌです! |
日帰 |
山口様 |
 |
|
1/7 |
| 郷ノ浦 |
壱岐 |
|
クロ!釣れてましたよ~!40cmクラスがバッカンいっぱいです!好釣果! |
日帰 |
山口様 |
 |
|
1/5 |
| 郷ノ浦 |
壱岐 |
|
良型真鯛にイサキ、クロ!好釣果です! |
夜釣 |
下川様 |
 |
|
1/5 |
| 郷ノ浦 |
壱岐 |
|
良型の真鯛にイサキです! |
夜釣 |
白木様 |
 |
|
1/5 |
| 郷ノ浦 |
壱岐 |
|
真鯛にクロ!良型ですよ~! |
夜釣 |
御厨様 |
 |
|
1/3 |
| 郷ノ浦 |
壱岐 |
|
大型クロ49cm頭で40オーバー複数釣れてます!好釣果おめでとうございます! |
日帰 |
野畑様 |
 |
|
1/4 |
| 郷ノ浦 |
壱岐 |
|
クロ50cm弱の大型ですよ~!イサキも釣れてました!クーラー満タンです! |
夜釣 |
小黒様 |
 |
|
1/4 |
| 郷ノ浦 |
壱岐 |
|
青物にクロ!お疲れ様でした! |
日帰 |
岩永グループ様 |
 |
|
1/4 |
| 郷ノ浦 |
壱岐 |
|
良型のクロ、釣れてますよ~! |
日帰 |
松永様 |
 |
|
1/3 |
| 郷ノ浦 |
壱岐 |
|
ヒラゴ63cmです! |
日帰 |
藤高様 |
 |
|
1/3 |
| 郷ノ浦 |
壱岐 |
|
クロ!良型もいます! |
日帰 |
牟田崎様 |
 |
|
1/3 |
| 郷ノ浦 |
壱岐 |
|
大型クロ40cm後半の大型2匹釣れてました! |
夜釣 |
久保グループ様 |
 |
|
1/2 |
| 郷ノ浦 |
壱岐 |
|
イサキ釣れてます! 40cm位の良型のクロも1、2匹ずつ釣れてます! |
日帰 |
篠﨑・中嶋・篠﨑様 |
 |
 |
1/2 |
| 郷ノ浦 |
壱岐 |
|
クロに青物も釣れてました! |
夜釣 |
川原様 |
 |
|
1/2 |
| 郷ノ浦 |
壱岐 |
|
ボチボチサイズのクロですが数釣れてます! |
日帰 |
石井様 |
 |
|
1/1 |
| 郷ノ浦 |
壱岐 |
|
大型のカンダイに石鯛です! |
夜釣 |
木尾様 |
 |
 |
12/30 |
| 郷ノ浦 |
壱岐 |
|
クロ40オーバーにイサキ、タイです! |
夜釣 |
廣田様 |
 |
|
12/30 |
| 郷ノ浦 |
壱岐 |
|
ヤズにヒラゴです!時化の中お疲れ様でした! |
日帰 |
中元様 |
 |
|
12/30 |
| 郷ノ浦 |
壱岐 |
|
クロにイサキ! |
日帰 |
篠﨑様 |
 |
|
12/30 |
| 郷ノ浦 |
壱岐 |
|
クロ40後半にイサキ、タイが大漁でした! |
日帰 |
長岡様 |
 |
 |
12/29 |
| 郷ノ浦 |
壱岐 |
|
大型クロ49cmが2匹つれてます!イサキも釣れてましたよ~!好釣果でした! |
日帰 |
鋸崎様 |
 |
|
12/29 |
| 郷ノ浦 |
壱岐 |
|
ルアー!良型ヒラマサ85cm釣れてますよ~! |
日帰 |
高村様 |
 |
|
12/29 |
| 郷ノ浦 |
壱岐 |
|
良型の真鯛です!お見事でした! |
日帰 |
長嶋様 |
 |
|
12/29 |
| 郷ノ浦 |
壱岐 |
|
ルアーゲーム!ヒラゴです! |
日帰 |
藤川様 |
 |
|
12/28 |
| 郷ノ浦 |
壱岐 |
|
ヒラマサ79cm!お見事でした! |
日帰 |
藤川・福元様 |
 |
|
12/26 |
| 郷ノ浦 |
壱岐 |
|
大型クロ!口太49cm、43cmに尾長44cmです!時化の中お見事でした! |
日帰 |
古川様 |
 |
 |
12/25 |
| 郷ノ浦 |
壱岐 |
|
特大のヒラマサ 1m20cmですよ~!大時化の中見事な1本です!ヒラゴも釣れてました! |
日帰 |
ハイサイ様 |
 |
|
12/21 |
| 郷ノ浦 |
壱岐 |
|
良型青物釣れてますよ~!ブリにヒラス! |
日帰 |
明石グループ様 |
 |
 |
12/21 |
| 郷ノ浦 |
壱岐 |
|
ルアー好釣果でした!80cmオーバーのヒラスにブリです!リリースもしてますからね! |
日帰 |
平野グループ様 |
 |
 |
12/20 |
| 郷ノ浦 |
壱岐 |
|
大型クロ釣れてますよ~!40オーバー3匹釣れてました!イサキも良型です! |
夜釣 |
古川様 |
 |
 |
12/18 |
| 郷ノ浦 |
壱岐 |
|
大型クロにイサキです! |
夜釣 |
大川様 |
 |
 |
12/18 |
| 郷ノ浦 |
壱岐 |
|
サンバソウにイシガキ、キジハタです! |
夜釣 |
館林様 |
 |
|
12/15 |
| 郷ノ浦 |
壱岐 |
|
良型のヒラマサ86cm!お見事! |
夜釣 |
古田様 |
 |
|
12/15 |
| 郷ノ浦 |
壱岐 |
|
平スズキにヒラ子です! |
夜釣 |
添田様 |
 |
|
12/14 |
| 郷ノ浦 |
壱岐 |
|
大型クロ40オーバー釣れてますよ~!好釣果! |
日帰 |
原田様 |
 |
 |
12/11 |
| 郷ノ浦 |
壱岐 |
|
イサキ大漁!クロも40オーバー釣ってました! |
夜釣 |
浜地様 |
 |
|
12/11 |
| 郷ノ浦 |
壱岐 |
|
大型クロ47cm丸々してましたよ! |
夜釣 |
美林様 |
 |
|
12/11 |
| 郷ノ浦 |
壱岐 |
|
クロ46cmにイサキも釣れてます! |
夜釣 |
田中様 |
 |
|
12/11 |
| 郷ノ浦 |
壱岐 |
|
クロにイサキ!好釣果お見事です! |
夜釣 |
三苫様 |
 |
|
12/11 |
| 郷ノ浦 |
壱岐 |
|
大型クロ、沢山釣れてますよ~!ヤズも釣れてました!見事な釣果です! |
日帰 |
清川様 |
 |
|
12/10 |
| 郷ノ浦 |
壱岐 |
|
大型クロ47cm!大型イサキにクロも良型です! |
日帰 |
池松グループ様 |
 |
|
12/9 |
| 郷ノ浦 |
壱岐 |
|
クロ48cm頭で40オーバー多数です!お見事! |
日帰 |
広田グループ様 |
 |
|
12/8 |
| 郷ノ浦 |
壱岐 |
|
ヒラス90cmクラスにブリも良型です! |
日帰 |
宮崎グループ様 |
 |
 |
12/8 |
| 郷ノ浦 |
壱岐 |
|
石鯛55cm、2.6kg!お見事です! |
夜釣 |
馬込様 |
 |
|
12/6 |
| 郷ノ浦 |
壱岐 |
|
石鯛にデカアジ、イサキ!好釣果でした! |
夜釣 |
栗原様 |
 |
 |
12/4 |
| 郷ノ浦 |
壱岐 |
|
大型クロ46cm頭!大型釣れてますよ! |
日帰 |
山本様 |
 |
|
12/3 |
| 郷ノ浦 |
壱岐 |
|
ヒラゴにクロ!お見事です! |
日帰 |
金田様 |
 |
|
12/3 |
| 郷ノ浦 |
壱岐 |
|
ルアーゲーム、90cmクラスです!もう1本リリースされたそうです!お見事でした! |
日帰 |
野下様 |
 |
|
12/1 |
| 郷ノ浦 |
壱岐 |
|
沖防のアラです!お見事です! |
日帰 |
古川様 |
 |
|
12/1 |
| 郷ノ浦 |
壱岐 |
|
大型クロ!40オーバー釣れてますよ~!好釣果おめでとうございます! |
夜釣 |
廣田・永様 |
 |
 |
12/1 |
| 郷ノ浦 |
壱岐 |
|
ヒラマサ!数釣れてました!お見事! |
日帰 |
岡本グループ様 |
 |
|
11/25 |
| 郷ノ浦 |
壱岐 |
|
大型クロ42cm、40cm!大型出始めましたよ! |
夜釣 |
森田グループ様 |
 |
|
11/24 |
| 郷ノ浦 |
壱岐 |
|
沖ハトの石鯛です、2.2kg! |
日帰 |
古川様 |
 |
|
11/24 |
| 郷ノ浦 |
壱岐 |
|
ヒラマサ、7.5kgの良型ですよ~! |
日帰 |
田中様 |
 |
|
11/24 |
| 郷ノ浦 |
壱岐 |
|
大型クロ42cmに良型のアジも釣れてました! |
夜釣 |
吉里様 |
 |
|
11/23 |
| 郷ノ浦 |
壱岐 |
|
良型アジ43cm!アジにイサキ釣れてます! |
夜釣 |
溝辺様 |
 |
|
11/23 |
| 郷ノ浦 |
壱岐 |
|
爆釣ですよ~!一人分の釣果です!クロ45cm 41cmに大アジ43cm、イサキに真鯛です! |
夜釣 |
荒磯様 |
 |
|
11/21 |
| 郷ノ浦 |
壱岐 |
|
大アジ45cmに43cm!クロも40オーバー、イサキも大型です!クーラー満タンの釣果お見事! |
夜釣 |
小黒様 |
 |
|
11/20 |
| 郷ノ浦 |
壱岐 |
|
クロ、真鯛、イサキ!クロ40オーバー沢山釣れてました!真鯛も良型です! |
日帰 |
寺坂・中島・星山様 |
 |
|
11/20 |
| 郷ノ浦 |
壱岐 |
|
良型イサキにクロ!ハトの釣果です!好釣果! |
日帰 |
大曲様 |
 |
|
11/17 |
| 郷ノ浦 |
壱岐 |
|
クロ40オーバー複数釣れてます!イサキに大アジも釣れてました!大漁です! |
夜釣 |
薦野様 |
 |
 |
11/16 |
| 郷ノ浦 |
壱岐 |
|
アラにアカハタが沢山釣れてますよ~! |
夜釣 |
木尾・鶴・有田様 |
 |
 |
11/15 |
| 郷ノ浦 |
壱岐 |
|
ルアーゲーム、青物です!今から良くなって来ますよ~! |
日帰 |
野口様 |
 |
|
11/15 |
| 郷ノ浦 |
壱岐 |
|
クロにイサキ!40オーバーも釣れてます! |
夜釣 |
伊藤グループ様 |
 |
|
11/14 |
| 郷ノ浦 |
壱岐 |
|
大型イサキにデカアジ!クーラーに入りきらずバッカンまで!大漁おめでとうございます! |
夜釣 |
荒磯様 |
 |
|
11/13 |
| 郷ノ浦 |
壱岐 |
|
大型イサキに大アジ、ヒラス!好釣果です! |
夜釣 |
山本様 |
 |
|
11/13 |
| 郷ノ浦 |
壱岐 |
|
大型イサキ、大漁ですよ~!クロも40cm位のが下の方に入ってます!お見事! |
夜釣 |
浜地様 |
 |
|
11/12 |
| 郷ノ浦 |
壱岐 |
|
クロ40cmにイサキも大型です!好釣果です! |
夜釣 |
三苫・田中様 |
 |
|
11/12 |
| 郷ノ浦 |
壱岐 |
|
イシガキです!数釣れてました! |
日帰 |
稲本グループ様 |
 |
 |
11/12 |
| 郷ノ浦 |
壱岐 |
|
イシガキ!数釣れてました! |
夜釣 |
戸高様 |
 |
|
11/11 |
| 郷ノ浦 |
壱岐 |
|
イサキ40cmも釣れてますよ~! |
夜釣 |
吉住様 |
 |
|
11/11 |
| 郷ノ浦 |
壱岐 |
|
ハト、朝のみの釣果です!イサキ良型です! |
日帰 |
古川様 |
 |
|
11/10 |
| 郷ノ浦 |
壱岐 |
|
ヒラマサ81cm、ブリ83cmにヒラゴ!お見事! |
日帰 |
八木下グループ様様 |
 |
|
11/9 |
| 郷ノ浦 |
壱岐 |
|
アラに良型イサキ、アオリイカもkgサイズの良型です!イサキ数釣れてました、お見事です! |
夜釣 |
小材様 |
 |
|
11/7 |
| 郷ノ浦 |
壱岐 |
|
平スズキです!お見事! |
日帰 |
河合様 |
 |
|
11/6 |
| 郷ノ浦 |
壱岐 |
|
良型のスマカツオです!青物も釣れだしてきましよ~! |
日帰 |
岡本様 |
 |
|
11/5 |
| 郷ノ浦 |
壱岐 |
|
良型のヒラス 88cm です!お見事でした! |
日帰 |
金子様 |
 |
|
10/31 |
| 郷ノ浦 |
壱岐 |
|
大型の伊勢海老にアラです!お見事! |
夜釣 |
お客様 |
 |
 |
10/22 |
| 郷ノ浦 |
壱岐 |
|
小アラです! |
夜釣 |
谷頭様 |
 |
|
10/15 |
| 郷ノ浦 |
壱岐 |
|
大型クロに大型イサキ!お見事! |
夜釣 |
吉里様 |
 |
|
10/14 |
| 郷ノ浦 |
壱岐 |
|
イサキ、クロ好釣果でしたよ~! |
夜釣 |
宮脇様 |
 |
|
10/14 |
| 郷ノ浦 |
壱岐 |
|
クロ、イサキ!クロも釣れだしましたよ~! |
夜釣 |
薦野様 |
 |
|
10/14 |
| 郷ノ浦 |
壱岐 |
|
アラにアカハタ、イサキも釣れてました! |
夜釣 |
お客様 |
 |
|
10/14 |
| 郷ノ浦 |
壱岐 |
|
良型のスズキにクロ、イサキ!良く釣れてました!好釣果おめでとうございます! |
夜釣 |
右田・山本様 |
 |
 |
10/13 |
| 郷ノ浦 |
壱岐 |
|
アラ!好調ですよ~!流石です! |
夜釣 |
長澤・笠井様 |
 |
|
10/13 |
| 郷ノ浦 |
壱岐 |
|
皆さん釣れてますよ~!イサキ、クロ大型です! |
夜釣 |
坂本グループ様 |
 |
|
10/13 |
| 郷ノ浦 |
壱岐 |
|
イサキ、大漁!!クーラー満タンの釣果です! |
夜釣 |
河村様 |
 |
|
10/12 |
| 郷ノ浦 |
壱岐 |
|
イシガキにイサキ!良い型してます! |
夜釣 |
栗原様 |
 |
 |
10/12 |
| 郷ノ浦 |
壱岐 |
|
大型イサキに真鯛です!お見事でした! |
夜釣 |
長野・大庭様 |
 |
|
10/12 |
| 郷ノ浦 |
壱岐 |
|
イシガキ!数釣れてました! |
夜釣 |
浦田様 |
 |
|
10/12 |
| 郷ノ浦 |
壱岐 |
|
真鯛にイサキ、クロ!大漁ですよ~!お見事でした~! |
夜釣 |
一ノ瀬様 |
 |
|
10/11 |
| 郷ノ浦 |
壱岐 |
|
大型のイサキにクロも釣れてますよ~! |
夜釣 |
坂本様 |
 |
|
10/11 |
| 郷ノ浦 |
壱岐 |
|
フエフキに良型のイサキです! |
夜釣 |
古田様 |
 |
|
10/6 |
| 郷ノ浦 |
壱岐 |
|
アラ3本です!お見事でした! |
夜釣 |
平井様 |
 |
 |
10/2 |
| 郷ノ浦 |
壱岐 |
|
イシガキ、数釣れてました! |
夜釣 |
馬込様 |
 |
|
10/2 |
| 郷ノ浦 |
壱岐 |
|
アラです!お見事でした! |
夜釣 |
笹井・長澤様 |
 |
|
9/29 |
| 郷ノ浦 |
壱岐 |
|
良型イシガキ、石鯛、色々釣れてました!好釣果お見事です! |
夜釣 |
立林グループ様 |
 |
 |
9/28 |
| 郷ノ浦 |
壱岐 |
|
スズキ65cm、2.6kg、クロにイサキも釣れてます!好釣果でしたよ~! |
夜釣 |
河合様 |
 |
|
9/27 |
| 郷ノ浦 |
壱岐 |
|
イサキにクロです!お見事です! |
夜釣 |
山本様 |
 |
|
9/27 |
| 郷ノ浦 |
壱岐 |
|
イシガキにアカハタ、イサキ!良型です! |
日帰 |
植木様 |
 |
|
9/27 |
| 郷ノ浦 |
壱岐 |
|
良型真鯛、69cmにイサキです! |
日帰 |
平田様 |
 |
|
9/27 |
| 郷ノ浦 |
壱岐 |
|
良型イシダイです!ガキも複数釣れてました!短時間の中お見事です! |
日帰 |
お客様 |
 |
|
9/16 |
| 郷ノ浦 |
壱岐 |
|
イシガキです!良型ですよ~! |
夜釣 |
森田様 |
 |
|
9/16 |
| 郷ノ浦 |
壱岐 |
|
イサキです!良型いますよ~! |
夜釣 |
吉丸様 |
 |
|
9/16 |
| 郷ノ浦 |
壱岐 |
|
イサキです!良型いますよ~! |
夜釣 |
古田様 |
 |
|
9/16 |
| 郷ノ浦 |
壱岐 |
|
イサキにクロ!大漁でした! |
日帰 |
寒川様 |
 |
|
9/15 |
| 郷ノ浦 |
壱岐 |
|
イサキにヒラゴ、アコウ、クロです! 好釣果! |
夜釣 |
遠藤様 |
 |
|
9/15 |
| 郷ノ浦 |
壱岐 |
|
大型イサキに平スズキ、クロ、チヌ!好釣果でしたよ~! |
夜釣 |
一ノ瀬様 |
 |
|
9/13 |
| 郷ノ浦 |
壱岐 |
|
真鯛にイサキ!良型ですよ~、好釣果です! |
夜釣 |
吉住様 |
 |
|
9/12 |
| 郷ノ浦 |
壱岐 |
|
イサキ、数釣れてますよ! |
夜釣 |
徳永様 |
 |
|
9/11 |
| 郷ノ浦 |
壱岐 |
|
平スズキに良型イサキ、クロも良型釣れてます!お見事でした! |
夜釣 |
薦野様 |
 |
|
9/8 |
| 郷ノ浦 |
壱岐 |
|
良型イサキにクロ!好釣果です! |
夜釣 |
坂本様 |
 |
|
9/8 |
| 郷ノ浦 |
壱岐 |
|
イサキです!良型いますよ~! |
夜釣 |
古川様 |
 |
|
9/8 |
| 郷ノ浦 |
壱岐 |
|
イサキにクロ!お見事です! |
夜釣 |
山本様 |
 |
|
9/8 |
| 郷ノ浦 |
壱岐 |
|
イサキにクロ!数釣れてました! |
夜釣 |
中村様 |
 |
|
9/4 |
| 郷ノ浦 |
壱岐 |
|
アラ2本です!お見事でした! |
夜釣 |
武田様 |
 |
|
9/3 |
| 郷ノ浦 |
壱岐 |
|
大型クロ、50cmの口太です!アラも釣れます!お見事でした! |
夜釣 |
秦グループ様 |
 |
|
8/19 |
| 郷ノ浦 |
壱岐 |
|
石鯛にアラ、イシガキです! |
夜釣 |
笠井様 |
 |
|
8/18 |
| 郷ノ浦 |
壱岐 |
|
真鯛にイサキ!暑い中お疲れ様でした! |
夜釣 |
お客様 |
 |
|
8/15 |
| 郷ノ浦 |
壱岐 |
|
小アラ2匹、デカいアタリもあったそうですよ~! |
夜釣 |
谷頭様 |
 |
|
8/15 |
| 郷ノ浦 |
壱岐 |
|
イサキにクロです!暑いですが魚いますよ~! |
夜釣 |
山本様 |
 |
|
8/7 |
| 郷ノ浦 |
壱岐 |
|
大型の 夜グロ48cm、口太です!イシガキも大型でしたよ~!イサキも釣れてます! |
夜釣 |
西野様 |
 |
|
7/24 |
| 郷ノ浦 |
壱岐 |
|
良型のイサキです!好釣果でしたよ~! |
夜釣 |
山本様 |
 |
|
7/24 |
| 郷ノ浦 |
壱岐 |
|
イシガキにイサキです! |
夜釣 |
橋本様 |
 |
|
7/24 |
| 郷ノ浦 |
壱岐 |
|
イサキにクロ、大漁でしたよ~! |
夜釣 |
大石様 |
 |
|
7/21 |
| 郷ノ浦 |
壱岐 |
|
イシガキです! |
夜釣 |
古賀様 |
 |
|
7/21 |
| 郷ノ浦 |
壱岐 |
|
小アラにイシガキ、イサキです! |
夜釣 |
瀧井グループ様 |
 |
 |
7/21 |
| 郷ノ浦 |
壱岐 |
|
イサキです! |
夜釣 |
長野様 |
 |
|
7/21 |
| 郷ノ浦 |
壱岐 |
|
真鯛にイサキ!お見事です! |
夜釣 |
武藤様 |
 |
 |
7/20 |
| 郷ノ浦 |
壱岐 |
|
クロにイサキです! |
夜釣 |
吉開様 |
 |
|
7/20 |
| 郷ノ浦 |
壱岐 |
|
アラにイシガキです! |
夜釣 |
江口グループ様 |
 |
|
7/9 |
| 郷ノ浦 |
壱岐 |
|
イサキです!時化の中お疲れ様でした! |
夜釣 |
古川様 |
 |
|
7/7 |
| 郷ノ浦 |
壱岐 |
|
良型の真鯛64cm、3.3kgです! |
日帰 |
平田様 |
 |
|
7/6 |
| 郷ノ浦 |
壱岐 |
|
イシガキです!お見事! |
夜釣 |
馬込様 |
 |
|
7/5 |
| 郷ノ浦 |
壱岐 |
|
大型イサキ!クーラー2個で一人分の釣果です!イサキ、大型でお腹パンパンですよ~! |
夜釣 |
今泉様 |
 |
|
6/20 |
| 郷ノ浦 |
壱岐 |
|
大型クロ余裕の40オーバー!イサキも大型です!好釣果でした!クロ複数釣れてます! |
夜釣 |
古川様 |
 |
|
6/20 |
| 郷ノ浦 |
壱岐 |
|
大漁‼一人分の釣果です!イサキ釣れてますよ~!流石の釣果です! |
夜釣 |
荒磯様 |
 |
|
6/20 |
| 郷ノ浦 |
壱岐 |
|
大型イサキに良型のアジも釣れてました! |
夜釣 |
山本様 |
 |
|
6/20 |
| 郷ノ浦 |
壱岐 |
|
良型のイサキです! |
夜釣 |
武田様 |
 |
|
6/16 |
| 郷ノ浦 |
壱岐 |
|
大型クロ45cmに43cm!お見事! |
夜釣 |
一ノ瀬グループ様 |
 |
|
6/16 |
| 郷ノ浦 |
壱岐 |
|
口太43cmにイサキ!良く釣れてました! |
夜釣 |
田中様 |
 |
|
6/16 |
| 郷ノ浦 |
壱岐 |
|
アラです!お見事! |
夜釣 |
輪島様 |
 |
|
6/16 |
| 郷ノ浦 |
壱岐 |
|
イサキにクロ!好釣果でした! |
夜釣 |
占部様 |
 |
|
6/16 |
| 郷ノ浦 |
壱岐 |
|
イサキ!大漁ですよ~!好釣果お見事です! |
夜釣 |
坂本様 |
 |
 |
6/15 |
| 郷ノ浦 |
壱岐 |
|
イサキ大漁です!一人でクーラー2個です!イサキ大型ですよ~、クロも釣れてます! |
夜釣 |
今泉様 |
 |
|
6/13 |
| 郷ノ浦 |
壱岐 |
|
良型クロ40cm弱の型揃いです!イサキも大型です!イサキにクロ好調ですよ~! |
夜釣 |
吉開様 |
 |
|
6/13 |
| 郷ノ浦 |
壱岐 |
|
大型真鯛です、イサキも沢山釣れてました! |
夜釣 |
武田様 |
 |
 |
6/8 |
| 郷ノ浦 |
壱岐 |
|
イサキ大漁!大型ばかりの持ち帰りでクーラー満タンの釣果です!お見事です! |
夜釣 |
河村様 |
 |
|
6/8 |
| 郷ノ浦 |
壱岐 |
|
尾長クロ40cmオーバー複数釣れてます!イサキにシマアジのおまけ付き! |
夜釣 |
山本・右田様 |
 |
|
6/8 |
| 郷ノ浦 |
壱岐 |
|
イサキにクロです!釣れてますよ~! |
夜釣 |
田川様 |
 |
|
6/8 |
| 郷ノ浦 |
壱岐 |
|
良型イサキ!釣れてますよ~! |
夜釣 |
長野様 |
 |
|
6/7 |
| 郷ノ浦 |
壱岐 |
|
イサキにクロ!沖防の釣果です! |
夜釣 |
中村様 |
 |
|
6/7 |
| 郷ノ浦 |
壱岐 |
|
平スズキ64cm!クロ42 40cmも釣れてました!フカセの釣果です! |
夜釣 |
金田様 |
 |
|
6/7 |
| 郷ノ浦 |
壱岐 |
|
イサキ!大漁ですよ~!一人でクーラー2個満タンの釣果です!お見事です! |
夜釣 |
荒磯様 |
 |
|
6/6 |
| 郷ノ浦 |
壱岐 |
|
イシガキです! |
夜釣 |
稲田様 |
 |
|
6/6 |
| 郷ノ浦 |
壱岐 |
|
イサキ釣れてますよ!大漁です!好釣果おめでとうございます! |
夜釣 |
橋本・西野様 |
 |
|
6/4 |
| 郷ノ浦 |
壱岐 |
|
平スズキ70up、体高の良い大型です!イサキも大型釣れてますよ! |
夜釣 |
丸目・岡崎・崎田様 |
 |
|
6/3 |
| 郷ノ浦 |
壱岐 |
|
イシガキにイサキです!お見事! |
夜釣 |
松崎様 |
 |
|
6/2 |
| 郷ノ浦 |
壱岐 |
|
小アラ3.2kgです!アラ今からですよ~! |
夜釣 |
岡崎様 |
 |
|
6/2 |
| 郷ノ浦 |
壱岐 |
|
真鯛にイサキ、クロも良型がつれてます! |
夜釣 |
龍頭グループ様 |
 |
|
6/2 |
| 郷ノ浦 |
壱岐 |
|
良型イサキにクロです! |
夜釣 |
吉里様 |
 |
|
6/2 |
| 郷ノ浦 |
壱岐 |
|
イサキに40オーバーのクロ、アラカブです! |
夜釣 |
溝辺様 |
 |
|
6/2 |
| 郷ノ浦 |
壱岐 |
|
イサキもクロも40cmオーバー釣れてますよ~!好釣果お見事です! |
夜釣 |
田中・延原・田中様 |
 |
|
6/1 |
| 郷ノ浦 |
壱岐 |
|
良型イサキ釣れてますよ~! |
夜釣 |
美林様 |
 |
|
6/1 |
| 郷ノ浦 |
壱岐 |
|
尾長 クロ45cmに44cm!デカいフエフキも釣れてます!大型の尾長ポツポツと釣れてますよ! |
夜釣 |
一ノ瀬様 |
 |
|
5/31 |
| 郷ノ浦 |
壱岐 |
|
良型真鯛です、昼間の釣果ですよ~!クロも釣れてました! |
日帰 |
宮原様 |
 |
|
5/28 |
| 郷ノ浦 |
壱岐 |
|
石鯛です!お見事でした! |
夜釣 |
遠藤様 |
 |
|
5/26 |
| 郷ノ浦 |
壱岐 |
|
真鯛、大型ですよ~! |
夜釣 |
森田様 |
 |
|
5/26 |
| 郷ノ浦 |
壱岐 |
|
良型真鯛にアラカブ、イサキです!お見事! |
夜釣 |
吉武様 |
 |
 |
5/25 |
| 郷ノ浦 |
壱岐 |
|
大型クロにイサキです! |
夜釣 |
大石様 |
 |
|
5/25 |
| 郷ノ浦 |
壱岐 |
|
真鯛にイサキ、クロです! |
夜釣 |
三苫・田中様 |
 |
|
5/24 |
| 郷ノ浦 |
壱岐 |
|
クーラー満タンの釣果です!イサキ釣れてますよ! |
夜釣 |
右田・今泉・山下様 |
 |
|
5/23 |
| 郷ノ浦 |
壱岐 |
|
真鯛にイサキ!見事な釣果です! |
夜釣 |
柴垣様 |
 |
|
5/23 |
| 郷ノ浦 |
壱岐 |
|
イサキ釣れてますよ! |
夜釣 |
白木様 |
 |
|
5/22 |
| 郷ノ浦 |
壱岐 |
|
真鯛にクロ44cm、イサキも釣れてます!クーラー満タンの好釣果です! |
夜釣 |
松隈様 |
 |
|
5/19 |
| 郷ノ浦 |
壱岐 |
|
クロ42cmにアジも42cm、イサキも好調です! |
夜釣 |
古田様 |
 |
|
5/19 |
| 郷ノ浦 |
壱岐 |
|
イサキにクロ!大型イサキ、クーラー満タン! |
夜釣 |
小早川様 |
 |
|
5/19 |
| 郷ノ浦 |
壱岐 |
|
イサキに小アラです! |
夜釣 |
吉峰様 |
 |
 |
5/19 |
| 郷ノ浦 |
壱岐 |
|
イサキ沢山釣れてますよ、40cmクラスのアジも釣れてます! |
夜釣 |
平野グループ様 |
 |
|
5/18 |
| 郷ノ浦 |
壱岐 |
|
爆釣です!平スズキに特大イサキ!平スズキ70cmオーバーもいます!半分以上リリースしたそうです、見事な釣果!ルアーフィッシング! |
日帰 |
品川様 |
 |
 |
5/17 |
| 郷ノ浦 |
壱岐 |
|
大型イサキ、大漁でしたよ~!クロも釣れてます!イサキ今からどんどん良くなってきますよ! |
夜釣 |
徳永・藤木様 |
 |
|
5/15 |
| 郷ノ浦 |
壱岐 |
|
イサキにクロ、アカハタ!クロ数釣れてました! |
夜釣 |
吉開様 |
 |
|
5/11 |
| 郷ノ浦 |
壱岐 |
|
沖ハトです、良型イサキに真鯛! |
夜釣 |
大西様 |
 |
|
5/11 |
| 郷ノ浦 |
壱岐 |
|
良型のクロです! |
夜釣 |
古川様 |
 |
|
5/11 |
| 郷ノ浦 |
壱岐 |
|
シマアジにイサキ、サンバソウです! |
日帰 |
寒川様 |
 |
|
5/5 |
| 郷ノ浦 |
壱岐 |
|
イサキにクロ!良型釣れてます! |
夜釣 |
平野・寺田様 |
 |
|
5/5 |
| 郷ノ浦 |
壱岐 |
|
良型真鯛にイサキ! |
日帰 |
寒川様 |
 |
|
5/4 |
| 郷ノ浦 |
壱岐 |
|
良型クロ40cmにイサキも大型釣れてます! |
夜釣 |
宮脇・薦野様 |
 |
|
5/4 |
| 郷ノ浦 |
壱岐 |
|
大型のアジにイサキ、クロ! |
夜釣 |
大石・溝部様 |
 |
|
5/4 |
| 郷ノ浦 |
壱岐 |
|
大型のチヌにイサキ! |
夜釣 |
古田様 |
 |
|
5/4 |
| 郷ノ浦 |
壱岐 |
|
イサキにクロです! |
日帰 |
寒川様 |
 |
|
5/3 |
| 郷ノ浦 |
壱岐 |
|
大型真鯛82cm6.5kgにデカアジ、イサキ!好釣果、お見事です! |
夜釣 |
山本様 |
 |
|
5/2 |
| 郷ノ浦 |
壱岐 |
|
40cmクラスのイサキが大漁ですよ~! |
夜釣 |
中原様 |
 |
|
5/1 |
| 郷ノ浦 |
壱岐 |
|
良型真鯛です!お見事! |
夜釣 |
池田様 |
 |
|
4/28 |
| 郷ノ浦 |
壱岐 |
|
大型イサキにチヌ、タイです! |
夜釣 |
古川様 |
 |
|
4/28 |
| 郷ノ浦 |
壱岐 |
|
尾長40cmクラスが数釣れてました!大型のイサキも釣れてますよ~! |
夜釣 |
吉開様 |
 |
|
4/26 |
| 郷ノ浦 |
壱岐 |
|
イサキにクロ!イサキ40cmクラスですよ~! |
夜釣 |
長野様 |
 |
|
4/22 |
| 郷ノ浦 |
壱岐 |
|
チヌ50オーバーにイサキも700gの良型です! |
日帰 |
小畑様 |
 |
|
4/21 |
| 郷ノ浦 |
壱岐 |
|
良型真鯛70cm、68cmにイサキです! |
夜釣 |
徳永様 |
 |
|
4/20 |
| 郷ノ浦 |
壱岐 |
|
大型イサキ!沢山釣れてますよ~!好釣果! |
夜釣 |
河村様 |
 |
|
4/19 |
| 郷ノ浦 |
壱岐 |
|
イサキにクロ、タイ!釣れてますよ! |
夜釣 |
柴垣様 |
 |
|
4/19 |
| 郷ノ浦 |
壱岐 |
|
大型クロ46cm1.5kg頭で好釣果でした! |
夜釣 |
井上様 |
 |
|
4/18 |
| 郷ノ浦 |
壱岐 |
|
クロ40オーバーにイサキ!お見事です! |
夜釣 |
佐村様 |
 |
|
4/18 |
| 郷ノ浦 |
壱岐 |
|
大型真鯛85cm!大ダイ2匹釣れてましたよ! |
夜釣 |
白木様 |
|
|
4/17 |
| 郷ノ浦 |
壱岐 |
|
真鯛63cm3.3kgにスズキ63cm2.4kg、イサキにチヌも釣れてます! |
夜釣 |
河合様 |
 |
|
4/14 |
| 郷ノ浦 |
壱岐 |
|
イサキにクロ、チヌです!お見事! |
夜釣 |
御厨グループ様 |
 |
|
4/14 |
| 郷ノ浦 |
壱岐 |
|
クロにイサキ、チヌ、良い型してますよ! |
夜釣 |
古田様 |
 |
|
4/14 |
| 郷ノ浦 |
壱岐 |
|
クロ45cm、1.6kg!お見事です! |
夜釣 |
龍頭様 |
 |
|
4/14 |
| 郷ノ浦 |
壱岐 |
|
カンダイ5.5kg、真鯛、イサキです! |
夜釣 |
武田様 |
 |
|
4/14 |
| 郷ノ浦 |
壱岐 |
|
チヌ、クロ、イサキです! |
夜釣 |
つりひこ様 |
 |
|
4/14 |
| 郷ノ浦 |
壱岐 |
|
クロにイサキ!良型です! |
夜釣 |
吉開様 |
 |
|
4/13 |
| 郷ノ浦 |
壱岐 |
|
クロにチヌ!クロ40オーバーも釣れてます! |
夜釣 |
岡崎様 |
 |
|
4/13 |
| 郷ノ浦 |
壱岐 |
|
2人分の釣果です!チヌ大漁ですよ~!シマアジにクロも釣れてます! 好釣果でした! |
夜釣 |
草野・堺様 |
 |
|
4/13 |
| 郷ノ浦 |
壱岐 |
|
真鯛74cm4.5kgに72cm4.4kg!クロにチヌも釣れてます!好釣果でした! |
夜釣 |
持丸・佐々木・中村様 |
 |
|
4/12 |
| 郷ノ浦 |
壱岐 |
|
真鯛4.8kgにクロ、イサキ!釣れてますよ~! |
夜釣 |
挽地グループ様 |
 |
|
4/12 |
| 郷ノ浦 |
壱岐 |
|
良型クロにイサキです!クロ40cmです! |
日帰 |
松本様 |
 |
|
4/8 |
| 郷ノ浦 |
壱岐 |
|
良型のクロにチヌです!チヌ、釣れてますよ~! |
夜釣 |
友清・田中様 |
 |
|
4/7 |
| 郷ノ浦 |
壱岐 |
|
イサキにクロです!イサキ大型でした! |
夜釣 |
山本様 |
 |
|
4/7 |
| 郷ノ浦 |
壱岐 |
|
大型真鯛!沢山釣れてますよ~!好釣果! |
夜釣 |
西田グループ様 |
 |
|
4/2 |
| 郷ノ浦 |
壱岐 |
|
クロ42cm頭ですが40位ばかりの型揃いです! |
夜釣 |
美林様 |
 |
|
4/2 |
| 郷ノ浦 |
壱岐 |
|
クロ48cm 1.8kgに42cm!お見事です! |
日帰 |
松本様 |
 |
|
3/31 |
| 郷ノ浦 |
壱岐 |
|
クロ41cmに40cm、イサキにチヌも釣れます! |
夜釣 |
廣田グループ様 |
 |
|
3/31 |
| 郷ノ浦 |
壱岐 |
|
大型クロ!好釣果です! |
夜釣 |
占部・中村様 |
 |
|
3/31 |
| 郷ノ浦 |
壱岐 |
|
クロにイサキ、タイです! |
日帰 |
福田・山口様 |
 |
|
3/31 |
| 郷ノ浦 |
壱岐 |
|
真鯛71cm 4kg!サクラ鯛の季節ですよ~! |
日帰 |
寒川様 |
 |
|
3/30 |
| 郷ノ浦 |
壱岐 |
|
デカアジ、クロ共に40cmオーバー!イサキも釣れてます! |
日帰 |
御厨様 |
 |
|
3/28 |
| 郷ノ浦 |
壱岐 |
|
口太クロ50cm、2.3kg!お見事です! |
日帰 |
柳原様 |
 |
 |
3/27 |
| 郷ノ浦 |
壱岐 |
|
大型クロ49cm2.0kgに45cm、1.6kg! |
日帰 |
福田様 |
 |
|
3/27 |
| 郷ノ浦 |
壱岐 |
|
クロ40cm、1.2kgにイサキ! |
日帰 |
植村様 |
 |
|
3/27 |
| 郷ノ浦 |
壱岐 |
|
カンダイにクロです! |
日帰 |
山口様 |
 |
|
3/27 |
| 郷ノ浦 |
壱岐 |
|
大型クロ49cm 1.9kg!お見事です! |
日帰 |
山口様 |
 |
 |
3/22 |
| 郷ノ浦 |
壱岐 |
|
大型クロにチヌです! |
日帰 |
福田様 |
 |
|
3/22 |
| 郷ノ浦 |
壱岐 |
|
大型クロにチヌです! |
日帰 |
市川様 |
 |
|
3/22 |
| 郷ノ浦 |
壱岐 |
|
クロ、チヌ、タイ、大型も釣れてますよ~! |
日帰 |
|
 |
|
3/19 |
| 郷ノ浦 |
壱岐 |
|
大型クロ47cm!口太お腹パンパンですよ~!グループ内で他にも沢山釣れてます! |
日帰 |
李グループ様 |
 |
|
3/16 |
| 郷ノ浦 |
壱岐 |
|
大型の口太47cm頭にイサキ!短時間でお見事です! |
日帰 |
古川様 |
 |
|
3/16 |
| 郷ノ浦 |
壱岐 |
|
クロ46cmに44cm!40オーバーバッカンにもいます!好釣果です! |
日帰 |
山口様 |
 |
|
3/16 |
| 郷ノ浦 |
壱岐 |
|
クロ42cmに41cm!イサキも釣れてます! |
日帰 |
中元様 |
 |
|
3/15 |
| 郷ノ浦 |
壱岐 |
|
尾長クロ42cm!クロ釣れてますよ~! |
日帰 |
古川様 |
 |
|
3/15 |
| 郷ノ浦 |
壱岐 |
|
クロ41cm、40cm!好釣果です! |
日帰 |
李グループ様 |
 |
|
3/15 |
| 郷ノ浦 |
壱岐 |
|
特大真鯛の89cm10kg!もの凄い体高です!他にも鯛、クロで好釣果でした!お見事です! |
夜釣 |
田中様 |
 |
|
3/11 |
| 郷ノ浦 |
壱岐 |
|
イサキにクロ!クロ大型も釣れてますよ~! |
夜釣 |
美林様 |
 |
|
3/11 |
| 郷ノ浦 |
壱岐 |
|
大型クロ45cm!お見事! |
夜釣 |
重信様 |
 |
|
3/11 |
| 郷ノ浦 |
壱岐 |
|
大型クロ1.5kgです! |
日帰 |
田山様 |
 |
 |
3/11 |
| 郷ノ浦 |
壱岐 |
|
大型クロ47cmに44cm!イサキも釣れてました、好釣果おめでとうございます! |
夜釣 |
中村グループ様 |
 |
 |
3/10 |
| 郷ノ浦 |
壱岐 |
|
大型クロ45cm!イサキも40cmクラスですよ~!好釣果です! |
夜釣 |
岡崎グループ様 |
 |
 |
3/10 |
| 郷ノ浦 |
壱岐 |
|
大型クロ釣れてますよ~!44cm1.2kgに42cm1.3kg 40オーバー4匹です! |
日帰 |
篠﨑様 |
 |
|
3/10 |
| 郷ノ浦 |
壱岐 |
|
良型イサキです!クロも40オーバーいます! |
日帰 |
中嶋様 |
 |
|
3/10 |
| 郷ノ浦 |
壱岐 |
|
クロにイサキです!良型です、クロ40cm! |
日帰 |
松本様 |
 |
|
3/10 |
| 郷ノ浦 |
壱岐 |
|
沖防の真鯛です!70cmお見事です! |
夜釣 |
西グループ様 |
 |
 |
3/10 |
| 郷ノ浦 |
壱岐 |
|
良型クロ40弱です! |
夜釣 |
古田様 |
|
|
3/10 |
| 郷ノ浦 |
壱岐 |
|
大型クロ45cmに42cm!チヌも釣れてました! |
日帰 |
牟田崎・松永様 |
 |
|
3/3 |
| 郷ノ浦 |
壱岐 |
|
大型クロ46cmにチヌ!クロ釣れてました! |
日帰 |
金田様 |
 |
|
3/2 |
| 郷ノ浦 |
壱岐 |
|
大型クロです!42cm頭に型揃いです!イサキも釣れてましたよ! |
日帰 |
野畑様 |
 |
|
3/2 |
| 郷ノ浦 |
壱岐 |
|
ルアーゲーム、平スズキ68cmです! |
日帰 |
出口様 |
 |
|
3/2 |
| 郷ノ浦 |
壱岐 |
|
真鯛63cmにクロ45cm!釣れてますよ~! |
日帰 |
山口様 |
 |
|
2/28 |
| 郷ノ浦 |
壱岐 |
|
クロ40オーバーもいますよ~! |
日帰 |
松本様 |
 |
|
2/28 |
| 郷ノ浦 |
壱岐 |
|
大型クロ46cm頭!バッカン内も40オーバーばかりです!好釣果でした! |
日帰 |
山口様 |
 |
|
2/26 |
| 郷ノ浦 |
壱岐 |
|
大型クロ44cm!時化の中お見事です! |
日帰 |
小畑様 |
 |
|
2/26 |
| 郷ノ浦 |
壱岐 |
|
大型真鯛です!クロも釣れてました!お見事! |
夜釣 |
龍頭様 |
 |
|
2/18 |
| 郷ノ浦 |
壱岐 |
|
大型クロ47cm頭!40オーバー複数釣れてます! |
夜釣 |
大石・梶原・浦部様 |
 |
|
2/18 |
| 郷ノ浦 |
壱岐 |
|
デカアジに真鯛です! |
夜釣 |
徳永様 |
|
|
2/18 |
| 郷ノ浦 |
壱岐 |
|
石鯛!お見事です! |
夜釣 |
古田様 |
 |
|
2/18 |
| 郷ノ浦 |
壱岐 |
|
大型クロ1.6kg!型、数ともに好釣果でした! |
日帰 |
山口様 |
|
|
2/17 |
| 郷ノ浦 |
壱岐 |
|
ハトの真鯛です!ハトも真鯛増えてきましたよ! |
夜釣 |
柴垣様 |
 |
|
2/13 |
| 郷ノ浦 |
壱岐 |
|
クロ43cmに41cm、真鯛59cm2.2kg! |
日帰 |
松本様 |
 |
|
2/12 |
| 郷ノ浦 |
壱岐 |
|
クロ42cm、1.1kg 真鯛60cm2.4kg!イサキも釣れてます! |
日帰 |
植村様 |
 |
|
2/12 |
| 郷ノ浦 |
壱岐 |
|
クロにイサキ!40クラスの大型です! |
日帰 |
山口様 |
|
|
2/12 |
| 郷ノ浦 |
壱岐 |
|
真鯛にチヌ!時化の中好釣果でした! |
夜釣 |
首藤・前田様 |
 |
|
2/11 |
| 郷ノ浦 |
壱岐 |
|
真鯛、66cm、3.2kgに61cm2.2kg! |
日帰 |
長嶋様 |
|
|
2/10 |
| 郷ノ浦 |
壱岐 |
|
真鯛61cm、2.1kgにクロ1kgも釣れてます! |
日帰 |
竹松様 |
 |
|
2/10 |
| 郷ノ浦 |
壱岐 |
|
良い型の平スズキが釣れてます、75cm、3.8kg!お見事です! |
日帰 |
上大迫様 |
|
|
2/10 |
| 郷ノ浦 |
壱岐 |
|
平スズキにヤズです!サラシがあればいい感じに釣れますよ~! |
日帰 |
佐藤様 |
|
|
2/10 |
| 郷ノ浦 |
壱岐 |
|
大型クロ44cm、時化の中お見事です! |
日帰 |
福田様 |
 |
|
2/9 |
| 郷ノ浦 |
壱岐 |
|
ルアーです!ヒラス、ヤズ、平スズキ!お見事! |
日帰 |
大原様 |
 |
|
2/8 |
| 郷ノ浦 |
壱岐 |
|
クロ43cm頭40オーバー3匹に真鯛!ツレも40オーバー釣ってましたよ!好釣果! |
日帰 |
清川様 |
|
|
2/7 |
| 郷ノ浦 |
壱岐 |
|
大型クロ48cm、1.8kg!クロにイサキ釣れてますよ~! お見事です! |
日帰 |
小畑様 |
 |
 |
1/30 |
| 郷ノ浦 |
壱岐 |
|
真鯛にクロ!クロ45cm位あります! |
日帰 |
宮原様 |
|
|
1/30 |
| 郷ノ浦 |
壱岐 |
|
イサキにクロ、両方40クラスいます!好釣果! |
日帰 |
柳原様 |
 |
 |
1/30 |
| 郷ノ浦 |
壱岐 |
|
大型クロ!40cmクラスも釣れてました! |
日帰 |
山口様 |
|
|
1/30 |
| 郷ノ浦 |
壱岐 |
|
クロ、40オーバーは1匹ですが良型数釣れてました! |
日帰 |
村部様 |
|
|
1/30 |
| 郷ノ浦 |
壱岐 |
|
真鯛にクロ45cm頭!40オーバーばかりです!流石の釣果です! |
夜釣 |
廣田様 |
 |
|
1/28 |
| 郷ノ浦 |
壱岐 |
|
真鯛です!鯛釣れだしましたね~!お見事! |
夜釣 |
武藤様 |
|
|
1/28 |
| 郷ノ浦 |
壱岐 |
|
良型真鯛にクロ40cm! |
夜釣 |
中村様 |
 |
|
1/28 |
| 郷ノ浦 |
壱岐 |
|
イサキにクロ!イサキ良型でした! |
夜釣 |
永様 |
|
|
1/28 |
| 郷ノ浦 |
壱岐 |
|
イサキにチヌです! |
夜釣 |
吉開様 |
|
|
1/28 |
| 郷ノ浦 |
壱岐 |
|
大型クロ釣れてます!48cm頭に45,44,40 好釣果です! |
日帰 |
寺田・橋本様 |
 |
 |
1/27 |
| 郷ノ浦 |
壱岐 |
|
大型クロ46cm 真鯛60cm、2.8kg!お見事! |
日帰 |
竹松様 |
|
|
1/27 |
| 郷ノ浦 |
壱岐 |
|
良型真鯛!複数釣れてますよ~! |
日帰 |
長岡様 |
|
|
1/27 |
| 郷ノ浦 |
壱岐 |
|
良型真鯛に大型のクロ45cm、1.4kgです!嵐ばかりですが魚はいますよ~! |
日帰 |
植村様 |
 |
|
1/26 |
| 郷ノ浦 |
壱岐 |
|
クロにイサキ、大漁ですよ~!型も良いです! |
夜釣 |
河村様 |
|
|
1/17 |
| 郷ノ浦 |
壱岐 |
|
大型クロ45cmに42cm!お見事! |
日帰 |
宮原様 |
 |
|
1/17 |
| 郷ノ浦 |
壱岐 |
|
大型口太47cm、1.7kgに真鯛66cm、2.8kg!尾長も40cmオーバーでした!時化の中お見事! |
日帰 |
古川様 |
|
|
1/13 |
| 郷ノ浦 |
壱岐 |
|
好釣果ですよ~!40オーバーのクロが沢山釣れてました! |
夜釣 |
田川グループ様 |
 |
 |
1/13 |
| 郷ノ浦 |
壱岐 |
|
ルアーの釣果です!真鯛72cm、3.8kg ヒラス80cm、4kg! |
日帰 |
小島・大原様 |
|
|
1/11 |
| 郷ノ浦 |
壱岐 |
|
ハトのクロ!30cmまでですが数釣れてます! |
日帰 |
寒川様 |
|
|
1/6 |
| 郷ノ浦 |
壱岐 |
|
真鯛にイサキ、クロです、良型ですよ~! |
夜釣 |
内野様 |
|
|
1/5 |
| 郷ノ浦 |
壱岐 |
|
特大クロ53cmに50cm!40オーバーも数枚釣れてました!仲間も40オーバー釣れてましたよ!イサキも釣れてます!好釣果でした! |
夜釣 |
御厨様 |
|
|
1/4 |
| 郷ノ浦 |
壱岐 |
|
クロ、好釣果ですよ~! |
夜釣 |
川原様 |
|
|
1/3 |
| 郷ノ浦 |
壱岐 |
|
はとのサンバソウにクロです! |
日帰 |
古川様 |
 |
|
1/3 |
| 郷ノ浦 |
壱岐 |
|
大型クロ47cm!お見事! |
日帰 |
中田・石井様 |
|
|
1/2 |
| 郷ノ浦 |
壱岐 |
|
大型クロ44cm!好釣果でした! |
日帰 |
篠﨑様 |
 |
 |
1/2 |
| 郷ノ浦 |
壱岐 |
|
クロ35cm位ですが数釣れてました! |
日帰 |
白川様 |
|
|
1/2 |
| 郷ノ浦 |
壱岐 |
|
ブリです!お見事! |
日帰 |
岡本様 |
|
|
1/1 |
| 郷ノ浦 |
壱岐 |
|
サンバソウにクロ、イサキ! |
日帰 |
古川様 |
|
|
1/1 |
| 郷ノ浦 |
壱岐 |
|
大型クロ40cmオーバーが沢山釣れてました! |
夜釣 |
下川様 |
|
|
12/30 |
| 郷ノ浦 |
壱岐 |
|
良型の真鯛にクロ、アジも良型です! |
夜釣 |
吉武・荒巻様 |
|
|
12/30 |
| 郷ノ浦 |
壱岐 |
|
ヒラスに小アラ、クロ、イサキ!大漁ですね~! |
夜釣 |
柴垣様 |
 |
|
12/30 |
| 郷ノ浦 |
壱岐 |
|
クロにチヌです! |
日帰 |
家入様 |
|
|
12/30 |
| 郷ノ浦 |
壱岐 |
|
青物、午前中の釣果です!ルアーゲーム! |
日帰 |
岡本様 |
|
|
12/29 |
| 郷ノ浦 |
壱岐 |
|
青物2本に真鯛です! |
夜釣 |
白木様 |
|
|
12/29 |
| 郷ノ浦 |
壱岐 |
|
大型のアジにクロです! |
夜釣 |
金堀様 |
 |
|
12/29 |
| 郷ノ浦 |
壱岐 |
|
クロ!数釣れてます、最大が40弱です! |
日帰 |
石井様 |
|
|
12/29 |
| 郷ノ浦 |
壱岐 |
|
ハトの釣果!アコウ、アラカブ、クロ、大漁です! |
夜釣 |
山本グループ様 |
|
|
12/28 |
| 郷ノ浦 |
壱岐 |
|
2日目の釣果!イサキ、クロ40cm、好釣果! |
日帰 |
古川様 |
 |
 |
12/28 |
| 郷ノ浦 |
壱岐 |
|
30cm後半のクロです! |
日帰 |
金田様 |
|
|
12/28 |
| 郷ノ浦 |
壱岐 |
|
良型イサキにクロ!好釣果でしたよ~! |
日帰 |
宮原様 |
|
|
12/27 |
| 郷ノ浦 |
壱岐 |
|
イサキにクロです!お見事! |
日帰 |
古川様 |
|
|
12/27 |
| 郷ノ浦 |
壱岐 |
|
大型クロ!40オーバーです! |
日帰 |
増田様 |
|
|
12/27 |
| 郷ノ浦 |
壱岐 |
|
クロに真鯛です! |
夜釣 |
坂本様 |
|
|
12/24 |
| 郷ノ浦 |
壱岐 |
|
青物です!ヒラマサ90cmお見事です! |
日帰 |
岡本様 |
|
|
12/21 |
| 郷ノ浦 |
壱岐 |
|
クロ、良型でしたよ~! |
日帰 |
原田様 |
|
|
12/19 |
| 郷ノ浦 |
壱岐 |
|
青物好調でした!ヒラマサ98cm頭で90cmオーバー2本にブリ、釣れてましたよ~!お見事! |
日帰 |
竹松様 |
|
|
12/14 |
| 郷ノ浦 |
壱岐 |
|
ルアー! 真鯛に青物です!数釣れてました! |
日帰 |
榎本グループ様 |
|
|
12/14 |
| 郷ノ浦 |
壱岐 |
|
イシガキです!数釣れてます! |
夜釣 |
馬込様 |
 |
|
12/14 |
| 郷ノ浦 |
壱岐 |
|
真鯛がいい感じです!80cm5.5kgに61cm3kg、好釣果でした! |
夜釣 |
田中様 |
|
|
12/6 |
| 郷ノ浦 |
壱岐 |
|
ルアーゲーム、ヒラスにヤズです! |
日帰 |
岡本様 |
|
|
12/6 |
| 郷ノ浦 |
壱岐 |
|
真鯛70cm、4kgにクロも40cm1.2kgです!好釣果おめでとうございます! |
夜釣 |
右田様 |
 |
 |
12/4 |
| 郷ノ浦 |
壱岐 |
|
大型クロ46cm、1.5kg!お見事です! |
夜釣 |
山本様 |
|
|
12/4 |
| 郷ノ浦 |
壱岐 |
|
良型のサワラが釣れてました!1m位です |
日帰 |
長嶋様 |
|
|
12/3 |
| 郷ノ浦 |
壱岐 |
|
沖ハトのアラです!お見事! |
夜釣 |
小材様 |
 |
|
12/1 |
| 郷ノ浦 |
壱岐 |
|
真鯛にクロです!嵐の中お疲れ様でした! |
夜釣 |
坂本様 |
|
|
12/1 |
| 郷ノ浦 |
壱岐 |
|
クロ40後半からの大型が沢山釣れてますよ~!見事な釣果でした!クロ今から良くなってきますよ~! |
夜釣 |
松崎・満保様 |
 |
|
11/26 |
| 郷ノ浦 |
壱岐 |
|
真鯛に大型のクロも釣れてます!お見事! |
夜釣 |
内野様 |
|
|
11/26 |
| 郷ノ浦 |
壱岐 |
|
平スズキ!70オーバーも釣れてます! |
日帰 |
出口様 |
|
|
1/25 |
| 郷ノ浦 |
壱岐 |
|
ヤズに平スズキです!アジの泳がせです! |
日帰 |
福田様 |
 |
|
11/23 |
| 郷ノ浦 |
壱岐 |
|
ヒラマサです!流石ですね~! |
日帰 |
岡本様 |
|
|
|
| 郷ノ浦 |
壱岐 |
|
ルアーでの青物です! |
日帰 |
酒井様 |
|
|
|
| 郷ノ浦 |
壱岐 |
|
大アジ50cm!大漁ですよ~!クロとイサキも釣れてます!お見事でした! |
夜釣 |
荒磯・今泉様 |
 |
 |
11/22 |
| 郷ノ浦 |
壱岐 |
|
大型クロ釣れてますね~!イサキも良型です! |
日帰 |
清川グループ様 |
|
|
11/22 |
| 郷ノ浦 |
壱岐 |
|
クロ40cm頭で良いサイズが数釣れてます! |
夜釣 |
井上様 |
|
|
11/22 |
| 郷ノ浦 |
壱岐 |
|
大アジ50cmにイサキ、クロです! |
夜釣 |
三苫グループ様 |
 |
|
11/22 |
| 郷ノ浦 |
壱岐 |
|
大型クロ48cm!40オーバー数枚釣れてました!好釣果、お見事でした! |
日帰 |
星山様 |
|
|
11/21 |
| 郷ノ浦 |
壱岐 |
|
大型クロにイサキも40cmあります! |
夜釣 |
河村様 |
|
|
11/21 |
| 郷ノ浦 |
壱岐 |
|
イサキ大漁です!良型ですよ~! |
夜釣 |
井上様 |
|
|
11/21 |
| 郷ノ浦 |
壱岐 |
|
ヒラマサ!一人4本ずつの釣果です! |
日帰 |
酒井・河西様 |
 |
|
11/15 |
| 郷ノ浦 |
壱岐 |
|
大型ヒラマサです!95cmお見事! |
日帰 |
金子様 |
|
|
11/14 |
| 郷ノ浦 |
壱岐 |
|
昼間のアラです!アカハタもデカいですよ~! |
日帰 |
高杉様 |
|
|
11/14 |
| 郷ノ浦 |
壱岐 |
|
良型の平スズキです!サラシが有れば釣れてますよ~!80弱です! |
日帰 |
芝様 |
|
|
11/14 |
| 郷ノ浦 |
壱岐 |
|
良型のアラです!お見事! |
夜釣 |
長澤様 |
 |
|
11/12 |
| 郷ノ浦 |
壱岐 |
|
青物!ルアーの釣果です! |
日帰 |
岡本様 |
|
|
11/12 |
| 郷ノ浦 |
壱岐 |
|
真鯛にイサキ、クロ 数釣れてます! |
日帰 |
大工園様 |
|
|
11/11 |
| 郷ノ浦 |
壱岐 |
|
良型真鯛にイサキ、特大です! |
日帰 |
寒川様 |
|
|
11/10 |
| 郷ノ浦 |
壱岐 |
|
イシガキです!イシガキ数釣れてます! |
夜釣 |
栗原グループ様 |
 |
 |
11/9 |
| 郷ノ浦 |
壱岐 |
|
イシガキにアラです! |
夜釣 |
稲田・馬込様 |
|
|
11/8 |
| 郷ノ浦 |
壱岐 |
|
イサキ爆釣です!大型の型揃いです!流石です、お見事! |
夜釣 |
中野グループ様 |
|
|
11/5 |
| 郷ノ浦 |
壱岐 |
|
ヒラス3本にヤズも釣れてます!リリースしてますが(笑)ムラは有りますが青物いますよ~! |
夜釣 |
信田様 |
 |
|
11/5 |
| 郷ノ浦 |
壱岐 |
|
イサキ43cm、1kgです!良い型してます! |
日帰 |
古川様 |
|
|
11/5 |
| 郷ノ浦 |
壱岐 |
|
好釣果!大アジにイサキ、クロ! |
夜釣 |
挽地グループ様 |
|
|
11/4 |
| 郷ノ浦 |
壱岐 |
|
イサキ大漁です!型も良いです!お見事! |
夜釣 |
河合様 |
|
|
11/4 |
| 郷ノ浦 |
壱岐 |
|
大型クロ44cm2匹!クロ大型釣れだしてます、今から良くなってきますよ! |
夜釣 |
吉里様 |
 |
|
11/4 |
| 郷ノ浦 |
壱岐 |
|
イシガキ43cm、1.9kg!アジも38cmあります! |
夜釣 |
安河内・古川様 |
|
|
11/4 |
| 郷ノ浦 |
壱岐 |
|
ルアーの釣果、ヤズです! |
日帰 |
引地グループ様 |
|
|
11/4 |
| 郷ノ浦 |
壱岐 |
|
クロにイサキです! |
夜釣 |
米永様 |
|
|
11/4 |
| 郷ノ浦 |
壱岐 |
|
デカアジ、49cm!クロも42cm釣れてましたよ!イサキにアカハタ、好釣果でした! |
夜釣 |
三苫・田中・浜地様 |
|
|
11/2 |
| 郷ノ浦 |
壱岐 |
|
イサキ!大漁です、大型も釣れてました! |
夜釣 |
荒磯様 |
 |
|
11/1 |
| 郷ノ浦 |
壱岐 |
|
大型イサキ40cmクラスです! |
夜釣 |
白木様 |
|
|
11/1 |
| 郷ノ浦 |
壱岐 |
|
良型クロです!30後半ばかりの型揃いでした! |
夜釣 |
美林様 |
|
|
10/31 |
| 郷ノ浦 |
壱岐 |
|
大型クロ45cm頭で40オーバー複数釣れてました!好釣果、お見事でした! |
夜釣 |
寺田様 |
|
|
10/29 |
| 郷ノ浦 |
壱岐 |
|
大型真鯛です!その他色々釣れてます! |
夜釣 |
西グループ様 |
 |
 |
10/29 |
| 郷ノ浦 |
壱岐 |
|
良型真鯛にイサキ、クロです! |
夜釣 |
長野様 |
|
|
10/29 |
| 郷ノ浦 |
壱岐 |
|
ヒラマサです!80cm以上ありましたよ~! |
日帰 |
福田様 |
|
|
10/28 |
| 郷ノ浦 |
壱岐 |
|
大型クロにイサキです!40オーバーポツポツ釣れだしてます! |
夜釣 |
田川グループ様 |
|
|
10/27 |
| 郷ノ浦 |
壱岐 |
|
良型イサキにクロ40弱です!クーラー満タンの釣果です! |
夜釣 |
右田様 |
|
|
10/26 |
| 郷ノ浦 |
壱岐 |
|
イサキにクロ!好釣果でした! |
夜釣 |
山本様 |
|
|
10/26 |
| 郷ノ浦 |
壱岐 |
|
ヒラスにアカハタ、アコウです! |
日帰 |
竹松様 |
|
|
10/26 |
| 郷ノ浦 |
壱岐 |
|
良型のイサキにクロです! |
夜釣 |
吉開様 |
 |
|
10/25 |
| 郷ノ浦 |
壱岐 |
|
大型イサキに平スズキです!好釣果! |
夜釣 |
宮脇様 |
|
|
10/23 |
| 郷ノ浦 |
壱岐 |
|
石鯛です!お見事でした! |
夜釣 |
山口様 |
|
|
10/22 |
| 郷ノ浦 |
壱岐 |
|
良型クロ30後半の型揃いで数釣れてます! |
夜釣 |
永様 |
|
|
10/22 |
| 郷ノ浦 |
壱岐 |
|
大型クロ40cmオーバーにイサキです! |
夜釣 |
廣田様 |
 |
|
10/22 |
| 郷ノ浦 |
壱岐 |
|
ヒラマサ6kgクラスです!良くなって来てますよ! |
日帰 |
平田様 |
|
|
10/20 |
| 郷ノ浦 |
壱岐 |
|
大型イサキにクロ!大漁でした、2人分の釣果です!お見事でした! |
夜釣 |
今泉・荒磯様 |
|
|
10/19 |
| 郷ノ浦 |
壱岐 |
|
イサキ釣れてます!真鯛も釣れますよ~!好釣果です! |
夜釣 |
白木・吉武様 |
|
|
10/19 |
| 郷ノ浦 |
壱岐 |
|
小アラにイサキです! |
夜釣 |
小材様 |
|
|
10/19 |
| 郷ノ浦 |
壱岐 |
|
大型イサキに良型のクロ、特大アジも釣れてますよ~!好釣果でしたよ~! |
夜釣 |
大石グループ様 |
 |
 |
10/15 |
| 郷ノ浦 |
壱岐 |
|
アラにイサキ!イサキは数釣れてました! |
夜釣 |
坂本・下津様 |
|
|
10/15 |
| 郷ノ浦 |
壱岐 |
|
良型のイサキです! |
夜釣 |
井上様 |
|
|
10/15 |
| 郷ノ浦 |
壱岐 |
|
イシガキ、数釣れてます!お見事! |
夜釣 |
馬込様 |
|
|
10/13 |
| 郷ノ浦 |
壱岐 |
|
イサキにクロ!イサキ大型も釣れてますよ!好釣果でした! |
夜釣 |
平野・寺田・坂上様 |
|
|
10/10 |
| 郷ノ浦 |
壱岐 |
|
イサキ40~30cm にクロです!好釣果でした! |
夜釣 |
古川様 |
|
|
10/7 |
| 郷ノ浦 |
壱岐 |
|
大型アジにイサキ、チヌ!時化の中でも相変わらずのクーラー満タンの釣果です! |
夜釣 |
一ノ瀬様 |
|
|
10/6 |
| 郷ノ浦 |
壱岐 |
|
沖ハトの釣果です!数釣れてますよ! |
夜釣 |
挽地グループ様 |
|
|
10/4 |
| 郷ノ浦 |
壱岐 |
|
イサキにクロです!好釣果でしたよ~! |
夜釣 |
三苫グループ様 |
|
|
10/3 |
| 郷ノ浦 |
壱岐 |
|
ヒラスにヤズ、ネリゴ、下には大型イサキ!mクラスのヒラスをタモ入れ失敗したそうです! |
夜釣 |
龍頭様 |
|
|
10/2 |
| 郷ノ浦 |
壱岐 |
|
イサキにクロ!好釣果でしたよ~! |
夜釣 |
坂本・友清・田辺様 |
|
|
10/1 |
| 郷ノ浦 |
壱岐 |
|
大型クロ45cm、1.4kgに40cm!お見事です! |
夜釣 |
廣田様 |
|
|
10/1 |
| 郷ノ浦 |
壱岐 |
|
イサキ!良型も釣れてます! |
夜釣 |
古川様 |
|
|
10/1 |
| 郷ノ浦 |
壱岐 |
|
大アジ47cmにイサキ40cmクラス!クロ35cm、大漁でした!流石ですね~! |
夜釣 |
美林様 |
 |
 |
9/30 |
| 郷ノ浦 |
壱岐 |
|
サンバソウにイシガキです! |
夜釣 |
中島様 |
|
|
9/30 |
| 郷ノ浦 |
壱岐 |
|
ヒラマサ!デカいのバラシたそうですよ! |
日帰 |
上本様 |
|
|
9/28 |
| 郷ノ浦 |
壱岐 |
|
イサキにクロです!良型いますよ~! |
夜釣 |
田川グループ様 |
|
|
9/26 |
| 郷ノ浦 |
壱岐 |
|
イサキにクロです!数釣れてました! |
夜釣 |
山本様 |
|
|
9/25 |
| 郷ノ浦 |
壱岐 |
|
イサキです!時化の中でもお土産できてます! |
夜釣 |
古田様 |
|
|
9/24 |
| 郷ノ浦 |
壱岐 |
|
イシガキです!お見事! |
夜釣 |
竹藤様 |
|
|
9/23 |
| 郷ノ浦 |
壱岐 |
|
真鯛に大型イサキ!好釣果でした! |
夜釣 |
徳永様 |
 |
 |
9/20 |
| 郷ノ浦 |
壱岐 |
|
2日目のみの釣果です!イサキ大漁です! |
日帰 |
寒川様 |
|
|
9/17 |
| 郷ノ浦 |
壱岐 |
|
イサキにクロ!良型です! |
夜釣 |
泉様 |
|
|
9/17 |
| 郷ノ浦 |
壱岐 |
|
良型イサキにクロ!流石です! |
夜釣 |
吉開様 |
|
|
9/16 |
| 郷ノ浦 |
壱岐 |
|
1日目の釣果です!良型イサキも釣れてます! |
日帰 |
寒川様 |
|
|
9/16 |
| 郷ノ浦 |
壱岐 |
|
イサキにクロ!クーラー満タンの釣果です! |
夜釣 |
柴垣様 |
|
|
9/13 |
| 郷ノ浦 |
壱岐 |
|
アラにイシガキです!お見事です! |
夜釣 |
稲田様 |
|
|
9/13 |
| 郷ノ浦 |
壱岐 |
|
イサキにクロです! |
夜釣 |
山本様 |
|
|
9/11 |
| 郷ノ浦 |
壱岐 |
|
大型の尾長です!44cm1.6kgにイサキも釣れてます! |
夜釣 |
橋本様 |
|
|
9/9 |
| 郷ノ浦 |
壱岐 |
|
イサキにクロです! |
夜釣 |
古川様 |
 |
|
9/3 |
| 郷ノ浦 |
壱岐 |
|
大型イサキにクロです!イサキ釣れてますよ! |
夜釣 |
中村様 |
|
|
8/30 |
| 郷ノ浦 |
壱岐 |
|
良型イサキ!好釣果でした!涼しくなって釣りやすくなってきました、イサキまだまだ釣れますよ! |
夜釣 |
山本・徳永様 |
|
|
8/23 |
| 郷ノ浦 |
壱岐 |
|
イサキです!40cmクラスも釣れてますよ! |
夜釣 |
石井様 |
 |
|
8/21 |
| 郷ノ浦 |
壱岐 |
|
良型のイシガキにイサキ、カンダイです! |
夜釣 |
橋本様 |
|
|
8/18 |
| 郷ノ浦 |
壱岐 |
|
アラ!4kg位ですが良いお土産です! |
夜釣 |
秦様 |
 |
|
8/17 |
| 郷ノ浦 |
壱岐 |
|
アラにイシガキです!4kgサイズです! |
夜釣 |
江口様 |
|
|
8/15 |
| 郷ノ浦 |
壱岐 |
|
朝のみの釣果です!良型のイサキもいますよ! |
日帰 |
古川様 |
 |
|
8/15 |
| 郷ノ浦 |
壱岐 |
|
良型尾長クロ40cmにイサキも釣れてますよ! |
夜釣 |
中嶋・篠﨑様 |
|
|
8/13 |
| 郷ノ浦 |
壱岐 |
|
良型のフエフキです! |
夜釣 |
長澤様 |
 |
|
7/29 |
| 郷ノ浦 |
壱岐 |
|
大型イサキにクロ!イサキ大漁でした、夜釣のイサキ狙い目ですよ~! |
夜釣 |
山本様 |
|
|
7/25 |
| 郷ノ浦 |
壱岐 |
|
好釣果ですよ~!イサキにクロ、お見事です! |
夜釣 |
河合様 |
 |
|
7/24 |
| 郷ノ浦 |
壱岐 |
|
イサキ!釣れ過ぎて早く寝たそうです!良型もいますしまだまだイサキ熱いです! |
夜釣 |
松原様 |
 |
|
7/22 |
| 郷ノ浦 |
壱岐 |
|
大型イサキに大型クロも釣れてました!やっと凪ぎました、大漁ですよ!好釣果、期待大です! |
夜釣 |
白木・小早川様 |
 |
 |
7/20 |
| 郷ノ浦 |
壱岐 |
|
イサキにクロです!イサキ良型ですよ~! |
夜釣 |
河村様 |
 |
|
7/13 |
| 郷ノ浦 |
壱岐 |
|
アラにイシガキです!お見事! |
夜釣 |
手嶋様 |
 |
|
7/12 |
| 郷ノ浦 |
壱岐 |
|
ルアーの釣果です!平スズキに大型イサキ! 悪天候ばかりですがイサキいますよ~! |
日帰 |
油布・ 宮崎様 |
 |
|
7/4 |
| 郷ノ浦 |
壱岐 |
|
クロにイサキ、良い型が釣れてます!真鯛もいますね~!大漁おめでとうございます! |
夜釣 |
田川グループ様 |
 |
|
6/25 |
| 郷ノ浦 |
壱岐 |
|
大型イサキに良型のアジ、クロも釣れてます! |
夜釣 |
吉武様 |
 |
|
6/25 |
| 郷ノ浦 |
壱岐 |
|
大型イサキにアラも釣れてますよ! |
夜釣 |
小野様 |
 |
|
6/25 |
| 郷ノ浦 |
壱岐 |
|
クロにイサキです! |
夜釣 |
愛甲・石田 様 |
 |
|
6/25 |
| 郷ノ浦 |
壱岐 |
|
大型イサキにクロも良型いますね~!流石です |
夜釣 |
山本様 |
 |
|
6/20 |
| 郷ノ浦 |
壱岐 |
|
大型イサキ40cmオーバー!卵パンパンです! |
夜釣 |
美林様 |
 |
|
6/20 |
| 郷ノ浦 |
壱岐 |
|
クロにイサキ!梅雨グロ25~35cm数釣れてましたよ!好釣果です! |
夜釣 |
荒磯様 |
 |
|
6/20 |
| 郷ノ浦 |
壱岐 |
|
イサキにクロです!お土産できてますよ~! |
夜釣 |
小屋・佐村様 |
 |
|
6/20 |
| 郷ノ浦 |
壱岐 |
|
大型イサキにクロ、フエフキも釣れてました! |
夜釣 |
吉開様 |
 |
|
6/20 |
| 郷ノ浦 |
壱岐 |
|
大型クロにイサキも大型です!好釣果です! |
夜釣 |
廣田グループ様 |
 |
 |
6/18 |
| 郷ノ浦 |
壱岐 |
|
大型イサキにシマアジも釣れてましたよ! |
夜釣 |
友清様 |
 |
|
6/18 |
| 郷ノ浦 |
壱岐 |
|
クロにイサキです!良型もいますよ! |
夜釣 |
小森様 |
 |
|
6/17 |
| 郷ノ浦 |
壱岐 |
|
大型イサキ!40cm以上ありますよ~! イサキ好調ですよ~! |
夜釣 |
柴垣様 |
 |
|
6/14 |
| 郷ノ浦 |
壱岐 |
|
大型イサキにアジ30cmオーバーが数匹ですが釣れてました!大漁です、まだまだ釣れますよ! |
夜釣 |
田中グループ様 |
 |
|
6/13 |
| 郷ノ浦 |
壱岐 |
|
大型イサキ!まだまだ釣れますよ~! |
夜釣 |
徳永様 |
 |
|
6/12 |
| 郷ノ浦 |
壱岐 |
|
大型イサキですよ~! |
夜釣 |
岡崎グループ様 |
 |
|
6/12 |
| 郷ノ浦 |
壱岐 |
|
大型クロ51cm、2.3kg!見事なクロです!おめでとうございます! |
夜釣 |
甲斐様 |
 |
|
6/11 |
| 郷ノ浦 |
壱岐 |
|
イサキ、良い型してますよ! |
夜釣 |
古田様 |
 |
|
6/11 |
| 郷ノ浦 |
壱岐 |
|
イサキです!お土産できてます~! |
夜釣 |
吉峰・小野様 |
 |
|
6/11 |
| 郷ノ浦 |
壱岐 |
|
良型クロ40cm弱に良型イサキ!一人分の釣果です!大漁でした、お見事! |
夜釣 |
荒磯様 |
 |
|
6/8 |
| 郷ノ浦 |
壱岐 |
|
良型のアジにイサキも良いサイズです! |
夜釣 |
山本様 |
 |
|
6/8 |
| 郷ノ浦 |
壱岐 |
|
イサキにクロ!イサキ良い型してますよ! |
夜釣 |
吉武様 |
 |
|
6/5 |
| 郷ノ浦 |
壱岐 |
|
良型真鯛にクロ40cm、イサキも釣れてます! |
夜釣 |
松隈様 |
 |
|
6/4 |
| 郷ノ浦 |
壱岐 |
|
大型イサキに真鯛です!好釣果でしたよ~! |
夜釣 |
徳永様 |
 |
|
5/29 |
| 郷ノ浦 |
壱岐 |
|
大型クロ47cm、1.5kgにフエフキ68cm、4.5kgです!チヌも釣れてました! |
夜釣 |
一ノ瀬・武田様 |
 |
 |
5/28 |
| 郷ノ浦 |
壱岐 |
|
イサキ!クーラー満タンの釣果です! |
夜釣 |
中野様 |
 |
|
5/28 |
| 郷ノ浦 |
壱岐 |
|
クロ41cm、1kgにイサキ、大型ですよ!縦に並べてるのでわかりにくいですが数も釣れてます! |
夜釣 |
長野様 |
 |
|
5/28 |
| 郷ノ浦 |
壱岐 |
|
真鯛です!お見事! |
夜釣 |
田中様 |
 |
|
5/28 |
| 郷ノ浦 |
壱岐 |
|
ハトの釣果、アラカブ大漁です!良い土産になりますよ!狙えば沢山釣れます! |
夜釣 |
右田様 |
 |
|
5/27 |
| 郷ノ浦 |
壱岐 |
|
真鯛73cm、4.3kgに良型のクロにイサキ!好釣果お見事です! |
夜釣 |
吉開様 |
 |
 |
5/26 |
| 郷ノ浦 |
壱岐 |
|
大型イサキ、丸々してますよ!イサキこれからどんどん良くなってきますよ~! |
夜釣 |
美林様 |
 |
|
5/25 |
| 郷ノ浦 |
壱岐 |
|
大型クロにイサキです!好釣果ですよ~! |
夜釣 |
古田様 |
 |
|
5/21 |
| 郷ノ浦 |
壱岐 |
|
大型クロ45cmにイサキです!お見事! |
夜釣 |
廣田様 |
 |
|
5/21 |
| 郷ノ浦 |
壱岐 |
|
イサキにクロです!イサキ、今からです! |
夜釣 |
立石グループ様 |
 |
|
5/21 |
| 郷ノ浦 |
壱岐 |
|
良型イサキにアジ、メバルです!好釣果! |
夜釣 |
吉武様 |
 |
|
5/16 |
| 郷ノ浦 |
壱岐 |
|
クロの数釣りです!足裏サイズですが数釣れますよ~! |
夜釣 |
渋田・松崎様 |
 |
|
5/16 |
| 郷ノ浦 |
壱岐 |
|
チヌにクロ、イサキです! |
夜釣 |
田川様 |
 |
|
5/12 |
| 郷ノ浦 |
壱岐 |
|
イシガキ、カンダイです! |
夜釣 |
馬込様 |
 |
|
5/11 |
| 郷ノ浦 |
壱岐 |
|
クロに大型のイサキも釣れてました! |
日帰 |
寒川様 |
|
|
5/5 |
| 郷ノ浦 |
壱岐 |
|
大型真鯛83cmにイサキ、イシダイ!お見事! |
夜釣 |
柴垣様 |
 |
 |
5/3 |
| 郷ノ浦 |
壱岐 |
|
大型クロ46cm!大型の尾長まだ狙えますよ! |
夜釣 |
後藤様 |
 |
|
5/3 |
| 郷ノ浦 |
壱岐 |
|
クロ!良型の40cmクラスです! |
日帰 |
中嶋様 |
|
|
5/3 |
| 郷ノ浦 |
壱岐 |
|
クロ!35cm位までですが楽しめますよ! |
日帰 |
篠﨑様 |
 |
|
5/3 |
| 郷ノ浦 |
壱岐 |
|
良型クロ!40cmクラス釣れてました! |
夜釣 |
石野様 |
|
|
5/3 |
| 郷ノ浦 |
壱岐 |
|
大型の真鯛にイサキ、クロ!好釣果です!クロ、イサキともに大型です! |
夜釣 |
大石グループ様 |
 |
 |
5/2 |
| 郷ノ浦 |
壱岐 |
|
良型のイサキにチヌ、クロ! |
夜釣 |
坂本様 |
 |
|
5/2 |
| 郷ノ浦 |
壱岐 |
|
ノッコミ中のチヌです!まだまだ釣れます! |
夜釣 |
首藤様 |
|
|
5/2 |
| 郷ノ浦 |
壱岐 |
|
チヌにイサキ、クロです! |
夜釣 |
河野様 |
 |
|
5/2 |
| 郷ノ浦 |
壱岐 |
|
カンダイですよ~! |
夜釣 |
田中様 |
|
|
5/2 |
| 郷ノ浦 |
壱岐 |
|
イサキにクロ、チヌで好釣果でした!どの魚種も大型も釣れてましたよ! |
夜釣 |
川上グループ様 |
 |
 |
5/1 |
| 郷ノ浦 |
壱岐 |
|
サクラ鯛ですよ~!イサキも釣れてました! |
夜釣 |
真鍋様 |
 |
|
4/27 |
| 郷ノ浦 |
壱岐 |
|
大型イサキにチヌ、クロです! |
日帰 |
広田グループ様 |
|
|
4/20 |
| 郷ノ浦 |
壱岐 |
|
ハトのクロです!数釣れてました! |
夜釣 |
山本様 |
 |
|
4/18 |
| 郷ノ浦 |
壱岐 |
|
大型クロ48cm頭です!イサキも大型で尾長も型揃いですよ~!お見事です! |
夜釣 |
吉開様 |
|
|
4/15 |
| 郷ノ浦 |
壱岐 |
|
サンバソウにクロ、イサキも釣れてます! |
日帰 |
寒川様 |
 |
|
4/15 |
| 郷ノ浦 |
壱岐 |
|
チヌにイサキです!チヌのノッコミ始まってますよ~! |
夜釣 |
持丸・佐々木様 |
|
|
4/10 |
| 郷ノ浦 |
壱岐 |
|
大型真鯛82cm、6.8kg!時化ばかりですが真鯛にチヌ釣れだしてますよ~! |
日帰 |
内野様 |
 |
|
4/9 |
| 郷ノ浦 |
壱岐 |
|
イサキにクロです! |
夜釣 |
古川様 |
 |
|
4/2 |
| 郷ノ浦 |
壱岐 |
|
イサキにクロ!イサキ、良型でした! |
日帰 |
山口様 |
 |
|
3/30 |
| 郷ノ浦 |
壱岐 |
|
クロ!40cmクラスです! |
日帰 |
宮坂様 |
 |
|
3/29 |
| 郷ノ浦 |
壱岐 |
|
イサキです!昼間の釣果です! |
日帰 |
矢野様 |
 |
|
3/26 |
| 郷ノ浦 |
壱岐 |
|
良型の真鯛です!お見事! |
夜釣 |
古田様 |
 |
|
3/20 |
| 郷ノ浦 |
壱岐 |
|
イサキにクロ!クロ40cmでした! |
夜釣 |
龍頭様 |
 |
|
3/20 |
| 郷ノ浦 |
壱岐 |
|
良型真鯛にイサキも釣れてました! |
日帰 |
寒川様 |
 |
|
3/18 |
| 郷ノ浦 |
壱岐 |
|
チヌ、釣れてましたよ! |
日帰 |
川内様 |
 |
|
3/15 |
| 郷ノ浦 |
壱岐 |
|
クロ48cm頭で大型沢山釣れてました!大型のイサキも釣れてますよ! |
日帰 |
村部・鋸崎・長岡様 |
 |
|
3/12 |
| 郷ノ浦 |
壱岐 |
|
クロにイサキ、好釣果です! |
夜釣 |
有川・伊藤・田川様 |
 |
|
3/12 |
| 郷ノ浦 |
壱岐 |
|
大型のアジです!クロにイサキ! |
夜釣 |
津田様 |
 |
|
3/12 |
| 郷ノ浦 |
壱岐 |
|
イサキ!良い型してます! |
夜釣 |
長野様 |
 |
|
3/12 |
| 郷ノ浦 |
壱岐 |
|
大型イサキにクロも40cmあります! |
夜釣 |
松本様 |
 |
|
3/12 |
| 郷ノ浦 |
壱岐 |
|
アジにクロ、チヌです! |
夜釣 |
薦野様 |
 |
|
3/12 |
| 郷ノ浦 |
壱岐 |
|
アジ、イサキ、クロ! |
夜釣 |
宮脇様 |
 |
|
3/12 |
| 郷ノ浦 |
壱岐 |
|
大型クロ50cm、1.9kg!イサキにチヌも釣れてました!クロ釣れてますよ~! |
日帰 |
山口様 |
 |
 |
3/10 |
| 郷ノ浦 |
壱岐 |
|
クロ1.2kgにイサキ1kgありました!大型のイサキにクロ、釣れてます! |
日帰 |
福田様 |
 |
|
3/10 |
| 郷ノ浦 |
壱岐 |
|
イサキに真鯛、クロです! |
夜釣 |
山本様 |
 |
|
3/7 |
| 郷ノ浦 |
壱岐 |
|
イサキにクロ! |
日帰 |
結城様 |
 |
|
3/7 |
| 郷ノ浦 |
壱岐 |
|
爆釣!クロ46cm。1.6kg頭、一日中ずっと釣れてたみたいです!デカいの沢山釣れてます! |
日帰 |
松本様 |
 |
|
3/6 |
| 郷ノ浦 |
壱岐 |
|
大型クロ!釣れてますよ~!大型揃いです! |
日帰 |
前田様 |
 |
|
3/6 |
| 郷ノ浦 |
壱岐 |
|
イサキにクロ、好釣果です! |
夜釣 |
山本様 |
 |
|
3/6 |
| 郷ノ浦 |
壱岐 |
|
大型クロ52cm、2.2kg!40cmオーバー結構釣れてました!流石の釣果です! |
夜釣 |
石田グループ様 |
 |
 |
3/5 |
| 郷ノ浦 |
壱岐 |
|
ルアーゲームでの ヒラスです!良型ですよ~! |
日帰 |
平岡様 |
 |
|
3/5 |
| 郷ノ浦 |
壱岐 |
|
大型クロ48cm、1.6kgです!お見事! |
日帰 |
長嶋様 |
 |
|
3/5 |
| 郷ノ浦 |
壱岐 |
|
イサキにクロ!数釣れてました! |
夜釣 |
占部様 |
 |
|
3/5 |
| 郷ノ浦 |
壱岐 |
|
クロ!良型もいますね! |
夜釣 |
美林様 |
 |
|
3/5 |
| 郷ノ浦 |
壱岐 |
|
短時間ですが結構釣れてますよ~! |
日帰 |
古川様 |
 |
|
3/5 |
| 郷ノ浦 |
壱岐 |
|
大型クロ47cmに41cmです!好釣果です! |
日帰 |
山口様 |
 |
|
3/4 |
| 郷ノ浦 |
壱岐 |
|
大型クロ44cmを2匹!丸々してますよ! |
日帰 |
野畑様 |
 |
|
3/4 |
| 郷ノ浦 |
壱岐 |
|
クロにイサキ!クロ、35cm位までですが数釣れてました!イサキは大型です! |
夜釣 |
水野様 |
 |
|
2/28 |
| 郷ノ浦 |
壱岐 |
|
イサキにクロです! |
日帰 |
結城様 |
 |
|
2/28 |
| 郷ノ浦 |
壱岐 |
|
良型クロにイサキです! |
日帰 |
李様 |
 |
|
2/26 |
| 郷ノ浦 |
壱岐 |
|
平スズキ!好釣果ですよ~! |
日帰 |
中村様 |
 |
|
2/25 |
| 郷ノ浦 |
壱岐 |
|
クロにイサキです! |
日帰 |
藤岡様 |
 |
|
2/25 |
| 郷ノ浦 |
壱岐 |
|
クロ45cm、1.5kg頭に真鯛2.5kg!イサキも40cm以上ありますよ~! |
日帰 |
山口様 |
 |
 |
2/23 |
| 郷ノ浦 |
壱岐 |
|
ササイカ大漁です!中アジも沢山釣れてます。クロもkg級ですよ!好釣果です! |
夜釣 |
重信様 |
 |
 |
2/23 |
| 郷ノ浦 |
壱岐 |
|
二日目の釣果!クロ40オーバー数枚釣れてます、イサキも40オーバーですよ~!釣れてます! |
日帰 |
清川・山本様 |
 |
|
2/22 |
| 郷ノ浦 |
壱岐 |
|
ヒラスにブリ、平スズキ!85cmに77cmです。ルアーでの釣果!お見事! |
日帰 |
大原グループ様 |
 |
|
2/21 |
| 郷ノ浦 |
壱岐 |
|
クロ、イサキ、チヌです!大型ですよ! |
日帰 |
清川・山本様 |
 |
|
2/21 |
| 郷ノ浦 |
壱岐 |
|
真鯛、良型です!イサキもデカいです! |
日帰 |
竹松様 |
 |
|
2/20 |
| 郷ノ浦 |
壱岐 |
|
大型クロ48cm頭です!大型釣れてます! |
日帰 |
寺井様 |
 |
|
2/20 |
| 郷ノ浦 |
壱岐 |
|
大型真鯛86cm、7kgに小アラにイサキです! |
夜釣 |
御厨様 |
 |
 |
2/18 |
| 郷ノ浦 |
壱岐 |
|
大型クロ46cm!時化の中でも釣りますね~! |
日帰 |
野畑様 |
 |
|
2/18 |
| 郷ノ浦 |
壱岐 |
|
クロ数釣りです!良いお土産になりますよ~! |
日帰 |
宮坂・斎藤様 |
 |
|
2/17 |
| 郷ノ浦 |
壱岐 |
|
良型真鯛にクロも40オーバー数枚いますよ! |
夜釣 |
山本グループ様 |
 |
 |
2/12 |
| 郷ノ浦 |
壱岐 |
|
大型クロ45cmにイサキも良型です! |
日帰 |
清川様 |
 |
|
2/12 |
| 郷ノ浦 |
壱岐 |
|
大型クロ40オーバー釣れてますね! |
日帰 |
山口様 |
 |
|
2/12 |
| 郷ノ浦 |
壱岐 |
|
大型クロ46cm1.6kg頭にイサキも大型です!大漁でしたよ~!クロまだまだ釣れます! |
日帰 |
鋸崎様 |
 |
|
2/11 |
| 郷ノ浦 |
壱岐 |
|
大型クロ44cmにイサキ!釣れてますよ~! |
日帰 |
村部様 |
 |
|
2/11 |
| 郷ノ浦 |
壱岐 |
|
クロ40cmオーバーに真鯛です!お見事! |
日帰 |
星山様 |
 |
|
2/11 |
| 郷ノ浦 |
壱岐 |
|
クロ、大型釣れてますよ~! |
日帰 |
長岡様 |
 |
|
2/11 |
| 郷ノ浦 |
壱岐 |
|
良型クロ、40cmオーバーです! |
日帰 |
結城様 |
 |
|
2/8 |
| 郷ノ浦 |
壱岐 |
|
大型クロ45cm頭にイサキも釣れてます!ウマズラ、腹パンパンでしたよ~! |
夜釣 |
牧園様 |
 |
|
2/6 |
| 郷ノ浦 |
壱岐 |
|
イサキにアコウ、クロ良型いますよ! |
夜釣 |
牧園様 |
 |
|
2/6 |
| 郷ノ浦 |
壱岐 |
|
ルアーフィッシング、青物です! |
日帰 |
松岡様 |
 |
|
2/6 |
| 郷ノ浦 |
壱岐 |
|
良型70オーバーの真鯛に石鯛、クロもデカいです!好釣果お見事です! |
夜釣 |
龍頭グループ様 |
 |
 |
2/5 |
| 郷ノ浦 |
壱岐 |
|
クロ良型揃いの40cmクラスです!体高が凄いです!クロ今からが本番ですよ~!期待大!! |
夜釣 |
中村・赤間様 |
 |
|
2/5 |
| 郷ノ浦 |
壱岐 |
|
大型クロ53cmですよ~!丸々してました!時化ばかりで数は今ひとつですが釣れるのは大型揃いですよ~! |
夜釣 |
古川様 |
 |
|
2/4 |
| 郷ノ浦 |
壱岐 |
|
クロ、イサキ共に40オーバーです!お見事! |
夜釣 |
大川様 |
 |
 |
2/4 |
| 郷ノ浦 |
壱岐 |
|
良型のヒラスです!お見事です! |
日帰 |
原田様 |
 |
|
1/31 |
| 郷ノ浦 |
壱岐 |
|
クロ40オーバー数枚に良型真鯛!好釣果! |
日帰 |
山口様 |
 |
|
1/29 |
| 郷ノ浦 |
壱岐 |
|
大型クロ45cmクラスでした! |
日帰 |
福田様 |
 |
|
1/22 |
| 郷ノ浦 |
壱岐 |
|
40オーバー沢山釣れてますよ! |
日帰 |
山口様 |
 |
|
1/22 |
| 郷ノ浦 |
壱岐 |
|
大型クロ46cm頭です!お見事です! |
日帰 |
古川様 |
 |
|
1/21 |
| 郷ノ浦 |
壱岐 |
|
大型クロにイサキ!クーラー満タンの釣果です!流石です! |
日帰 |
鋸崎様 |
 |
|
1/21 |
| 郷ノ浦 |
壱岐 |
|
大型クロ40オーバー2匹釣れてました! |
日帰 |
長岡様 |
 |
|
1/21 |
| 郷ノ浦 |
壱岐 |
|
良型真鯛です!昼も狙えますよ~! |
日帰 |
市山様 |
 |
|
1/19 |
| 郷ノ浦 |
壱岐 |
|
大型クロ、40オーバーのみの持ち帰りです! |
日帰 |
住吉様 |
 |
|
1/19 |
| 郷ノ浦 |
壱岐 |
|
クロ、大型もいますよ~! |
日帰 |
山口様 |
 |
|
1/16 |
| 郷ノ浦 |
壱岐 |
|
デカアジ50cmにクロ45cm!バッカンにもアジ入ってますよ!好釣果です! |
夜釣 |
井上様 |
 |
 |
1/12 |
| 郷ノ浦 |
壱岐 |
|
デカアジにクロも40オーバーいます! |
夜釣 |
丸目・岡崎様 |
 |
|
1/12 |
| 郷ノ浦 |
壱岐 |
|
良型真鯛にイサキ、ウマズラ!イサキ良型です |
夜釣 |
白木様 |
 |
|
1/12 |
| 郷ノ浦 |
壱岐 |
|
大型のクロに小アラ、イサキ、メイタです! |
夜釣 |
高鍋様 |
 |
|
1/12 |
| 郷ノ浦 |
壱岐 |
|
フカセでヨコワです(笑)クロも40オーバーつれてますよ!お見事! |
日帰 |
清川様 |
 |
 |
1/11 |
| 郷ノ浦 |
壱岐 |
|
良型のクロ!好釣果ですよ~! |
日帰 |
木脇様 |
 |
|
1/11 |
| 郷ノ浦 |
壱岐 |
|
大型クロ45~38cm以下はリリースしたそうです、爆釣だったみたいですよ! |
日帰 |
星山様 |
 |
|
1/11 |
| |
|
|
お知らせです、2月1日より料金を燃料高騰のため1000円アップさせて頂きます。皆さまには出航時間、回収時間等の調整ご協力ありがとうございました、今後もよろしくお願い致します! 料金案内は変更後の物になります! |
|
|
|
| 郷ノ浦 |
壱岐 |
|
大型クロ40後半ばかりの好釣果! |
夜釣 |
廣田・永様 |
 |
|
1/9 |
| 郷ノ浦 |
壱岐 |
|
大型クロ48cmに石鯛、イサキ! |
夜釣 |
吉丸様 |
 |
|
1/9 |
| 郷ノ浦 |
壱岐 |
|
ブリ、好釣果でしたよ~! |
日帰 |
泉グループ様 |
 |
|
1/8 |
| 郷ノ浦 |
壱岐 |
|
大型クロ49cmに44cm!大型揃いです! |
日帰 |
寺田・橋本様 |
 |
|
1/8 |
| 郷ノ浦 |
壱岐 |
|
平スズキ76cmの良型です! |
日帰 |
中村様 |
 |
|
1/8 |
| 郷ノ浦 |
壱岐 |
|
ブリです!デカいバラシもあったそうですよ! |
日帰 |
須崎様 |
 |
|
1/8 |
| 郷ノ浦 |
壱岐 |
|
真鯛に石鯛、クロです! |
日帰 |
寒川様 |
 |
|
1/7 |
| 郷ノ浦 |
壱岐 |
|
大型クロ釣れてますよ~!好釣果! |
夜釣 |
松村・満保様 |
 |
 |
1/6 |
| 郷ノ浦 |
壱岐 |
|
大型クロにイサキです!大物来てますよ! |
日帰 |
岩谷様 |
 |
|
1/5 |
| 郷ノ浦 |
壱岐 |
|
クロ好調ですよ!期待大です(笑) |
夜釣 |
坂本様 |
 |
|
1/5 |
| 郷ノ浦 |
壱岐 |
|
尾長クロ46cmに口太43cm!好釣果でした!40cmオーバー結構いますよ! |
日帰 |
中嶋・篠﨑様 |
 |
 |
1/2 |
| 郷ノ浦 |
壱岐 |
|
クロ45cmに43cm、数も大漁に釣れてました! |
日帰 |
石井様 |
 |
|
1/2 |
| 郷ノ浦 |
壱岐 |
|
クロ40cm~35cmまでの良型揃いでクーラー満タンですよ~!お見事です! |
日帰 |
鬼塚様 |
 |
|
1/1 |
| 郷ノ浦 |
壱岐 |
|
大型クロ49cmです!イサキも大型でした! |
日帰 |
鋸崎様 |
 |
|
12/31 |
| 郷ノ浦 |
壱岐 |
|
真鯛にイサキです! |
夜釣 |
下川様 |
 |
|
12/31 |
| 郷ノ浦 |
壱岐 |
|
クロ51cmに50cm!見事な釣果です! |
日帰 |
篠﨑様 |
 |
 |
12/30 |
| 郷ノ浦 |
壱岐 |
|
大型真鯛83cm、6.4kg!クロも40オーバーです!絶好釣ですよ~! |
夜釣 |
吉開様 |
 |
 |
12/30 |
| 郷ノ浦 |
壱岐 |
|
クロ52cm!他も大型揃いです! |
日帰 |
中田・石井様 |
 |
 |
12/30 |
| 郷ノ浦 |
壱岐 |
|
クロ51cm!朝方に釣れたそうです! |
夜釣 |
城戸様 |
 |
|
12/30 |
| 郷ノ浦 |
壱岐 |
|
クロ50cm!他も大型揃いです! |
日帰 |
野畑様 |
 |
|
12/30 |
| 郷ノ浦 |
壱岐 |
|
40オーバー数釣れてますよ~! |
日帰 |
篠﨑様 |
 |
|
12/30 |
| 郷ノ浦 |
壱岐 |
|
40cmオーバー3枚です!お見事! |
日帰 |
辻元様 |
 |
|
12/30 |
| 郷ノ浦 |
壱岐 |
|
大型クロ!釣れてますよ~!お見事! |
日帰 |
長嶋様 |
 |
|
12/29 |
| 郷ノ浦 |
壱岐 |
|
クロ釣れてます!尾長1.2kg! |
日帰 |
野畑様 |
 |
|
12/29 |
| 郷ノ浦 |
壱岐 |
|
大型クロ48cmです!好釣果です! |
日帰 |
寺田様 |
 |
|
12/28 |
| 郷ノ浦 |
壱岐 |
|
クロ45cmクラス複数釣れてます! |
日帰 |
宮坂様 |
 |
|
12/28 |
| 郷ノ浦 |
壱岐 |
|
クロ45cmクラス好釣果ですよ~! |
日帰 |
山川様 |
 |
|
12/28 |
| 郷ノ浦 |
壱岐 |
|
大型クロ45cm、1.4kg頭に大型数釣れてます!見事な釣果です!イサキも良型でしたよ~! |
日帰 |
宮原様 |
 |
|
12/27 |
| 郷ノ浦 |
壱岐 |
|
大型クロ44cmに41cm!クロ釣れてますよ~! |
日帰 |
結城様 |
 |
|
12/27 |
| 郷ノ浦 |
壱岐 |
|
大型口太クロ52cm、2kgに47cm、40が2匹!大型クロ釣れてますよー!お見事でした! |
日帰 |
木脇様 |
 |
 |
12/26 |
| 郷ノ浦 |
壱岐 |
|
クロ40オーバーですよ~! |
日帰 |
村部様 |
 |
|
12/20 |
| 郷ノ浦 |
壱岐 |
|
大型口太48cmに尾長44cmです!お見事! |
日帰 |
辻元様 |
 |
|
12/16 |
| 郷ノ浦 |
壱岐 |
|
特大クロ51cmに50cm!40後半も数枚釣れて好釣果、大型来てますよ! |
日帰 |
広田様 |
 |
 |
12/12 |
| 郷ノ浦 |
壱岐 |
|
ヒラマサ93cm6.4kgに平スズキ78cm!お見事です! |
日帰 |
竹松・野根様 |
 |
 |
12/12 |
| 郷ノ浦 |
壱岐 |
|
大型クロ48cm1.8kg頭に大型釣れてます!大風で竿が出せない中での釣果です! |
夜釣 |
大川グループ様 |
 |
|
12/12 |
| 郷ノ浦 |
壱岐 |
|
大型クロ47cm2匹頭に好釣果! |
日帰 |
広田様 |
 |
|
12/11 |
| 郷ノ浦 |
壱岐 |
|
平スズキ釣れてますよ! |
日帰 |
高松様 |
 |
|
12/11 |
| 郷ノ浦 |
壱岐 |
|
クロ40オーバーにアジも良型です! |
夜釣 |
河合様 |
 |
|
12/10 |
| 郷ノ浦 |
壱岐 |
|
爆釣!一人分の釣果ですよ~!大アジ52cm、1kgにクロ45cm、1.5kg40オーバー沢山釣れてました!イサキも40オーバーです! |
夜釣 |
井上様 |
 |
 |
12/9 |
| 郷ノ浦 |
壱岐 |
|
良型の 真鯛にイサキ40cmクラスにクロです!好釣果お見事です! |
夜釣 |
近藤・右田様 |
 |
|
12/9 |
| 郷ノ浦 |
壱岐 |
|
大型クロ44cm、1.3kgです! |
日帰 |
増田様 |
 |
|
12/9 |
| 郷ノ浦 |
壱岐 |
|
大型クロ40cmクラス で数も釣れてます! |
日帰 |
寺田様 |
 |
|
12/8 |
| 郷ノ浦 |
壱岐 |
|
ヒラスです!青物5本の好釣果でしたよ! |
日帰 |
古賀様 |
 |
|
12/5 |
| 郷ノ浦 |
壱岐 |
|
大型 クロ40オーバーにイサキです!大型クロ釣れてますよ~! |
夜釣 |
中元様 |
 |
|
12/5 |
| 郷ノ浦 |
壱岐 |
|
良型イサキです!好釣果でしたよ! |
夜釣 |
西村様 |
 |
|
11/28 |
| 郷ノ浦 |
壱岐 |
|
大型クロ40オーバー数匹に大アジです! |
夜釣 |
平野・寺田様 |
 |
 |
11/27 |
| 郷ノ浦 |
壱岐 |
|
クロにアジ、イサキです! |
夜釣 |
下川様 |
 |
|
11/27 |
| 郷ノ浦 |
壱岐 |
|
良型の真鯛にクロも良型釣れてました! |
夜釣 |
美林様 |
 |
|
11/26 |
| 郷ノ浦 |
壱岐 |
|
大型クロ40オーバーに大アジ、イサキ、真鯛!大漁でした!クロ好調ですよ!! |
夜釣 |
荒磯様 |
 |
|
11/22 |
| 郷ノ浦 |
壱岐 |
|
大アジ48cm、大型クロ、シマアジ、好釣果です!大アジも釣れだしましたね! |
夜釣 |
今泉様 |
 |
 |
11/22 |
| 郷ノ浦 |
壱岐 |
|
クロ40cmクラス釣れてますよ~!イサキも良型です! |
夜釣 |
古川様 |
 |
|
11/22 |
| 郷ノ浦 |
壱岐 |
|
大型イサキにクロ40cmクラスです! |
夜釣 |
大川様 |
 |
|
11/22 |
| 郷ノ浦 |
壱岐 |
|
イシガキにヒラスです! |
夜釣 |
石田様 |
 |
|
11/22 |
| 郷ノ浦 |
壱岐 |
|
ハトのクロです!数釣れてます! |
日帰 |
宮坂様 |
 |
|
11/21 |
| 郷ノ浦 |
壱岐 |
|
大型クロ45cm位が複数釣れてましたよ~!お見事でした、良型のアジも釣れてました! |
夜釣 |
有川・田川・伊藤様 |
 |
|
11/19 |
| 郷ノ浦 |
壱岐 |
|
アラにクロです! |
夜釣 |
池田様 |
 |
|
11/19 |
| 郷ノ浦 |
壱岐 |
|
クロです!好釣果でした! |
日帰 |
長岡様 |
 |
|
11/19 |
| 郷ノ浦 |
壱岐 |
|
ヒラスです! |
日帰 |
石川様 |
 |
|
11/17 |
| 郷ノ浦 |
壱岐 |
|
良型の石鯛にイシガキです! |
日帰 |
川瀬様 |
 |
|
11/16 |
| 郷ノ浦 |
壱岐 |
|
大型クロ46cmに45cm! |
日帰 |
馬場様 |
 |
 |
11/16 |
| 郷ノ浦 |
壱岐 |
|
クロ、数釣れてます~! |
夜釣 |
栗木様 |
 |
|
11/15 |
| 郷ノ浦 |
壱岐 |
|
イサキにクロ、好釣果です! |
夜釣 |
大石様 |
 |
|
11/13 |
| 郷ノ浦 |
壱岐 |
|
イサキ、クロ、シマアジ!クーラー満タン! |
夜釣 |
三苫様 |
 |
|
11/12 |
| 郷ノ浦 |
壱岐 |
|
シマアジにイサキ、クロ!好釣果です! |
夜釣 |
森田様 |
 |
|
11/12 |
| 郷ノ浦 |
壱岐 |
|
大型イサキ40cmクラス、大漁でした! |
日帰 |
寒川様 |
 |
|
11/12 |
| 郷ノ浦 |
壱岐 |
|
ヒラマサです!92cm、6.5kgお見事です! |
日帰 |
平川・前川様 |
 |
 |
11/11 |
| 郷ノ浦 |
壱岐 |
|
大型真鯛80オーバーの5kgクラスです!クロも40cm以上ありましたよ~! |
夜釣 |
吉武様 |
 |
 |
11/11 |
| 郷ノ浦 |
壱岐 |
|
アカハタ、大漁です! |
夜釣 |
田中様 |
 |
|
11/11 |
| 郷ノ浦 |
壱岐 |
|
クロ、数釣りです!まずまずサイズいますよ! |
日帰 |
寒川様 |
 |
|
11/11 |
| 郷ノ浦 |
壱岐 |
|
良型クロにイサキです! |
夜釣 |
白木様 |
 |
|
11/10 |
| 郷ノ浦 |
壱岐 |
|
良型真鯛にクロ42cm頭、イサキ!好釣果! |
夜釣 |
荒磯様 |
 |
|
11/8 |
| 郷ノ浦 |
壱岐 |
|
大型イサキに良型クロ、大漁ですよ! |
夜釣 |
今泉様 |
 |
|
11/8 |
| 郷ノ浦 |
壱岐 |
|
ショアジギングでヒラス3本釣れたそうです! |
日帰 |
桑野様 |
 |
|
11/7 |
| 郷ノ浦 |
壱岐 |
|
良型真鯛4kgにイサキ、クロ、大漁です! |
夜釣 |
美林様 |
 |
 |
11/6 |
| 郷ノ浦 |
壱岐 |
|
大アジ釣れてました!クロも40オーバー複数枚つれてました!見事な釣果です! |
夜釣 |
古川様 |
 |
|
11/6 |
| 郷ノ浦 |
壱岐 |
|
大アジにイサキ、クロ!クーラー満タンです! |
夜釣 |
石橋グループ様 |
 |
|
11/6 |
| 郷ノ浦 |
壱岐 |
|
真鯛です!真鯛釣れだしました! |
夜釣 |
辻様 |
 |
|
11/6 |
| 郷ノ浦 |
壱岐 |
|
真鯛3.5kgにイサキ、クロ!好釣果です! |
夜釣 |
西村様 |
 |
|
11/5 |
| 郷ノ浦 |
壱岐 |
|
イサキにクロ!大漁です! |
夜釣 |
河村様 |
 |
|
11/4 |
| 郷ノ浦 |
壱岐 |
|
良型クロ42cm頭です! |
日帰 |
野畑様 |
 |
|
11/4 |
| 郷ノ浦 |
壱岐 |
|
2日目の釣果です!クロ45cm頭にヒラス、スマカツオ、タイ!流石の釣果です! |
日帰 |
清川様 |
 |
|
11/3 |
| 郷ノ浦 |
壱岐 |
|
ルアーフィッシング!良型のヒラメ78cm,5.2kgです! |
日帰 |
岩澤様 |
 |
|
11/3 |
| 郷ノ浦 |
壱岐 |
|
平スズキ!好釣果ですよ~! |
日帰 |
中村様 |
 |
|
11/3 |
| 郷ノ浦 |
壱岐 |
|
大型クロです!クロ、大物でてますよ~! |
日帰 |
寒竹様 |
 |
|
11/3 |
| 郷ノ浦 |
壱岐 |
|
真鯛3kgクラスにイサキも大型です! |
夜釣 |
山田様 |
 |
|
11/3 |
| 郷ノ浦 |
壱岐 |
|
大型クロ45cmに44cm!釣れてますね! |
日帰 |
清川様 |
 |
|
11/2 |
| 郷ノ浦 |
壱岐 |
|
大型イサキに平スズキ!お見事! |
夜釣 |
宮脇様 |
 |
|
11/2 |
| 郷ノ浦 |
壱岐 |
|
良型のヒラスにイサキ、下の方に40オーバーのクロも釣れてましたよ! |
夜釣 |
田中様 |
 |
|
11/2 |
| 郷ノ浦 |
壱岐 |
|
クロ、数釣りです! |
日帰 |
宮坂様 |
 |
|
11/2 |
| 郷ノ浦 |
壱岐 |
|
大型クロに良型アジ、イサキ!好釣果! |
夜釣 |
古田様 |
 |
|
10/30 |
| 郷ノ浦 |
壱岐 |
|
イサキ特大です!クロ数釣れてます!久しぶりの釣行ですけど相変わらずの釣果です(笑) |
日帰 |
寒川様 |
 |
|
10/29 |
| 郷ノ浦 |
壱岐 |
|
大型クロ46cmにアジまずまずのサイズです! |
夜釣 |
東様 |
 |
|
10/29 |
| 郷ノ浦 |
壱岐 |
|
クロにイサキです!好釣果! |
夜釣 |
白木様 |
 |
|
10/28 |
| 郷ノ浦 |
壱岐 |
|
大型クロです!お見事! |
日帰 |
川内様 |
 |
|
10/27 |
| 郷ノ浦 |
壱岐 |
|
イシガキにイサキです!良型イサキもいますよ |
夜釣 |
森田グループ様 |
 |
|
10/24 |
| 郷ノ浦 |
壱岐 |
|
大型クロ45cm頭にイサキもデカいです! |
夜釣 |
坂本様 |
 |
|
10/23 |
| 郷ノ浦 |
壱岐 |
|
平スズキ74cm!相変わらず釣ってます! |
日帰 |
馬場様 |
 |
 |
10/23 |
| 郷ノ浦 |
壱岐 |
|
大型クロ46cm!お見事! |
夜釣 |
下津様 |
 |
|
10/23 |
| 郷ノ浦 |
壱岐 |
|
クロにイサキ!好釣果ですよ~! |
夜釣 |
吉武様 |
 |
|
10/22 |
| 郷ノ浦 |
壱岐 |
|
イサキ、クロ、シマアジです! |
夜釣 |
大城様 |
 |
|
10/22 |
| 郷ノ浦 |
壱岐 |
|
爆釣!全然クーラーに納まりません(笑)石鯛、アラ、イサキ、スズキ!イサキは大型もいます! |
夜釣 |
一ノ瀬・河合様 |
 |
|
10/21 |
| 郷ノ浦 |
壱岐 |
|
イシガキ、良型数釣れてました! |
夜釣 |
竹藤様 |
 |
 |
10/19 |
| 郷ノ浦 |
壱岐 |
|
大型クロ52cm、2.0kg!クロ、今からです、大型狙って行きましょう!好釣果お見事です! |
夜釣 |
中村・廣田様 |
 |
 |
10/16 |
| 郷ノ浦 |
壱岐 |
|
クロ40cm、数も釣れてますよ! |
夜釣 |
淡島・薦田様 |
 |
|
10/15 |
| 郷ノ浦 |
壱岐 |
|
クロ40オーバー!イサキも良型です! |
夜釣 |
井上様 |
 |
|
10/15 |
| 郷ノ浦 |
壱岐 |
|
ハトのクロにアジです!お土産できてます! |
夜釣 |
藤川様 |
 |
|
10/15 |
| 郷ノ浦 |
壱岐 |
|
時化ばかりですがそんな時はルアーです!平スズキ大量でしたよ~! |
日帰 |
馬場グループ様 |
 |
|
10/10 |
| 郷ノ浦 |
壱岐 |
|
平スズキにヒラスです!好釣果!青物今から釣れだしますよ~! |
日帰 |
中野様 |
 |
|
10/8 |
| 郷ノ浦 |
壱岐 |
|
イサキにクロ、平スズキです!好釣果! |
夜釣 |
大庭・宮脇・長野様 |
 |
|
10/4 |
| 郷ノ浦 |
壱岐 |
|
イサキにクロ!釣れてますよ! |
夜釣 |
西村グループ様 |
 |
|
10/4 |
| 郷ノ浦 |
壱岐 |
|
大型クロ45cm!お見事です! |
日帰 |
野畑様 |
 |
|
10/2 |
| 郷ノ浦 |
壱岐 |
|
アカハタ、良型ですね~!クロも釣れてます! |
夜釣 |
中村様 |
 |
|
10/2 |
| 郷ノ浦 |
壱岐 |
|
平スズキ、サラシ無くても釣りますからね~(笑) 流石の一言です! |
日帰 |
馬場様 |
 |
|
10/1 |
| 郷ノ浦 |
壱岐 |
|
良型イサキにクロ、平アジ!足裏サイズは沢山釣れますよ~!楽しめます(笑) |
夜釣 |
田川グループ様 |
 |
|
9/30 |
| 郷ノ浦 |
壱岐 |
|
平アジに 大型イサキ、クロ、好釣果でした! |
夜釣 |
薦野様 |
 |
|
9/25 |
| 郷ノ浦 |
壱岐 |
|
平スズキ!カツオとネリゴも釣れてますよ! |
日帰 |
馬場様 |
 |
|
9/24 |
| 郷ノ浦 |
壱岐 |
|
良型真鯛です!お見事です! |
夜釣 |
徳重・吉井・水城様 |
 |
|
9/23 |
| 郷ノ浦 |
壱岐 |
|
スズキ、イサキ、真鯛、クロ、クーラー満タンの釣果です! |
夜釣 |
吉開様 |
 |
|
9/23 |
| 郷ノ浦 |
壱岐 |
|
イサキ!良型ですよ~! |
夜釣 |
大石様 |
 |
|
9/23 |
| 郷ノ浦 |
壱岐 |
|
ハト、朝のみ短時間の釣果です! |
日帰 |
大河内様 |
 |
|
9/23 |
| 郷ノ浦 |
壱岐 |
|
良型イサキです!好釣果でしたよ! |
夜釣 |
西村様 |
 |
|
9/16 |
| 郷ノ浦 |
壱岐 |
|
大型イサキにクロ、スズキにチヌもいますよ!一人でクーラー2つの大漁ですよ~! |
夜釣 |
野上様 |
 |
|
8/30 |
| 郷ノ浦 |
壱岐 |
|
良型のイサキに40cm弱のクロも釣れてます! |
夜釣 |
吉開様 |
 |
|
8/29 |
| 郷ノ浦 |
壱岐 |
|
大型イサキ!数も釣れてましたよ! |
夜釣 |
古賀様 |
 |
|
8/25 |
| 郷ノ浦 |
壱岐 |
|
イサキにクロ、チヌ、好釣果でしたよ! |
夜釣 |
西村・川原様 |
 |
|
8/13 |
| 郷ノ浦 |
壱岐 |
|
大型クロ44cm頭にイサキ、チヌ!好釣果! |
夜釣 |
直方荒磯様 |
 |
|
8/7 |
| 郷ノ浦 |
壱岐 |
|
大型イサキにクロです!大漁! |
夜釣 |
河合様 |
 |
|
8/6 |
| 郷ノ浦 |
壱岐 |
|
アラにイシガキです! |
夜釣 |
江口様 |
 |
|
8/4 |
| 郷ノ浦 |
壱岐 |
|
平スズキ5本です!朝の短時間の釣行です! |
日帰 |
馬場様 |
 |
|
7/30 |
| 郷ノ浦 |
壱岐 |
|
イサキにクロ!40クラスもいましたよ! |
夜釣 |
藤田様 |
 |
|
7/29 |
| 郷ノ浦 |
壱岐 |
|
大型イサキにクロ、アジ!好釣果です! |
夜釣 |
山本・近藤・右田様 |
 |
 |
7/28 |
| 郷ノ浦 |
壱岐 |
|
イサキにクロ、メイタです! |
夜釣 |
坂本様 |
 |
|
7/28 |
| 郷ノ浦 |
壱岐 |
|
良型 イサキ、クロ、チヌ、アジも良型です! |
夜釣 |
首藤・前田様 |
 |
|
7/24 |
| 郷ノ浦 |
壱岐 |
|
大型イサキ40オーバーです!平スズキも良型でしたよ~! |
夜釣 |
馬場様 |
 |
|
7/17 |
| 郷ノ浦 |
壱岐 |
|
イシガキ、石鯛です! ガキ、数釣れてますよ! |
夜釣 |
橋本グループ様 |
 |
 |
7/17 |
| 郷ノ浦 |
壱岐 |
|
イサキにクロです! |
夜釣 |
吉峰様 |
 |
|
7/17 |
| 郷ノ浦 |
壱岐 |
|
大型イサキ40cmクラスです!クロも42cm釣れてましよ!数も釣れて好釣果でした! |
夜釣 |
鈴木様 |
 |
|
7/13 |
| 郷ノ浦 |
壱岐 |
|
大型クーラー満タンの釣果です!イサキ、大型で大漁でした!クロも30後半の良型です! |
夜釣 |
栗木様 |
 |
|
7/12 |
| 郷ノ浦 |
壱岐 |
|
イサキです! |
夜釣 |
長野様 |
 |
|
7/11 |
| 郷ノ浦 |
壱岐 |
|
大漁です!良型真鯛に大型イサキ、クロ、クーラー満タンの釣果です! |
夜釣 |
武田様 |
 |
|
7/10 |
| 郷ノ浦 |
壱岐 |
|
イサキにクロです! |
夜釣 |
井上様 |
 |
|
7/10 |
| 郷ノ浦 |
壱岐 |
|
イサキにクロ、釣れてますよ!好釣果! |
夜釣 |
荒磯会様 |
 |
|
7/8 |
| 郷ノ浦 |
壱岐 |
|
イサキに根魚です!釣れてますね! |
夜釣 |
柴垣様 |
 |
|
7/7 |
| 郷ノ浦 |
壱岐 |
|
イサキにクロです! |
夜釣 |
古田様 |
 |
|
7/3 |
| 郷ノ浦 |
壱岐 |
|
イサキ!好釣果ですよ~! |
夜釣 |
挽地様 |
 |
|
7/2 |
| 郷ノ浦 |
壱岐 |
|
イサキ、数釣れてますよ! |
夜釣 |
徳永様 |
 |
|
7/2 |
| 郷ノ浦 |
壱岐 |
|
イサキです! |
夜釣 |
武田様 |
 |
|
7/2 |
| 郷ノ浦 |
壱岐 |
|
イサキ!好釣果! |
夜釣 |
森田・吉丸様 |
 |
 |
6/20 |
| 郷ノ浦 |
壱岐 |
|
大型クロ42cmにイサキ! |
夜釣 |
龍頭・清水様 |
 |
|
6/19 |
| 郷ノ浦 |
壱岐 |
|
クロ40cm、イサキ! |
夜釣 |
美林様 |
 |
|
6/19 |
| 郷ノ浦 |
壱岐 |
|
イサキです! |
夜釣 |
古川様 |
 |
|
6/19 |
| 郷ノ浦 |
壱岐 |
|
イサキにクロ! |
夜釣 |
古田様 |
 |
|
6/18 |
| 郷ノ浦 |
壱岐 |
|
良型イサキ!好釣果です! |
夜釣 |
西村様 |
 |
|
6/17 |
| 郷ノ浦 |
壱岐 |
|
梅雨グロです!数釣れてますよ! |
夜釣 |
古川様 |
 |
|
6/16 |
| 郷ノ浦 |
壱岐 |
|
大型イサキに平スズキ!朝のみ短時間です! |
日帰 |
出口様 |
 |
|
6/12 |
| 郷ノ浦 |
壱岐 |
|
真鯛、イサキ、クロ、良型のみの持ち帰りです! |
夜釣 |
寺田・橋本様 |
 |
|
6/12 |
| 郷ノ浦 |
壱岐 |
|
ハトでも良型イサキ釣れてましたよ~! |
夜釣 |
寒川様 |
 |
|
6/11 |
| 郷ノ浦 |
壱岐 |
|
クロにイサキ!クロ、良型ですよ~! |
夜釣 |
薦田・添島様 |
 |
|
6/11 |
| 郷ノ浦 |
壱岐 |
|
イシガキです!良型ですよ! |
夜釣 |
稲田様 |
 |
|
6/10 |
| 郷ノ浦 |
壱岐 |
|
イサキ、デカいです!クロも釣れてます! |
夜釣 |
平野・寺田様 |
 |
|
6/10 |
| 郷ノ浦 |
壱岐 |
|
クロ、数釣りです!20~35cm! |
夜釣 |
渋田様 |
 |
|
6/10 |
| 郷ノ浦 |
壱岐 |
|
クロ45cm2匹にイサキ!尾長釣れてます! |
夜釣 |
廣田グループ様 |
 |
|
6/5 |
| 郷ノ浦 |
壱岐 |
|
イサキ釣れてますよ! |
夜釣 |
下川様 |
 |
|
6/5 |
| 郷ノ浦 |
壱岐 |
|
クロ44cm1.3kgにイサキ!イサキ良型です! |
夜釣 |
森田様 |
 |
|
6/5 |
| 郷ノ浦 |
壱岐 |
|
真鯛にクロです! |
夜釣 |
吉井様 |
 |
|
6/4 |
| 郷ノ浦 |
壱岐 |
|
イサキです!数釣れてます! |
夜釣 |
徳永様 |
 |
|
6/4 |
| 郷ノ浦 |
壱岐 |
|
クロ45cm、イサキも大型です!お見事! |
夜釣 |
三苫様 |
 |
|
6/3 |
| 郷ノ浦 |
壱岐 |
|
イサキ釣れてますよ~! |
夜釣 |
田中様 |
 |
|
6/3 |
| 郷ノ浦 |
壱岐 |
|
良型真鯛にイサキ!好釣果です! |
夜釣 |
白木様 |
 |
 |
6/2 |
| 郷ノ浦 |
壱岐 |
|
イサキにクロ!イサキ大漁ですね~! |
夜釣 |
荒磯会様 |
 |
|
6/2 |
| 郷ノ浦 |
壱岐 |
|
真鯛にクロ、イサキも釣れてます! |
夜釣 |
柴垣様 |
 |
|
6/1 |
| 郷ノ浦 |
壱岐 |
|
尾長クロ42cm頭で数釣りです! |
夜釣 |
田川グループ様 |
 |
 |
6/1 |
| 郷ノ浦 |
壱岐 |
|
大型 平スズキ78cmにイサキも40cmオーバーの良型です!ルアーの釣果です! |
日帰 |
出口様 |
 |
|
5/28 |
| 郷ノ浦 |
壱岐 |
|
イサキ大型です!クロも釣れてます! |
夜釣 |
吉開様 |
 |
|
5/28 |
| 郷ノ浦 |
壱岐 |
|
大型クロ46cmにイサキ、好釣果です! |
夜釣 |
田辺様 |
 |
|
5/26 |
| 郷ノ浦 |
壱岐 |
|
クロにイサキです! |
夜釣 |
延原様 |
 |
|
5/25 |
| 郷ノ浦 |
壱岐 |
|
大型真鯛82cm、6.2kg!お見事です! |
日帰 |
石田様 |
 |
|
5/23 |
| 郷ノ浦 |
壱岐 |
|
尾長クロ42cm、イサキ40cm頭です! |
夜釣 |
小池・挽地様 |
 |
|
5/23 |
| 郷ノ浦 |
壱岐 |
|
イサキ大型です!イサキこれからですよ~! |
夜釣 |
河合・今村様 |
 |
|
5/22 |
| 郷ノ浦 |
壱岐 |
|
イサキ、大型ですよ~!大漁です! |
夜釣 |
西村様 |
 |
|
5/21 |
| 郷ノ浦 |
壱岐 |
|
朝のみ短時間でクロ数釣りです! |
日帰 |
山口様 |
 |
|
5/21 |
| 郷ノ浦 |
壱岐 |
|
イサキ大漁です!クロも釣れてます、好釣果! |
夜釣 |
荒磯会 |
 |
|
5/19 |
| 郷ノ浦 |
壱岐 |
|
イサキにクロ、良型いますね~! |
夜釣 |
山本様 |
 |
|
5/19 |
| 郷ノ浦 |
壱岐 |
|
アラカブ数釣れてます!クロ、イサキ! |
夜釣 |
右田様 |
 |
|
5/19 |
| 郷ノ浦 |
壱岐 |
|
クーラー満タンの釣果です!五目釣り! |
夜釣 |
古賀様 |
 |
|
5/16 |
| 郷ノ浦 |
壱岐 |
|
平スズキに大型イサキです!イサキ40cmオーバー釣れてました、朝のみ短時間の釣果! |
日帰 |
馬場・長谷川様 |
 |
|
5/15 |
| 郷ノ浦 |
壱岐 |
|
クロ44cm、1.6kgにイサキも大型です! |
日帰 |
松隈・長嶋様 |
 |
|
5/15 |
| 郷ノ浦 |
壱岐 |
|
クロ46cm、1.5kgにイサキ、チヌです! |
夜釣 |
御厨様 |
 |
|
5/11 |
| 郷ノ浦 |
壱岐 |
|
クロ45cm、1.5kg!イサキもデカいです! |
日帰 |
馬場様 |
 |
|
5/11 |
| 郷ノ浦 |
壱岐 |
|
大型クロ45cmに44cm! |
日帰 |
山口様 |
 |
|
5/11 |
| 郷ノ浦 |
壱岐 |
|
クロ41cm! |
日帰 |
福田様 |
 |
|
5/11 |
| 郷ノ浦 |
壱岐 |
|
クロ40cm!尾長釣れてますよー! |
日帰 |
宮坂様 |
 |
|
5/10 |
| 郷ノ浦 |
壱岐 |
|
大型クロ43cmにイサキも良いサイズです!好釣果です!イサキ今からですよ~! |
夜釣 |
大庭・長野様 |
 |
|
5/9 |
| 郷ノ浦 |
壱岐 |
|
大鯛83cm、6.2kgにイサキ43cm頭です!好釣果でしたよ~! |
夜釣 |
西野様 |
 |
 |
5/8 |
| 郷ノ浦 |
壱岐 |
|
大型クロ45cm2匹に44cmです!お見事! |
日帰 |
柳原・山口様 |
 |
 |
5/8 |
| 郷ノ浦 |
壱岐 |
|
クロ44cm筆頭に型、数ともに上出来です! |
夜釣 |
山本グループ様 |
 |
|
5/7 |
| 郷ノ浦 |
壱岐 |
|
クロ40cm、イサキも良型です! |
夜釣 |
坂本様 |
 |
|
5/7 |
| 郷ノ浦 |
壱岐 |
|
皆さん数釣れてまずよ~!クロにイサキ! |
夜釣 |
田川グループ様 |
 |
|
5/6 |
| 郷ノ浦 |
壱岐 |
|
イサキにクロです!良型です! |
夜釣 |
杉原様 |
 |
|
5/6 |
| 郷ノ浦 |
壱岐 |
|
クロ、大型ですよ!お見事です! |
夜釣 |
大石グループ様 |
 |
|
5/5 |
| 郷ノ浦 |
壱岐 |
|
クロにチヌです! |
日帰 |
松本様 |
 |
|
5/5 |
| 郷ノ浦 |
壱岐 |
|
良型イサキにクロ!イサキ、卵入ってます! |
日帰 |
篠崎・中嶋様 |
 |
|
5/5 |
| 郷ノ浦 |
壱岐 |
|
クロにチヌ! |
夜釣 |
中田様 |
 |
|
5/5 |
| 郷ノ浦 |
壱岐 |
|
大型口太クロ51cmにイサキも大型ですよ~! |
夜釣 |
廣田グループ様 |
 |
 |
5/4 |
| 郷ノ浦 |
壱岐 |
|
大型クロ!尾長40オーバー数釣れてます! |
夜釣 |
美林・古田様 |
 |
|
5/4 |
| 郷ノ浦 |
壱岐 |
|
尾長クロ40cmクラスです!好釣果です! |
夜釣 |
野畑様 |
 |
|
5/4 |
| 郷ノ浦 |
壱岐 |
|
クロにイサキ!ハトでの数釣りです! |
日帰 |
寒川様 |
 |
|
5/3 |
| 郷ノ浦 |
壱岐 |
|
良型のヒラメですよ~4kg!にカンダイ10kg! |
日帰 |
田島グループ様 |
 |
|
5/1 |
| 郷ノ浦 |
壱岐 |
|
大型イサキにクロ40オーバーもいます! |
日帰 |
山口・福田様 |
 |
|
5/1 |
| 郷ノ浦 |
壱岐 |
|
イサキ、大型です!クロも40cmクラス! |
日帰 |
中嶋・篠崎様 |
 |
|
5/1 |
| 郷ノ浦 |
壱岐 |
|
悪天候ばかりですが釣れてますよ!大型の尾長40オーバー4枚にチヌも釣れてます! |
日帰 |
小畑様 |
 |
|
4/28 |
| 郷ノ浦 |
壱岐 |
|
チヌ、大型もいますよ~! |
夜釣 |
一ノ瀬グループ様 |
 |
|
4/24 |
| 郷ノ浦 |
壱岐 |
|
チヌです! |
夜釣 |
上野様 |
 |
|
4/23 |
| 郷ノ浦 |
壱岐 |
|
大型クロにチヌです! |
夜釣 |
菊池・橘高様 |
 |
 |
4/20 |
| 郷ノ浦 |
壱岐 |
|
大型真鯛です!お見事! |
夜釣 |
田中様 |
 |
|
4/19 |
| 郷ノ浦 |
壱岐 |
|
良型真鯛にイサキ! |
夜釣 |
御厨様 |
 |
|
4/19 |
| 郷ノ浦 |
壱岐 |
|
サクラ鯛、大漁です!お見事! |
夜釣 |
西・吉村様 |
 |
 |
4/17 |
| 郷ノ浦 |
壱岐 |
|
大型イサキにクロ、チヌ! |
日帰 |
壱岐釣りクラブ様 |
 |
 |
4/17 |
| 郷ノ浦 |
壱岐 |
|
クロ、チヌ、アジです! |
夜釣 |
美林様 |
 |
|
4/17 |
| 郷ノ浦 |
壱岐 |
|
チヌ、クロです! |
夜釣 |
古田様 |
 |
|
4/16 |
| 郷ノ浦 |
壱岐 |
|
真鯛に大型イサキ!昼の釣果です! |
日帰 |
竹松様 |
 |
|
4/13 |
| 郷ノ浦 |
壱岐 |
|
チヌにクロ、良い型もいますよ~! |
夜釣 |
持丸・佐々木様 |
 |
 |
4/12 |
| 郷ノ浦 |
壱岐 |
|
大型クロ43cmに良型アジ、チヌ! |
夜釣 |
坂本グループ様 |
 |
|
4/10 |
| 郷ノ浦 |
壱岐 |
|
大型イサキ、40cmオーバーサイズです! |
日帰 |
長嶋様 |
 |
|
4/10 |
| 郷ノ浦 |
壱岐 |
|
良型クロ! |
夜釣 |
美林様 |
 |
|
4/10 |
| 郷ノ浦 |
壱岐 |
|
良型クロ! |
夜釣 |
諌本様 |
 |
|
4/10 |
| 郷ノ浦 |
壱岐 |
|
真鯛に石鯛です! |
夜釣 |
大西様 |
 |
 |
4/9 |
| 郷ノ浦 |
壱岐 |
|
大型クロ42cm頭にチヌ! |
日帰 |
一ノ瀬グループ様 |
 |
|
4/8 |
| 郷ノ浦 |
壱岐 |
|
クロに良型の良型アジです! |
夜釣 |
吉開様 |
 |
|
4/7 |
| 郷ノ浦 |
壱岐 |
|
クロにイサキ! |
日帰 |
平田様 |
 |
|
4/7 |
| 郷ノ浦 |
壱岐 |
|
大型クロ44cmに大型イサキです! |
夜釣 |
伊藤グループ様 |
 |
|
4/6 |
| 郷ノ浦 |
壱岐 |
|
良型イサキにチヌ! |
夜釣 |
御厨様 |
 |
|
4/6 |
| 郷ノ浦 |
壱岐 |
|
大型クロ48cm、2kg!デカいです、チヌも大型釣れてますよ~!流石です! |
日帰 |
山本・渡辺様 |
 |
 |
4/5 |
| 郷ノ浦 |
壱岐 |
|
大型クロ47cm、1.7kg!イサキが特大ですよ! |
日帰 |
広田様 |
 |
 |
4/5 |
| 郷ノ浦 |
壱岐 |
|
デカアジ~!数も釣れてますね、クロも良型釣れてましたよ!好釣果!! |
夜釣 |
吉里・溝辺様 |
 |
|
4/4 |
| 郷ノ浦 |
壱岐 |
|
デカアジにイサキ、クロ、良いお土産できてます |
夜釣 |
宮脇・薦野様 |
 |
|
4/4 |
| 郷ノ浦 |
壱岐 |
|
尾長クロ40オーバー2匹にチヌです! |
日帰 |
松本様 |
 |
|
4/4 |
| 郷ノ浦 |
壱岐 |
|
良型イサキ40cm以上ありますよ!昼でこの釣果ですよ~!クロやチヌも釣れてました! |
日帰 |
広田様 |
 |
|
4/4 |
| 郷ノ浦 |
壱岐 |
|
サクラ鯛です!キレイな魚体ですね~! |
夜釣 |
長野様 |
 |
|
4/4 |
| 郷ノ浦 |
壱岐 |
|
イサキにチヌ、クロ!好釣果です! |
夜釣 |
松原・井山様 |
 |
 |
4/3 |
| 郷ノ浦 |
壱岐 |
|
チヌにクロです! |
夜釣 |
石橋様 |
 |
|
4/3 |
| 郷ノ浦 |
壱岐 |
|
チヌ、持ち帰り分です。リリース多数です! |
夜釣 |
廣田様 |
 |
|
4/3 |
| 郷ノ浦 |
壱岐 |
|
石鯛にチヌ!フカセの釣果です! |
日帰 |
増田様 |
 |
|
4/2 |
| 郷ノ浦 |
壱岐 |
|
好釣果です!クロにチヌです! |
日帰 |
宮坂・斎藤様 |
 |
|
3/30 |
| 郷ノ浦 |
壱岐 |
|
石鯛にチヌです! |
日帰 |
大曲様 |
 |
|
3/30 |
| 郷ノ浦 |
壱岐 |
|
良型真鯛にクロ42cm!サクラ鯛出てますよ! |
日帰 |
清川様 |
 |
 |
3/29 |
| 郷ノ浦 |
壱岐 |
|
大型クロ44cm頭です!大型釣れてますよ! |
日帰 |
長嶋様 |
 |
|
3/27 |
| 郷ノ浦 |
壱岐 |
|
大型クロ51cm、2.35kg!今季2回目の50オーバー流石です!まだまだクロいけますよ! |
日帰 |
竹松様 |
 |
|
3/24 |
| 郷ノ浦 |
壱岐 |
|
大型クロ49cm、2.1kg、真鯛4.6kg!大型クロ釣れてますよ! |
夜釣 |
平田様 |
 |
 |
3/24 |
| 郷ノ浦 |
壱岐 |
|
40オーバーのクロ数匹いますよ~! |
日帰 |
福田様 |
 |
|
3/21 |
| 郷ノ浦 |
壱岐 |
|
チヌです!チヌも良くなって来てますよ! |
日帰 |
井上様 |
 |
|
3/21 |
| 郷ノ浦 |
壱岐 |
|
真鯛2.8kgにカンダイ6kgです! |
日帰 |
寒川様 |
 |
|
3/20 |
| 郷ノ浦 |
壱岐 |
|
良型クロ、好釣果です! |
夜釣 |
占部様 |
 |
|
3/17 |
| 郷ノ浦 |
壱岐 |
|
クロにチヌです! |
夜釣 |
高鍋様 |
 |
|
3/17 |
| 郷ノ浦 |
壱岐 |
|
特大口太クロ52cm、2.7kg!丸々してデカかったですよ!おめでとうございます! |
夜釣 |
稲田様 |
 |
|
3/16 |
| 郷ノ浦 |
壱岐 |
|
良型真鯛72cm、4kg!桜鯛の時期もう直ぐですよ~!昼に大型狙えます! |
日帰 |
結城様 |
 |
|
3/16 |
| 郷ノ浦 |
壱岐 |
|
真鯛にアジ、良いサイズです! |
夜釣 |
徳永・西村様 |
 |
|
3/16 |
| 郷ノ浦 |
壱岐 |
|
チヌ53cmにクロです! |
夜釣 |
田川様 |
 |
|
3/16 |
| 郷ノ浦 |
壱岐 |
|
大型アジにクロ、イサキです!アジデカいです! |
夜釣 |
龍頭グループ様 |
 |
 |
3/13 |
| 郷ノ浦 |
壱岐 |
|
良型クロです! |
日帰 |
牟田崎様 |
 |
|
3/13 |
| 郷ノ浦 |
壱岐 |
|
ハトの石鯛、チヌ!フカセの釣果です! |
日帰 |
古川様 |
 |
|
3/13 |
| 郷ノ浦 |
壱岐 |
|
真鯛にクロ、真鯛3k弱です! |
夜釣 |
河村様 |
 |
|
3/12 |
| 郷ノ浦 |
壱岐 |
|
アジ、クロ、チヌ!アジ大型ですよ~! |
夜釣 |
美林様 |
 |
|
3/12 |
| 郷ノ浦 |
壱岐 |
|
大型クロにチヌです! |
日帰 |
田中様 |
 |
|
3/8 |
| 郷ノ浦 |
壱岐 |
|
クロ、大型もいますよ~! |
日帰 |
斎藤・山川様 |
 |
|
3/8 |
| 郷ノ浦 |
壱岐 |
|
大型クロ48cm、2.0kgです!まだまだクロもいけますよ~!お見事! |
日帰 |
結城様 |
 |
|
3/7 |
| 郷ノ浦 |
壱岐 |
|
特大の真鯛です、89cm7.8kg!もう少しで真鯛の季節が始まりますよ~!お見事です! |
日帰 |
寒川様 |
 |
 |
3/5 |
| 郷ノ浦 |
壱岐 |
|
大型クロですよ~! 嵐の中お見事です! |
夜釣 |
前田様 |
 |
|
3/5 |
| 郷ノ浦 |
壱岐 |
|
チヌにクロ!チヌも増えてきましたよ! |
夜釣 |
首藤様 |
 |
|
3/5 |
| 郷ノ浦 |
壱岐 |
|
クロ40cmオーバーですよ~! |
日帰 |
大久保様 |
 |
 |
3/3 |
| 郷ノ浦 |
壱岐 |
|
チヌにヘダイです! |
夜釣 |
井上様 |
 |
|
2/28 |
| 郷ノ浦 |
壱岐 |
|
大型クロ46cm、1.7kgです! |
日帰 |
竹藤様 |
 |
|
2/26 |
| 郷ノ浦 |
壱岐 |
|
大型チヌ50cmオーバーです!アジも大型! |
夜釣 |
井上様 |
 |
|
2/25 |
| 郷ノ浦 |
壱岐 |
|
大型クロ40cmオーバー!良型揃いでした! |
日帰 |
中尾様 |
 |
|
2/23 |
| 郷ノ浦 |
壱岐 |
|
ヒラス95cmの大型でした! |
日帰 |
大久保様 |
 |
|
2/18 |
| 郷ノ浦 |
壱岐 |
|
尾長クロ44cm頭にイサキ!時化ばかりですが大型クロいますよ! |
日帰 |
木脇様 |
 |
|
2/14 |
| 郷ノ浦 |
壱岐 |
|
クロ40cm、数釣れてます! |
日帰 |
占部様 |
 |
|
2/12 |
| 郷ノ浦 |
壱岐 |
|
クロ42cm!良型のみです! |
日帰 |
石井様 |
 |
|
2/12 |
| 郷ノ浦 |
壱岐 |
|
カンダイにクロです! |
日帰 |
長岡様 |
 |
|
2/12 |
| 郷ノ浦 |
壱岐 |
|
クロ、30クラスですが数釣れてます! |
日帰 |
寺坂様 |
 |
|
2/12 |
| 郷ノ浦 |
壱岐 |
|
大型イサキに良型クロ、好釣果です! |
夜釣 |
|
 |
|
2/10 |
| 郷ノ浦 |
壱岐 |
|
口太クロ45cm、アジ42cm!好釣果でしたよ! |
夜釣 |
井上様 |
 |
 |
2/9 |
| 郷ノ浦 |
壱岐 |
|
クロにイサキ、良型ですよ! |
夜釣 |
副島様 |
 |
|
2/8 |
| 郷ノ浦 |
壱岐 |
|
時化た時の平スズキ!お見事です! |
日帰 |
出口・馬場・長谷川様 |
 |
|
2/5 |
| 郷ノ浦 |
壱岐 |
|
青物も釣れてますよ! |
日帰 |
大下・畑辺・福地様 |
 |
|
2/5 |
| 郷ノ浦 |
壱岐 |
|
大漁です!クロ45cm2匹を頭に40オーバー沢山いましたよ!流石の釣果ですね! |
日帰 |
竹松様 |
 |
 |
2/3 |
| 郷ノ浦 |
壱岐 |
|
大型の口太クロ44cm、丸々してましたよ! |
日帰 |
寺井様 |
 |
|
2/3 |
| 郷ノ浦 |
壱岐 |
|
良型真鯛に大アジ、クロ!好釣果でした! |
夜釣 |
光安様 |
 |
 |
1/30 |
| 郷ノ浦 |
壱岐 |
|
大型クロ50cmupです! |
夜釣 |
廣田様 |
 |
|
1/30 |
| 郷ノ浦 |
壱岐 |
|
大型クロ46cm! |
日帰 |
長嶋様 |
 |
|
1/30 |
| 郷ノ浦 |
壱岐 |
|
大型クロ42cmに良型数揃ってます! |
日帰 |
牟田崎様 |
 |
|
1/30 |
| 郷ノ浦 |
壱岐 |
|
クロ、イサキ、ヒラゴ、アジです! |
夜釣 |
岡崎様 |
 |
|
1/29 |
| 郷ノ浦 |
壱岐 |
|
平スズキ70upですよ~! |
日帰 |
出口様 |
 |
|
1/29 |
| 郷ノ浦 |
壱岐 |
|
青物釣れてますよ! |
日帰 |
大原様 |
 |
|
1/29 |
| 郷ノ浦 |
壱岐 |
|
大型クロ1.4kgです! |
日帰 |
福田様 |
 |
|
1/29 |
| 郷ノ浦 |
壱岐 |
|
良型の真鯛にクロ、イサキも釣れてました! |
夜釣 |
挽地グループ様 |
 |
 |
1/27 |
| 郷ノ浦 |
壱岐 |
|
大型クロ45cmが2匹います、良型のみです! |
日帰 |
五井様 |
 |
|
1/27 |
| 郷ノ浦 |
壱岐 |
|
クロです! |
夜釣 |
吉武様 |
 |
|
1/27 |
| 郷ノ浦 |
壱岐 |
|
大型クロ46cmに45cm、二日目の釣果です!流石の釣果ですね! |
日帰 |
清川様 |
 |
|
1/26 |
| 郷ノ浦 |
壱岐 |
|
クロ40オーバーもいますよ! |
日帰 |
寺坂様 |
 |
|
1/26 |
| 郷ノ浦 |
壱岐 |
|
クロ42cmに数も釣れてますよ! |
日帰 |
星山様 |
 |
|
1/25 |
| 郷ノ浦 |
壱岐 |
|
クロにイサキです!良型ですよ~! |
日帰 |
清川様 |
 |
|
1/25 |
| 郷ノ浦 |
壱岐 |
|
クロの数釣りです! |
夜釣 |
大川・古川様 |
 |
|
1/22 |
| 郷ノ浦 |
壱岐 |
|
大型のクロですよ~! |
夜釣 |
前田様 |
 |
|
1/22 |
| 郷ノ浦 |
壱岐 |
|
大型イサキ40オーバーにクロも40頭です! |
夜釣 |
首藤・木下様 |
 |
|
1/22 |
| 郷ノ浦 |
壱岐 |
|
デカアジ45cm釣れてました!クロも良型! |
夜釣 |
東様 |
 |
|
1/22 |
| 郷ノ浦 |
壱岐 |
|
40cmオーバーのクロです! |
日帰 |
古川様 |
 |
|
1/22 |
| 郷ノ浦 |
壱岐 |
|
良型クロ数釣れてました! |
日帰 |
野畑様 |
 |
|
1/21 |
| 郷ノ浦 |
壱岐 |
|
大型クロ52cm、2kg!時化の中でもしっかり大型仕留めてます、流石ですね! |
日帰 |
清川様 |
 |
|
1/18 |
| 郷ノ浦 |
壱岐 |
|
大型クロ47cmに45cmです!クロ好調です! |
日帰 |
角井・萩野様 |
 |
 |
1/10 |
| 郷ノ浦 |
壱岐 |
|
クロにアジです!まずまずのサイズです! |
夜釣 |
牧園様 |
 |
|
1/10 |
| 郷ノ浦 |
壱岐 |
|
イサキにクロ、大漁でしたよ! |
夜釣 |
矢野様 |
 |
|
1/10 |
| 郷ノ浦 |
壱岐 |
|
大型クロ、40オーバーのみの釣果です! |
日帰 |
寒竹様 |
 |
|
1/9 |
| 郷ノ浦 |
壱岐 |
|
大型の尾長クロです、45cm、1.5kg! |
日帰 |
中田様 |
 |
|
1/9 |
| 郷ノ浦 |
壱岐 |
|
大型クロ43cmにイサキ、カワハギです! |
日帰 |
清川様 |
 |
|
1/9 |
| 郷ノ浦 |
壱岐 |
|
ルアーも釣れてますよ! |
日帰 |
桑原様 |
 |
|
1/9 |
| 郷ノ浦 |
壱岐 |
|
クロにイサキ、良型ですよ!40cm弱です! |
日帰 |
竹松様 |
 |
|
1/9 |
| 郷ノ浦 |
壱岐 |
|
大型真鯛82cm、5.3kgにイサキ、クロ!良型ばかりですよ、将来有望です! |
日帰 |
金村様 |
 |
 |
1/8 |
| 郷ノ浦 |
壱岐 |
|
大型クロ44cm頭に大型揃いです! |
日帰 |
鋸崎様 |
 |
|
1/8 |
| 郷ノ浦 |
壱岐 |
|
大型クロ49cm、丸々してますよ! |
日帰 |
結城様 |
 |
|
1/8 |
| 郷ノ浦 |
壱岐 |
|
40オーバー数釣れてます、好釣果です! |
日帰 |
長岡様 |
 |
|
1/8 |
| 郷ノ浦 |
壱岐 |
|
大型クロ48cm、お見事です! |
日帰 |
寒竹様 |
 |
|
1/8 |
| 郷ノ浦 |
壱岐 |
|
大型クロ43cm!クロ好調ですよ! |
日帰 |
村部様 |
 |
|
1/8 |
| 郷ノ浦 |
壱岐 |
|
ハトのサンバソウです!もう石鯛サイズです! |
日帰 |
寒川様 |
 |
|
1/8 |
| 郷ノ浦 |
壱岐 |
|
真鯛にクロ、イサキ、アジ、好釣果です! |
夜釣 |
芳賀様 |
 |
|
1/4 |
| 郷ノ浦 |
壱岐 |
|
大型クロにイサキ40cmクラスです! |
夜釣 |
御厨様 |
 |
|
1/4 |
| 郷ノ浦 |
壱岐 |
|
大型クロ40cmクラス多数です!爆釣! |
日帰 |
山口・長嶋様 |
 |
|
1/3 |
| 郷ノ浦 |
壱岐 |
|
ヒラス、釣れてますよ! |
日帰 |
神代様 |
 |
|
1/3 |
| 郷ノ浦 |
壱岐 |
|
大型クロ46cm、42cm!お見事! |
日帰 |
篠崎様 |
 |
|
1/2 |
| 郷ノ浦 |
壱岐 |
|
高校生アングラー良い仕事してますよ! |
日帰 |
吉田様 |
 |
|
1/1 |
| 郷ノ浦 |
壱岐 |
|
ヒラマサです!大時化の中5本、お見事! |
日帰 |
黒田・猪俣様 |
 |
|
12/31 |
| 郷ノ浦 |
壱岐 |
|
青物つれてますよ!流石です! |
日帰 |
中西・吉本様 |
 |
|
12/29 |
| 郷ノ浦 |
壱岐 |
|
ヤズです!時化ばかりですが青物好調です! |
日帰 |
泉様 |
 |
|
12/28 |
| 郷ノ浦 |
壱岐 |
|
大型口太クロ52cmにヒラス!地元の竹松さん絶好調です!流石ですね~! |
日帰 |
竹松様 |
 |
|
12/24 |
| 郷ノ浦 |
壱岐 |
|
大型真鯛5kgオーバーです! |
夜釣 |
牧園様 |
 |
 |
12/23 |
| 郷ノ浦 |
壱岐 |
|
良型クロの数釣りです、昼間短時間! |
日帰 |
結城様 |
 |
|
12/23 |
| 郷ノ浦 |
壱岐 |
|
真鯛、ヒラス、クロの釣果です! |
夜釣 |
御厨様 |
 |
|
12/22 |
| 郷ノ浦 |
壱岐 |
|
ヒラスです! |
日帰 |
市山様 |
 |
|
12/21 |
| 郷ノ浦 |
壱岐 |
|
大型クロ48cmに真鯛です! |
日帰 |
木脇様 |
 |
|
12/20 |
| 郷ノ浦 |
壱岐 |
|
ヒラス88cmです!5本釣れてましたよ! |
日帰 |
馬場様 |
 |
|
12/19 |
| 郷ノ浦 |
壱岐 |
|
平スズキ65cmです! |
日帰 |
馬場様 |
 |
|
12/18 |
| 郷ノ浦 |
壱岐 |
|
大型クロ43cmに真鯛、チヌです! |
日帰 |
山本様 |
 |
|
12/15 |
| 郷ノ浦 |
壱岐 |
|
大型クロ43cmに40cm、良型シマアジを釣れてましたよ! |
日帰 |
清川様 |
 |
 |
12/14 |
| 郷ノ浦 |
壱岐 |
|
大型クロにヒラス!好釣果でした! |
夜釣 |
廣田グループ様 |
 |
|
12/12 |
| 郷ノ浦 |
壱岐 |
|
ヒラス95cmです!お見事! |
日帰 |
市山様 |
 |
|
12/12 |
| 郷ノ浦 |
壱岐 |
|
ヒラスです!青物釣れてますよ! |
夜釣 |
中村様 |
 |
|
12/12 |
| 郷ノ浦 |
壱岐 |
|
真鯛ですよ! |
夜釣 |
吉峰様 |
 |
|
12/12 |
| 郷ノ浦 |
壱岐 |
|
ヒラスにヤズです! |
日帰 |
松野様 |
 |
|
12/12 |
| 郷ノ浦 |
壱岐 |
|
真鯛にクロ45cm頭に大型イサキ多数です! |
夜釣 |
栗木・東様 |
 |
|
12/11 |
| 郷ノ浦 |
壱岐 |
|
真鯛に大型イサキ、アジです! |
夜釣 |
東様 |
 |
|
12/11 |
| 郷ノ浦 |
壱岐 |
|
良型アジです!お見事! |
夜釣 |
津田様 |
 |
|
12/11 |
| 郷ノ浦 |
壱岐 |
|
クロ、良型ですよ! |
夜釣 |
白木様 |
 |
|
12/11 |
| 郷ノ浦 |
壱岐 |
|
大型クロ47cm頭に大漁でした!45cmクラスが数枚いますよ! |
日帰 |
店村グループ様 |
 |
|
12/8 |
| 郷ノ浦 |
壱岐 |
|
大型クロ47cm!お見事です!大漁でしたよ! |
日帰 |
広田様 |
 |
|
12/8 |
| 郷ノ浦 |
壱岐 |
|
40cmオーバーのクロが数枚いますよ! |
夜釣 |
副島様 |
 |
|
12/5 |
| 郷ノ浦 |
壱岐 |
|
大型アジ46cm!クロも40cmです! |
夜釣 |
御厨様 |
 |
|
12/5 |
| 郷ノ浦 |
壱岐 |
|
良型ヒラス4本です!青物釣れてます! |
日帰 |
竹松様 |
 |
|
12/5 |
| 郷ノ浦 |
壱岐 |
|
石鯛にヒラス、上物の釣果です! |
夜釣 |
西様 |
 |
|
12/5 |
| 郷ノ浦 |
壱岐 |
|
ヒラスに平スズキです! |
日帰 |
馬場様 |
 |
|
12/4 |
| 郷ノ浦 |
壱岐 |
|
青物釣れてますよ!好釣果です!一人分! |
日帰 |
安保様 |
 |
|
12/03 |
| 郷ノ浦 |
壱岐 |
|
ルアー好調です!一人分ですよ! |
日帰 |
西野様 |
 |
|
12/03 |
| 郷ノ浦 |
壱岐 |
|
クロ、数釣れてますよ! |
夜釣 |
寺坂様 |
 |
|
12/01 |
| 郷ノ浦 |
壱岐 |
|
大型アジ53cm!デカアジ釣れだしそうですよ⁉ |
夜釣 |
浜地様 |
 |
|
11/29 |
| 郷ノ浦 |
壱岐 |
|
大型アジです!好釣果でした! |
夜釣 |
西村様 |
 |
|
11/29 |
| 郷ノ浦 |
壱岐 |
|
大型アジ47cm!イサキ、クロも釣れてますよ! |
夜釣 |
田中様 |
 |
|
11/29 |
| 郷ノ浦 |
壱岐 |
|
大型アジ43cmです!良い型してます! |
夜釣 |
三苫様 |
 |
|
11/29 |
| 郷ノ浦 |
壱岐 |
|
ヒラス、良型ですよ!お見事! |
夜釣 |
田中様 |
 |
|
11/29 |
| 郷ノ浦 |
壱岐 |
|
ヒラスに平スズキ!持ち帰り分だけでリリースもしてますからね~! |
夜釣 |
添田様 |
 |
|
11/29 |
| 郷ノ浦 |
壱岐 |
|
ハトのクロです!数釣れてますよ! |
日帰 |
宮坂・松本様 |
 |
|
11/29 |
| 郷ノ浦 |
壱岐 |
|
石鯛に石ガキ数枚釣られてました! |
夜釣 |
秋吉・笹井様 |
 |
|
11/28 |
| 郷ノ浦 |
壱岐 |
|
アラにイシガキ、シーラです! |
夜釣 |
山田様 |
 |
 |
11/28 |
| 郷ノ浦 |
壱岐 |
|
石鯛です!お見事です! |
夜釣 |
吉松様 |
|
|
11/28 |
| 郷ノ浦 |
壱岐 |
|
こちらも石鯛釣れてますよ~! |
夜釣 |
永田様 |
 |
|
11/28 |
| 郷ノ浦 |
壱岐 |
|
良型のアジにイサキ、クロです! |
夜釣 |
中村・板谷様 |
 |
|
11/28 |
| 郷ノ浦 |
壱岐 |
|
平政ですよ~!お見事! |
夜釣 |
|
 |
|
11/28 |
| 郷ノ浦 |
壱岐 |
|
良型アジにイサキ、チヌです! |
夜釣 |
廣田様 |
 |
|
11/28 |
| 郷ノ浦 |
壱岐 |
|
イサキです!40cmクラスまだ釣れてますよ! |
夜釣 |
下川様 |
 |
|
11/28 |
| 郷ノ浦 |
壱岐 |
|
クロ数釣りです!35cm頭です! |
夜釣 |
大川・古川様 |
 |
|
11/27 |
| 郷ノ浦 |
壱岐 |
|
ヒラマサ釣れてますよ! |
日帰 |
本田様 |
 |
|
11/26 |
| 郷ノ浦 |
壱岐 |
|
ヒラスズキ74cm、にヒラスです!体高がある良いサイズの平スズキでしたよ! |
日帰 |
黒田様 |
 |
|
11/25 |
| 郷ノ浦 |
壱岐 |
|
良型イサキ好調ですよ! |
夜釣 |
長野様 |
 |
|
11/21 |
| 郷ノ浦 |
壱岐 |
|
クロ40オーバーいますよ!アジも良型です! |
夜釣 |
松隈様 |
 |
 |
11/21 |
| 郷ノ浦 |
壱岐 |
|
大型 クロ40cmオーバーにヒラス、イサキ! |
夜釣 |
吉里・溝辺様 |
 |
 |
11/21 |
| 郷ノ浦 |
壱岐 |
|
アジ43cmです! |
夜釣 |
池田様 |
 |
|
11/21 |
| 郷ノ浦 |
壱岐 |
|
イサキにアジです! |
夜釣 |
美林様 |
 |
|
11/21 |
| 郷ノ浦 |
壱岐 |
|
クロ40オーバー、お見事! |
夜釣 |
池田様 |
 |
|
11/21 |
| 郷ノ浦 |
壱岐 |
|
イサキにクロ、タイ!クーラー満タンの釣果! |
夜釣 |
吉開様 |
 |
|
11/ |
| 郷ノ浦 |
壱岐 |
|
クロ50cmですよ!お見事!真鯛もGETです! |
夜釣 |
樋口グループ様 |
 |
 |
11/20 |
| 郷ノ浦 |
壱岐 |
|
クロ、良型です!イサキ、アジも釣れてました! |
夜釣 |
満保・金井様 |
 |
 |
11/20 |
| 郷ノ浦 |
壱岐 |
|
昼間の5時間で数釣れてます、クロにイサキ! |
日帰 |
宮坂・斎藤様 |
 |
|
11/20 |
| 郷ノ浦 |
壱岐 |
|
クロにチヌです! |
日帰 |
中田・石井様 |
 |
|
11/20 |
| 郷ノ浦 |
壱岐 |
|
クロにイサキ、良いサイズでしたよ! |
夜釣 |
荒磯会様 |
 |
|
11/19 |
| 郷ノ浦 |
壱岐 |
|
石鯛62cm、3.8kgです!イシガキも数枚釣れてましたよ!好釣果です! |
夜釣 |
手嶋様 |
 |
|
11/18 |
| 郷ノ浦 |
壱岐 |
|
大型クロ43cm、40オーバー4枚です!良型の数も釣れてましたよ!好釣果! |
夜釣 |
井上様 |
 |
 |
11/17 |
| 郷ノ浦 |
壱岐 |
|
イサキ、ヒラス、真鯛、クーラー満タンですよ~ |
夜釣 |
柴垣様 |
 |
|
11/17 |
| 郷ノ浦 |
壱岐 |
|
イサキ、数釣れてました。大型もいますよ! |
夜釣 |
西村グループ様 |
 |
|
11/17 |
| 郷ノ浦 |
壱岐 |
|
良型クロです!好釣果です! |
夜釣 |
谷口様 |
 |
|
11/16 |
| 郷ノ浦 |
壱岐 |
|
良型イサキにクロです! |
夜釣 |
岡崎・丸目様 |
 |
 |
11/14 |
| 郷ノ浦 |
壱岐 |
|
朝、短時間!イサキ、クロ! |
日帰 |
長嶋様 |
 |
|
11/14 |
| 郷ノ浦 |
壱岐 |
|
イサキ、クロ! |
日帰 |
寒川様 |
 |
|
11/12 |
| 郷ノ浦 |
壱岐 |
|
ヒラス、平スズキ! |
日帰 |
藤田様 |
 |
|
11/12 |
| 郷ノ浦 |
壱岐 |
|
大型クロ48cm頭に40オーバー数枚!特大のイサキにアカハタも釣れてました!お見事です! |
夜釣 |
龍頭グループ様 |
 |
 |
11/7 |
| 郷ノ浦 |
壱岐 |
|
イサキにクロ、好釣果です! |
夜釣 |
杉原様 |
 |
|
11/7 |
| 郷ノ浦 |
壱岐 |
|
イシガキ数釣れてましたよ! |
夜釣 |
稲田・馬込様 |
 |
|
11/6 |
| 郷ノ浦 |
壱岐 |
|
イサキにアジ、クーラーいっぱいでした! |
夜釣 |
今泉・山下様 |
 |
|
11/5 |
| 郷ノ浦 |
壱岐 |
|
良型のヒラスにネリゴ!数釣れてましたよ! |
日帰 |
竹松様 |
 |
|
11/5 |
| 郷ノ浦 |
壱岐 |
|
イサキ40cmクラスですよ~!クロも良型です! |
夜釣 |
田島様 |
 |
|
11/4 |
| 郷ノ浦 |
壱岐 |
|
大型イサキです! |
夜釣 |
吉井様 |
 |
|
11/4 |
| 郷ノ浦 |
壱岐 |
|
大型クロ45cmを頭に数釣れてましたよ!昼の釣果です、大型クロの数も増えてきましたよ! |
日帰 |
清川様 |
 |
 |
11/3 |
| 郷ノ浦 |
壱岐 |
|
クロにイサキ!好釣果です! |
夜釣 |
美林様 |
 |
|
11/3 |
| 郷ノ浦 |
壱岐 |
|
イサキ、大漁です!40cmクラスもいますよ! |
夜釣 |
徳安様 |
 |
|
11/3 |
| 郷ノ浦 |
壱岐 |
|
イサキ、釣れてますよー!大漁でした! |
夜釣 |
西村グループ様 |
 |
|
11/1 |
| 郷ノ浦 |
壱岐 |
|
大型クロ48cmです!イサキもデカいですよ!クロも大型釣れだしましたよ~!! |
夜釣 |
下川様 |
 |
|
10/31 |
| 郷ノ浦 |
壱岐 |
|
大型クロに真鯛、イサキ!好釣果ですよ~! |
夜釣 |
岩崎グループ様 |
 |
 |
10/31 |
| 郷ノ浦 |
壱岐 |
|
良型のヒラスにイサキ、お見事! |
夜釣 |
吉村様 |
 |
 |
10/31 |
| 郷ノ浦 |
壱岐 |
|
大型クロ49cmに太刀魚、イサキ、アジ!良く釣れてましたよ! お見事です! |
夜釣 |
吉武・白木・小早川様 |
 |
 |
10/28 |
| 郷ノ浦 |
壱岐 |
|
イサキにクロです! |
夜釣 |
定松様 |
 |
|
10/27 |
| 郷ノ浦 |
壱岐 |
|
イサキにアジです! |
夜釣 |
鈴木様 |
 |
|
10/26 |
| 郷ノ浦 |
壱岐 |
|
良型イサキに良型アジ!釣れてますよ! |
夜釣 |
宮脇・山本様 |
 |
 |
10/25 |
| 郷ノ浦 |
壱岐 |
|
イサキ、大型ですよ~! |
夜釣 |
古田様 |
 |
|
10/25 |
| 郷ノ浦 |
壱岐 |
|
大型イサキに良型のアジです! |
夜釣 |
平野様 |
 |
|
10/25 |
| 郷ノ浦 |
壱岐 |
|
アラに良型クロ、イサキの釣果です! |
夜釣 |
坂本様 |
 |
 |
10/24 |
| 郷ノ浦 |
壱岐 |
|
イシガキ、数釣れてましたよ! |
夜釣 |
福井・林様 |
 |
 |
10/24 |
| 郷ノ浦 |
壱岐 |
|
真鯛です! |
日帰 |
平田様 |
 |
|
10/23 |
| 郷ノ浦 |
壱岐 |
|
イサキ、チヌ、アジの釣果です! |
夜釣 |
吉武様 |
 |
|
10/19 |
| 郷ノ浦 |
壱岐 |
|
平スズキにヒラス!数釣れてますよ! |
日帰 |
馬場様 |
 |
|
10/17 |
| 郷ノ浦 |
壱岐 |
|
イサキにアジ、良いサイズですよ! |
夜釣 |
古賀様 |
 |
|
10/16 |
| 郷ノ浦 |
壱岐 |
|
大アジにイサキ、真鯛です! |
夜釣 |
一ノ瀬様 |
 |
|
10/15 |
| 郷ノ浦 |
壱岐 |
|
イサキに真鯛!好釣果でした! |
夜釣 |
西村様 |
 |
|
10/15 |
| 郷ノ浦 |
壱岐 |
|
良型のイシガキにイサキ、アジです! |
夜釣 |
森田様 |
 |
|
10/11 |
| 郷ノ浦 |
壱岐 |
|
アラです! |
夜釣 |
久保様 |
 |
|
10/11 |
| 郷ノ浦 |
壱岐 |
|
良型イサキに大型アジ!大漁です! |
夜釣 |
河村様 |
 |
|
10/10 |
| 郷ノ浦 |
壱岐 |
|
小アラにイサキ、クロです! |
夜釣 |
小野様 |
 |
|
10/10 |
| 郷ノ浦 |
壱岐 |
|
大型真鯛84cm、6.7kgです! |
夜釣 |
平田様 |
 |
|
10/10 |
| 郷ノ浦 |
壱岐 |
|
ルアー組もヒラス釣ってますよ! |
夜釣 |
馬場様 |
 |
|
10/10 |
| 郷ノ浦 |
壱岐 |
|
イサキにアジ!良型ですよ!好釣果でした! |
夜釣 |
美林・古田様 |
 |
|
10/9 |
| 郷ノ浦 |
壱岐 |
|
イサキにアジです! |
夜釣 |
林田様 |
 |
|
10/7 |
| 郷ノ浦 |
壱岐 |
|
大型イサキ、爆釣です!クーラーに入らずに早めに止めたみたいですよ!入れ食いです! |
夜釣 |
荒磯会様 |
 |
|
10/6 |
| 郷ノ浦 |
壱岐 |
|
イサキにアコウ!イサキ釣れてますよ! |
夜釣 |
柴垣様 |
 |
|
10/6 |
| 郷ノ浦 |
壱岐 |
|
イサキ、大型もいますね~! |
夜釣 |
荒磯会様 |
 |
|
10/6 |
| 郷ノ浦 |
壱岐 |
|
イサキにアジ好調ですよ! |
夜釣 |
有吉様 |
 |
|
10/5 |
| 郷ノ浦 |
壱岐 |
|
大漁です!良型イサキ! |
夜釣 |
野上様 |
 |
|
10/4 |
| 郷ノ浦 |
壱岐 |
|
良型イサキにクロ、好釣果でした! |
夜釣 |
長野様 |
 |
|
10/4 |
| 郷ノ浦 |
壱岐 |
|
イサキにクロ、良い釣果です! |
夜釣 |
田中・坂本・友清様 |
 |
 |
10/3 |
| 郷ノ浦 |
壱岐 |
|
イサキに良いサイズのオオモンハタです! |
夜釣 |
坂本様 |
 |
|
10/3 |
| 郷ノ浦 |
壱岐 |
|
イサキ、好釣果でした!型もまずまずですよ! |
夜釣 |
古川様 |
 |
|
10/3 |
| 郷ノ浦 |
壱岐 |
|
イサキにクロ、数釣りです! |
日帰 |
寒川様 |
 |
|
10/2 |
| 郷ノ浦 |
壱岐 |
|
クロ、30cmクラスにイサキです! |
夜釣 |
白木様 |
 |
|
10/1 |
| 郷ノ浦 |
壱岐 |
|
イサキにアジ! お土産できてますよ! |
夜釣 |
徳永・藤木様 |
 |
|
9/28 |
| 郷ノ浦 |
壱岐 |
|
良型イサキです!好釣果! |
夜釣 |
古田様 |
 |
|
9/26 |
| 郷ノ浦 |
壱岐 |
|
イサキにクロです! |
夜釣 |
吉田・内田様 |
 |
|
9/25 |
| 郷ノ浦 |
壱岐 |
|
イシガキ! |
夜釣 |
稲田様 |
 |
|
9/25 |
| 郷ノ浦 |
壱岐 |
|
ルアーの釣果です、ヒラスにハタです! |
日帰 |
上橋様 |
 |
|
9/23 |
| 郷ノ浦 |
壱岐 |
|
大型イサキ大漁です!朝の短時間でこの釣果ですよ~!流石です! |
日帰 |
寒川様 |
 |
|
9/19 |
| 郷ノ浦 |
壱岐 |
|
大型イサキ、好釣果!釣れてますね~! |
日帰 |
勝又様 |
 |
|
9/19 |
| 郷ノ浦 |
壱岐 |
|
イサキ、好調です!大型ですよ! |
日帰 |
大工様 |
 |
|
9/18 |
| 郷ノ浦 |
壱岐 |
|
大型のイサキですよ!お土産できてます! |
夜釣 |
長野様 |
 |
|
9/13 |
| 郷ノ浦 |
壱岐 |
|
イサキ、真鯛、クロ! |
夜釣 |
宮脇様 |
 |
|
9/13 |
| 郷ノ浦 |
壱岐 |
|
良型イサキ釣れてますよ!好釣果! |
夜釣 |
河合様 |
 |
|
9/12 |
| 郷ノ浦 |
壱岐 |
|
イサキです!良型です! |
夜釣 |
古川様 |
 |
|
9/12 |
| 郷ノ浦 |
壱岐 |
|
良型の真鯛です!お見事です! |
夜釣 |
古田様 |
 |
|
9/11 |
| 郷ノ浦 |
壱岐 |
|
イサキに青物です! |
夜釣 |
武田様 |
 |
|
8/28 |
| 郷ノ浦 |
壱岐 |
|
イサキに真鯛です! |
夜釣 |
吉峰・小野様 |
 |
|
8/8 |
| 郷ノ浦 |
壱岐 |
|
イサキです!好釣果! |
夜釣 |
藤田様 |
 |
|
8/7 |
| 郷ノ浦 |
壱岐 |
|
真鯛に良型イサキです! |
夜釣 |
古田様 |
 |
|
8/1 |
| 郷ノ浦 |
壱岐 |
|
ルアーの釣果、ハガツオ!旨いですよ! |
日帰 |
中野様 |
 |
|
8/1 |
| 郷ノ浦 |
壱岐 |
|
イサキにクロ、アジ、良型も釣れてますね!クーラー満タンの好釣果です! |
夜釣 |
右田・近藤様 |
 |
 |
7/30 |
| 郷ノ浦 |
壱岐 |
|
特大平政です、129cm、14kg!お見事です! |
日帰 |
古川様 |
 |
 |
7/25 |
| 郷ノ浦 |
壱岐 |
|
大型イサキに真鯛です!好釣果! |
夜釣 |
斎藤様 |
 |
|
7/23 |
| 郷ノ浦 |
壱岐 |
|
大型のイサキです! |
夜釣 |
吉開・武藤様 |
 |
|
7/18 |
| 郷ノ浦 |
壱岐 |
|
イサキに良型アジ、チヌ、キジハタです! |
夜釣 |
首藤・前田様 |
 |
|
7/18 |
| 郷ノ浦 |
壱岐 |
|
良型のイサキです! |
夜釣 |
大石様 |
 |
|
7/18 |
| 郷ノ浦 |
壱岐 |
|
イシガキ! |
夜釣 |
花田様 |
 |
|
7/18 |
| 郷ノ浦 |
壱岐 |
|
大漁ですよ~!大型イサキに真鯛!クロは別クーラーでした。 お見事です! |
夜釣 |
柴垣様 |
 |
|
7/17 |
| 郷ノ浦 |
壱岐 |
|
真鯛、6kg、4.8kg、4.5kgにイサキ!アジも良型でした。いつもながらの好釣果ですねー! |
夜釣 |
一ノ瀬様 |
 |
|
7/16 |
| 郷ノ浦 |
壱岐 |
|
イサキ、釣れてますよ! |
夜釣 |
西村様 |
 |
|
7/16 |
| 郷ノ浦 |
壱岐 |
|
イサキです! 数釣れてます! |
夜釣 |
鈴木様 |
 |
|
7/15 |
| 郷ノ浦 |
壱岐 |
|
大型イサキ!好釣果でしたよ! |
夜釣 |
|
 |
|
7/14 |
| 郷ノ浦 |
壱岐 |
|
大型イサキ、釣れてます! |
夜釣 |
牧園様 |
 |
|
7/14 |
| 郷ノ浦 |
壱岐 |
|
アラに真鯛です! |
夜釣 |
吉武様 |
 |
|
7/14 |
| 郷ノ浦 |
壱岐 |
|
クロ40cmオーバー2匹です! |
夜釣 |
矢野様 |
 |
|
7/14 |
| 郷ノ浦 |
壱岐 |
|
沖防のアラですよ! |
夜釣 |
田中様 |
 |
|
7/13 |
| 郷ノ浦 |
壱岐 |
|
良型のイサキです! |
日帰 |
古川様 |
 |
|
7/11 |
| 郷ノ浦 |
壱岐 |
|
イサキに真鯛! |
夜釣 |
古田様 |
 |
|
7/11 |
| 郷ノ浦 |
壱岐 |
|
沖防のイサキです、ムラがありますが釣れだして来ましたよ! クロも釣れてます! |
夜釣 |
近藤様 |
 |
|
6/30 |
| 郷ノ浦 |
壱岐 |
|
良型のイサキにクロです! |
夜釣 |
梅野様 |
 |
|
6/27 |
| 郷ノ浦 |
壱岐 |
|
良型クロにイサキ!イサキ、40cmクラスも釣れてますよー!好釣果でした! |
夜釣 |
今泉様 |
 |
|
6/25 |
| 郷ノ浦 |
壱岐 |
|
大型真鯛80cm、6.5kgです!流石ですね! |
夜釣 |
牧園様 |
 |
|
6/23 |
| 郷ノ浦 |
壱岐 |
|
良型真鯛ですよ! |
夜釣 |
吉武様 |
 |
 |
6/22 |
| 郷ノ浦 |
壱岐 |
|
イサキ、数釣れてます! |
夜釣 |
田中・関様 |
 |
|
6/21 |
| 郷ノ浦 |
壱岐 |
|
イサキにクロです! |
夜釣 |
芳賀・大黒様 |
|
|
6/21 |
| 郷ノ浦 |
壱岐 |
|
大型クロ43cm頭です!イサキもいます! |
夜釣 |
廣田様 |
 |
 |
6/20 |
| 郷ノ浦 |
壱岐 |
|
昼のみの釣果釣果です!尾長の38cmにイサキも釣れてますよー! |
日帰 |
中嶋・篠崎様 |
 |
|
6/20 |
| 郷ノ浦 |
壱岐 |
|
大型イサキです!どんどん良くなってきますよ |
夜釣 |
古川様 |
 |
|
6/20 |
| 郷ノ浦 |
壱岐 |
|
イサキ!良い型してますよ! |
夜釣 |
橋本様 |
 |
|
6/19 |
| 郷ノ浦 |
壱岐 |
|
大型クロ42cmにイサキです! |
夜釣 |
吉開・武藤様 |
 |
|
6/17 |
| 郷ノ浦 |
壱岐 |
|
大型真鯛4.5kgに良型真鯛も釣れてますよ! |
日帰 |
寒川様 |
 |
|
6/11 |
| 郷ノ浦 |
壱岐 |
|
大型イサキ40cmクラスに良型クロです! |
夜釣 |
お客様 |
 |
|
6/8 |
| 郷ノ浦 |
壱岐 |
|
大型クロ48cmです!お見事! |
夜釣 |
宮脇様 |
 |
|
6/7 |
| 郷ノ浦 |
壱岐 |
|
真鯛にイサキ、チヌです! |
夜釣 |
武藤・吉開様 |
 |
|
6/1 |
| 郷ノ浦 |
壱岐 |
|
アジに平スズキ、イサキ、クロです! |
夜釣 |
吉田・内田様 |
 |
|
5/31 |
| 郷ノ浦 |
壱岐 |
|
大型クロ43cmです!お見事です! |
夜釣 |
篠崎様 |
 |
|
5/30 |
| 郷ノ浦 |
壱岐 |
|
クロにイサキ、アカハタです! |
夜釣 |
坂本様 |
 |
|
5/30 |
| 郷ノ浦 |
壱岐 |
|
クロ、アジ、イサキです! |
夜釣 |
松隈様 |
 |
|
5/30 |
| 郷ノ浦 |
壱岐 |
|
クロ!釣れてます! |
|
大工・寒川様 |
 |
|
5/29 |
| 郷ノ浦 |
壱岐 |
|
小アラです! |
夜釣 |
田島様 |
 |
|
5/29 |
| 郷ノ浦 |
壱岐 |
|
イサキにアジ、大漁です!イサキの季節ですよ~!!夜釣りで大型イサキ狙いませんか~⁉ |
夜釣 |
関・田中様 |
 |
|
5/24 |
| 郷ノ浦 |
壱岐 |
|
良型クロにイサキ、大漁です! 好釣果! |
夜釣 |
延原グループ様 |
 |
|
5/23 |
| 郷ノ浦 |
壱岐 |
|
大型真鯛です!お見事でした! |
夜釣 |
田中様 |
 |
 |
5/23 |
| 郷ノ浦 |
壱岐 |
|
ハトも真鯛、釣れてますよ! |
日帰 |
長嶋様 |
 |
|
5/23 |
| 郷ノ浦 |
壱岐 |
|
アラです! |
夜釣 |
田嶋様 |
 |
|
5/22 |
| 郷ノ浦 |
壱岐 |
|
平スズキ、良い型です!朝の短時間でこの釣果ですよ~!平スズキ好調です! |
日帰 |
山田様 |
 |
|
5/17 |
| 郷ノ浦 |
壱岐 |
|
平スズキ、78mに77cmですよ!お見事! |
日帰 |
馬場・長谷川様 |
 |
|
5/16 |
| 郷ノ浦 |
壱岐 |
|
クロに真鯛です!まずまずのサイズです! |
日帰 |
福田・山口様 |
 |
|
5/14 |
| 郷ノ浦 |
壱岐 |
|
良型クロ、釣れてますね!好釣果です! |
夜釣 |
満保様 |
 |
|
5/8 |
| 郷ノ浦 |
壱岐 |
|
クロ、数釣りです! |
夜釣 |
東様 |
 |
|
5/8 |
| 郷ノ浦 |
壱岐 |
|
真鯛、50cmオーバー! |
夜釣 |
西野様 |
 |
|
5/8 |
| 郷ノ浦 |
壱岐 |
|
クロ、尾長です! |
日帰 |
山口様 |
 |
|
5/6 |
| 郷ノ浦 |
壱岐 |
|
時化ばかりですが釣れてますよ!真鯛、クロ! |
日帰 |
寒川様 |
 |
|
5/4 |
| 郷ノ浦 |
壱岐 |
|
大型尾長47cm頭に40オーバー多数にチヌクーラー満タン!真鯛も釣れて大漁です! |
夜釣 |
一ノ瀬グループ様 |
 |
 |
5/3 |
| 郷ノ浦 |
壱岐 |
|
良型真鯛です!娘さんの釣果ですよ、お見事! |
夜釣 |
川添様 |
 |
|
5/3 |
| 郷ノ浦 |
壱岐 |
|
良型クロにイサキです! |
日帰 |
山口様 |
 |
|
4/29 |
| 郷ノ浦 |
壱岐 |
|
真鯛にイサキ! |
日帰 |
福田様 |
 |
|
4/29 |
| 郷ノ浦 |
壱岐 |
|
大型クロにイサキ、チヌです! |
夜釣 |
田中様 |
 |
 |
4/25 |
| 郷ノ浦 |
壱岐 |
|
大型クロ44cmにイサキ! |
日帰 |
福田様 |
 |
|
4/24 |
| 郷ノ浦 |
壱岐 |
|
大型クロに大型イサキ、供に40cmオーバーです!ムラはありますが大型クロ、釣れてます! |
日帰 |
中嶋・篠崎様 |
 |
 |
4/22 |
| 郷ノ浦 |
壱岐 |
|
チヌ、大型イサキ、クロ!ハトですよ! |
日帰 |
林様 |
 |
|
4/22 |
| 郷ノ浦 |
壱岐 |
|
真鯛、イサキです! |
夜釣 |
徳永様 |
 |
|
4/19 |
| 郷ノ浦 |
壱岐 |
|
チヌにイサキ、クロ!良い型してますよ! |
夜釣 |
一ノ瀬様 |
 |
|
4/17 |
| 郷ノ浦 |
壱岐 |
|
サンバソウにイサキ、クロです! |
日帰 |
寒川様 |
 |
|
4/17 |
| 郷ノ浦 |
壱岐 |
|
尾長45cmクラス数枚に40cmイサキが大漁です!見事な釣果でした!爆釣です! |
夜釣 |
御厨様 |
 |
 |
4/16 |
| 郷ノ浦 |
壱岐 |
|
クロにイサキ、大アジも釣れてますよ! |
夜釣 |
牧園様 |
 |
|
4/16 |
| 郷ノ浦 |
壱岐 |
|
大型イサキ40cmにチヌ50オーバーです! |
日帰 |
結城様 |
 |
|
4/15 |
| 郷ノ浦 |
壱岐 |
|
チヌ、イサキ、クロです! |
夜釣 |
岡崎様 |
 |
|
4/12 |
| 郷ノ浦 |
壱岐 |
|
クロ、数釣りです! |
夜釣 |
薦野様 |
 |
|
4/12 |
| 郷ノ浦 |
壱岐 |
|
大型クロ44cm!凄い体高です、チヌにイサキも釣れてます!お見事です! |
夜釣 |
廣田グループ様 |
 |
 |
4/11 |
| 郷ノ浦 |
壱岐 |
|
大型40cmオーバーのイサキです!クーラー満タンの釣果ですよ! |
夜釣 |
坂本様 |
 |
|
4/11 |
| 郷ノ浦 |
壱岐 |
|
大型チヌ50cmオーバーです!イサキもいます |
夜釣 |
首藤様 |
 |
|
4/11 |
| 郷ノ浦 |
壱岐 |
|
大型クロにイサキです! |
夜釣 |
満保様 |
 |
|
4/11 |
| 郷ノ浦 |
壱岐 |
|
チヌ、大漁です!良い型してますよ! |
夜釣 |
石橋グループ様 |
 |
|
4/11 |
| 郷ノ浦 |
壱岐 |
|
クロ、チヌ、イサキ、好釣果です! |
夜釣 |
前田様 |
 |
|
4/11 |
| 郷ノ浦 |
壱岐 |
|
大型のチヌですよ! |
夜釣 |
|
 |
|
4/11 |
| 郷ノ浦 |
壱岐 |
|
チヌにクロ、イサキです! |
夜釣 |
木下様 |
 |
|
4/11 |
| 郷ノ浦 |
壱岐 |
|
大型クロ43cmに真鯛、大型イサキ30cm後半です!流石ですね! |
夜釣 |
御厨様 |
 |
 |
4/9 |
| 郷ノ浦 |
壱岐 |
|
良型真鯛にいさき!好釣果! |
夜釣 |
柴垣様 |
 |
|
4/8 |
| 郷ノ浦 |
壱岐 |
|
良型クロ40cmクラスにチヌ! |
日帰 |
山本・渡辺様 |
 |
|
4/7 |
| 郷ノ浦 |
壱岐 |
|
大型クロ1.1kgにチヌ!悪天候ばかりですが好釣果ですよ! クロもまだまだ釣れますよ! |
日帰 |
福田様 |
 |
|
4/3 |
| 郷ノ浦 |
壱岐 |
|
大型チヌ50オーバー!ノッコンで来ましたよ!毎年恒例のチヌ祭り、始まります!! |
日帰 |
中尾様 |
 |
|
4/3 |
| 郷ノ浦 |
壱岐 |
|
クロにイサキ!数釣れてました、好釣果! |
日帰 |
寒川様 |
 |
|
4/2 |
| 郷ノ浦 |
壱岐 |
|
良型真鯛に大型イサキ! |
日帰 |
結城様 |
 |
|
3/31 |
| 郷ノ浦 |
壱岐 |
|
大型のカンダイにイサキも良い型してます! |
夜釣 |
吉開様 |
 |
 |
3/30 |
| 郷ノ浦 |
壱岐 |
|
サクラ鯛!大風の中で好釣果でしたよ! |
夜釣 |
田中様 |
 |
|
3/30 |
| 郷ノ浦 |
壱岐 |
|
サクラ鯛、2~3kgクラスです!昼の釣果です! |
日帰 |
大曲様 |
 |
|
3/29 |
| 郷ノ浦 |
壱岐 |
|
ヒラス、チヌ、タイです、ハトの釣果です! |
夜釣 |
石田グループ様 |
 |
 |
3/29 |
| 郷ノ浦 |
壱岐 |
|
大型クロ49cm、丸々してます、お見事でした!アジも良型でしたよ! |
夜釣 |
大川・古川様 |
 |
 |
3/26 |
| 郷ノ浦 |
壱岐 |
|
良型のイサキにクロです! |
日帰 |
中嶋・篠崎様 |
 |
|
3/25 |
| 郷ノ浦 |
壱岐 |
|
イサキ数釣れてましたよ!真鯛も良型です! |
日帰 |
大工様 |
 |
|
3/20 |
| 郷ノ浦 |
壱岐 |
|
良型のサクラ鯛!流石ですね! |
日帰 |
寒川様 |
 |
|
3/19 |
| 郷ノ浦 |
壱岐 |
|
良型クロ40cmクラスにチヌです! |
日帰 |
結城様 |
 |
|
3/17 |
| 郷ノ浦 |
壱岐 |
|
大型真鯛です!サクラ鯛の季節ですよ! |
日帰 |
平田様 |
 |
|
3/15 |
| 郷ノ浦 |
壱岐 |
|
クロにカンダイ!好釣果です! |
夜釣 |
岩谷グループ様 |
 |
|
3/15 |
| 郷ノ浦 |
壱岐 |
|
良型サンバソウにクロ、アコウ! ハトです! |
夜釣 |
水城・吉井様 |
 |
 |
3/15 |
| 郷ノ浦 |
壱岐 |
|
タイにアラカブ!ハトもタイ来てますよ! |
夜釣 |
石田グループ様 |
 |
|
3/15 |
| 郷ノ浦 |
壱岐 |
|
デカヒラメにイサキ、クロ!好釣果! |
夜釣 |
廣田様 |
 |
 |
3/14 |
| 郷ノ浦 |
壱岐 |
|
クロ48cmです!流石ですね! |
日帰 |
梶原様 |
 |
 |
3/14 |
| 郷ノ浦 |
壱岐 |
|
クロ、40cmオーバーですよ! |
夜釣 |
中田様 |
 |
 |
3/14 |
| 郷ノ浦 |
壱岐 |
|
大型のクロです! |
日帰 |
福田様 |
 |
|
3/14 |
| 郷ノ浦 |
壱岐 |
|
大型チヌにクロ、ヘダイ! |
日帰 |
山口様 |
 |
|
3/14 |
| 郷ノ浦 |
壱岐 |
|
大型クロ48cm、2.0kgに46cm!丸々してます!お見事でした! |
日帰 |
石井様 |
 |
 |
3/13 |
| 郷ノ浦 |
壱岐 |
|
大型クロにイサキです! |
日帰 |
村部様 |
 |
|
3/13 |
| 郷ノ浦 |
壱岐 |
|
大型クロ釣れてます!46cm! |
日帰 |
結城様 |
 |
|
3/11 |
| 郷ノ浦 |
壱岐 |
|
クロ!数釣れてますよ! |
夜釣 |
水野様 |
 |
|
3/11 |
| 郷ノ浦 |
壱岐 |
|
大型真鯛76cm、4.7kgにクロです!好釣果! |
日帰 |
寒川様 |
 |
 |
3/6 |
| 郷ノ浦 |
壱岐 |
|
大型イサキにクロ!クーラー満タン! |
夜釣 |
大河内様 |
 |
|
3/6 |
| 郷ノ浦 |
壱岐 |
|
大型クロ48cm、1.8kgに46cm! |
夜釣 |
日下部様 |
 |
 |
3/1 |
| 郷ノ浦 |
壱岐 |
|
クロ、短時間で数釣れてます!40cmいます! |
日帰 |
松本様 |
 |
|
3/1 |
| 郷ノ浦 |
壱岐 |
|
大型クロ45cm頭で好釣果!尾長です! |
日帰 |
福田様 |
 |
|
2/28 |
| 郷ノ浦 |
壱岐 |
|
良型真鯛に良型のサンバソウです! |
日帰 |
古川様 |
 |
|
2/28 |
| 郷ノ浦 |
壱岐 |
|
クロにイサキです! |
夜釣 |
西様 |
 |
|
2/25 |
| 郷ノ浦 |
壱岐 |
|
タイにクロ、ヘダイです! |
夜釣 |
吉武様 |
 |
|
2/25 |
| 郷ノ浦 |
壱岐 |
|
大型クロ45cmクラスが大漁です!まだまだ釣れますよ! 好釣果! |
日帰 |
山口様 |
 |
|
2/24 |
| 郷ノ浦 |
壱岐 |
|
大型クロ42cm!デカ真鯛のバラシもあったみたいです! |
日帰 |
結城様 |
 |
|
2/24 |
| 郷ノ浦 |
壱岐 |
|
イサキに真鯛!イサキ良型です! |
夜釣 |
長野様 |
 |
|
2/24 |
| 郷ノ浦 |
壱岐 |
|
大型クロに真鯛、イサキも釣れてました! |
日帰 |
竹藤グループ様 |
 |
|
2/23 |
| 郷ノ浦 |
壱岐 |
|
大型真鯛です、6.8kg、85cmに3kgも釣れてますよ!真鯛、今からドンドン釣れだしますよ! |
日帰 |
長嶋様 |
 |
|
2/21 |
| 郷ノ浦 |
壱岐 |
|
平スズキ!サラシが出れば数釣れてますよ! |
日帰 |
中野様 |
 |
|
2/19 |
| 郷ノ浦 |
壱岐 |
|
大型クロ49cmに大型、数釣れてます!大漁! |
夜釣 |
松隈様 |
 |
|
2/14 |
| 郷ノ浦 |
壱岐 |
|
クロ!好調です、大型で数も釣れてますよ!日中の一人分の釣果ですよ! |
日帰 |
松崎様 |
 |
|
2/14 |
| 郷ノ浦 |
壱岐 |
|
イサキ、良型です!クロ、真鯛、イサキでクーラー満タン!! イサキ昼間も釣れてます⁉ |
夜釣 |
山本・中島様 |
 |
|
2/14 |
| 郷ノ浦 |
壱岐 |
|
大型クロ48cmに真鯛も釣れてましたよ! |
日帰 |
長嶋様 |
 |
|
2/14 |
| 郷ノ浦 |
壱岐 |
|
イサキに真鯛です! |
夜釣 |
古川様 |
 |
|
2/14 |
| 郷ノ浦 |
壱岐 |
|
良い型のクロにデカメバル! |
夜釣 |
龍頭様 |
 |
|
2/14 |
| 郷ノ浦 |
壱岐 |
|
大型クロ49cmに良型真鯛、イサキ大漁です! |
夜釣 |
東様 |
 |
|
2/13 |
| 郷ノ浦 |
壱岐 |
|
大型クロ47cm です!流石ですね! |
夜釣 |
小野様 |
 |
|
2/13 |
| 郷ノ浦 |
壱岐 |
|
大型クロ44cm、43cm型揃いです!尾長も釣れてますよ!好釣果です! |
日帰 |
市井様 |
 |
|
2/13 |
| 郷ノ浦 |
壱岐 |
|
クロ45cmにカンダイ、チヌです! |
日帰 |
福田様 |
 |
|
2/13 |
| 郷ノ浦 |
壱岐 |
|
大型クロ、大漁です!47cmを頭に45オーバーの型揃いです!釣れてます!! |
日帰 |
平田様 |
 |
|
2/12 |
| 郷ノ浦 |
壱岐 |
|
大型クロ40オーバーにイサキも大型です! |
日帰 |
宮原様 |
 |
|
2/12 |
| 郷ノ浦 |
壱岐 |
|
大アジ46cmですよ!クロもデカいです! |
夜釣 |
山本様 |
 |
|
2/12 |
| 郷ノ浦 |
壱岐 |
|
大型クロ46cmに45cm、大型で数も沢山います!クロ祭りですよ!今のうちです、お早めに! |
日帰 |
村部様 |
 |
|
2/11 |
| 郷ノ浦 |
壱岐 |
|
クロ43cmに40cm!イサキも良型です!好釣果ですよ、お見事! |
日帰 |
松本様 |
 |
|
2/11 |
| 郷ノ浦 |
壱岐 |
|
クロ43cmです!大型クロ良い感じです! |
日帰 |
斎藤様 |
 |
|
2/11 |
| 郷ノ浦 |
壱岐 |
|
クロです、良い型してますよ! |
日帰 |
平田様 |
 |
|
2/11 |
| 郷ノ浦 |
壱岐 |
|
良型真鯛2匹、3kgクラスに大型イサキです! |
日帰 |
結城様 |
 |
|
2/10 |
| 郷ノ浦 |
壱岐 |
|
クロ!数釣れてますよー!イサキもいます! |
夜釣 |
大川・古川様 |
 |
 |
2/10 |
| 郷ノ浦 |
壱岐 |
|
大型クロ40cmオーバー5匹に大アジ47cmも釣れてますよ!波の中お疲れ様でした! |
夜釣 |
栗木様 |
 |
 |
2/7 |
| 郷ノ浦 |
壱岐 |
|
大型クロ46cmです!流石ですねー! |
夜釣 |
首藤様 |
 |
|
2/7 |
| 郷ノ浦 |
壱岐 |
|
良型イサキ、大漁です!クロもいますよ!昼間もイサキに真鯛、狙えますよ! |
日帰 |
宮原様 |
 |
|
2/3 |
| 郷ノ浦 |
壱岐 |
|
大型クロ46cmにチヌ、真鯛好釣果です! |
日帰 |
清川様 |
 |
|
2/3 |
| 郷ノ浦 |
壱岐 |
|
真鯛2.0kgにクロ1.1kg、41cmにイサキです! |
日帰 |
結城様 |
 |
|
2/3 |
| 郷ノ浦 |
壱岐 |
|
大型クロ48cmに47cm!お見事です!イサキもいいサイズしてますね! |
夜釣 |
満保様 |
 |
 |
1/31 |
| 郷ノ浦 |
壱岐 |
|
良型クロにイサキです! |
夜釣 |
松崎様 |
 |
|
1/31 |
| 郷ノ浦 |
壱岐 |
|
大型クロ45cmに良型イサキです!凪ならもっと釣れるんですけど…、時化の中流石です! |
日帰 |
清川様 |
 |
|
1/27 |
| 郷ノ浦 |
壱岐 |
|
大型クロ47cmを頭に大型釣れてます! |
夜釣 |
牧園様 |
 |
|
1/21 |
| 郷ノ浦 |
壱岐 |
|
大型クロです!大型、良くなって来てますよ! |
日帰 |
山口様 |
 |
|
1/21 |
| 郷ノ浦 |
壱岐 |
|
大型クロ47cm、1.5kg!流石です! |
日帰 |
小畑様 |
|
|
1/20 |
| 郷ノ浦 |
壱岐 |
|
良型クロです! |
日帰 |
五井様 |
 |
|
1/20 |
| 郷ノ浦 |
壱岐 |
|
ハトのサンバソウに真鯛です!良型ですよ! |
日帰 |
古川様 |
 |
|
1/17 |
| 郷ノ浦 |
壱岐 |
|
大型クロ44cmに真鯛、イサキ!大時化での釣果、流石です! |
夜釣 |
廣田グループ様 |
 |
|
1/17 |
| 郷ノ浦 |
壱岐 |
|
大型イサキに真鯛です!まだまだイサキ釣れてますよ!好釣果でした! |
夜釣 |
長野様 |
|
|
1/16 |
| 郷ノ浦 |
壱岐 |
|
大型クロ 40upお見事です! |
日帰 |
増田・山田様 |
 |
|
1/15 |
| 郷ノ浦 |
壱岐 |
|
良型クロにカンダイです! |
日帰 |
山口様 |
 |
|
1/15 |
| 郷ノ浦 |
壱岐 |
|
クロにイサキ、良型アジです!捌いてますけどデカいです! |
夜釣 |
白木・小早川様 |
 |
 |
1/15 |
| 郷ノ浦 |
壱岐 |
|
良型クロにイサキ、チヌ!クーラー満タンです! |
夜釣 |
小池様 |
 |
|
1/5 |
| 郷ノ浦 |
壱岐 |
|
真鯛にクロです! |
日帰 |
宮原様 |
 |
|
1/4 |
| 郷ノ浦 |
壱岐 |
|
ヒラス、良型です! |
日帰 |
お客様 |
 |
|
1/3 |
| 郷ノ浦 |
壱岐 |
|
良型真鯛です!イサキも良型です! |
日帰 |
古川様 |
 |
 |
1/2 |
| 郷ノ浦 |
壱岐 |
|
真鯛にクロ、チヌです! |
日帰 |
石井・中田様 |
 |
|
1/2 |
| 郷ノ浦 |
壱岐 |
|
大型真鯛です!お見事です! |
夜釣 |
石野様 |
 |
|
12/29 |
| 郷ノ浦 |
壱岐 |
|
ブリに真鯛です! |
夜釣 |
龍頭・川浪様 |
 |
|
12/29 |
| 郷ノ浦 |
壱岐 |
|
大型クロ49cm1.7kg!好釣果でした! |
夜釣 |
鋸崎様 |
 |
|
12/27 |
| 郷ノ浦 |
壱岐 |
|
大型クロ45cm、1.6kgです! |
夜釣 |
池田様 |
 |
|
12/27 |
| 郷ノ浦 |
壱岐 |
|
良型クロ40cm、型揃いです!お見事! |
日帰 |
中島・篠崎様 |
 |
|
12/27 |
| 郷ノ浦 |
壱岐 |
|
良型クロです! |
夜釣 |
満保様 |
 |
 |
12/27 |
| 郷ノ浦 |
壱岐 |
|
大型クロに根魚、美味しお土産できてます! |
夜釣 |
下津・坂本様 |
 |
|
12/27 |
| 郷ノ浦 |
壱岐 |
|
大型のイサキですよ!流石です! |
日帰 |
古川様 |
 |
|
12/27 |
| 郷ノ浦 |
壱岐 |
|
クロ、良型、数も釣れてます! |
夜釣 |
渋田様 |
 |
|
12/23 |
| 郷ノ浦 |
壱岐 |
|
クロ40cmオーバー釣れてます! |
日帰 |
結城様 |
 |
|
12/22 |
| 郷ノ浦 |
壱岐 |
|
大型クロ40cmオーバー!釣れてますね! |
日帰 |
清川様 |
 |
 |
12/19 |
| 郷ノ浦 |
壱岐 |
|
良型のヒラマサですよ! |
日帰 |
中林・志賀・安藤様 |
 |
|
12/19 |
| 郷ノ浦 |
壱岐 |
|
大型クロ! 口太42cm、1.3kgに尾長40cm!大型のクロが結構いますよ!流石です! |
日帰 |
結城様 |
 |
|
12/17 |
| 郷ノ浦 |
壱岐 |
|
良型ヒラスにクロ40cm! |
日帰 |
竹藤グループ様 |
 |
|
12/16 |
| 郷ノ浦 |
壱岐 |
|
大型イサキつれてますよ! |
夜釣 |
石橋・梶原様 |
 |
|
12/13 |
| 郷ノ浦 |
壱岐 |
|
ハト朝3時間の釣果です!イサキ釣れてます! |
日帰 |
古川様 |
 |
|
12/13 |
| 郷ノ浦 |
壱岐 |
|
良型のサンバソウが釣れてました!ハトです! |
夜釣 |
水城様 |
 |
|
12/13 |
| 郷ノ浦 |
壱岐 |
|
2日目のみの釣果ですよ!相変わらず良く釣れてます!流石です! |
日帰 |
寒川様 |
 |
|
12/12 |
| 郷ノ浦 |
壱岐 |
|
良型のヒラマサです!90cm! |
日帰 |
平野様 |
 |
|
12/12 |
| 郷ノ浦 |
壱岐 |
|
大型イサキにクロ、スマガツオです! |
日帰 |
寒川様 |
 |
|
12/11 |
| 郷ノ浦 |
壱岐 |
|
大爆釣!クロ46cm、アジ49cm!大型クロ40オーバー沢山にイサキ、アジも大型です! |
夜釣 |
井上様 |
 |
 |
12/10 |
| 郷ノ浦 |
壱岐 |
|
良型の真鯛にイサキです!好釣果です! |
夜釣 |
吉武様 |
 |
 |
12/10 |
| 郷ノ浦 |
壱岐 |
|
大アジ50cm弱です!イサキにクロも良型です! |
夜釣 |
今泉様 |
 |
|
12/10 |
| 郷ノ浦 |
壱岐 |
|
真鯛にイサキです! |
夜釣 |
長野様 |
 |
|
12/9 |
| 郷ノ浦 |
壱岐 |
|
大型クロ1.5kgにイサキ!クロも型揃いでした! |
夜釣 |
井上様 |
 |
|
12/9 |
| 郷ノ浦 |
壱岐 |
|
ヒラスにイサキ好釣果です!ハトですよ! |
夜釣 |
西様 |
 |
 |
12/7 |
| 郷ノ浦 |
壱岐 |
|
大アジにクロも良い型してます! |
夜釣 |
吉村様 |
 |
 |
12/7 |
| 郷ノ浦 |
壱岐 |
|
大型の真鯛にイサキ、クロ! |
夜釣 |
武藤様 |
 |
 |
12/6 |
| 郷ノ浦 |
壱岐 |
|
大型クロ48cmに大アジです! |
夜釣 |
薦野様 |
 |
 |
12/6 |
| 郷ノ浦 |
壱岐 |
|
良型のヒラスですよ! |
日帰 |
福田様 |
 |
|
12/6 |
| 郷ノ浦 |
壱岐 |
|
ヒラス2本です! |
日帰 |
竹松様 |
 |
|
12/6 |
| 郷ノ浦 |
壱岐 |
|
大型イサキ釣れてます! |
夜釣 |
吉開様 |
 |
|
12/6 |
| 郷ノ浦 |
壱岐 |
|
良型イサキにクロです! |
夜釣 |
大河内様 |
 |
|
12/6 |
| 郷ノ浦 |
壱岐 |
|
良型のアラですよ!美味しそうです! |
夜釣 |
麻生様 |
 |
|
12/5 |
| 郷ノ浦 |
壱岐 |
|
ブリです!良い型してます! |
日帰 |
藤原様 |
 |
|
12/5 |
| 郷ノ浦 |
壱岐 |
|
クロ、良型もいますよ! |
日帰 |
長嶋様 |
 |
|
12/5 |
| 郷ノ浦 |
壱岐 |
|
クロ、良型もいますよ! |
日帰 |
畑野様 |
 |
|
12/5 |
| 郷ノ浦 |
壱岐 |
|
大型クロ43cm、40cm!好釣果です!! |
日帰 |
原田様 |
 |
 |
11/28 |
| 郷ノ浦 |
壱岐 |
|
イサキに真鯛です!イサキ良型です! |
夜釣 |
金子様 |
 |
|
11/28 |
| 郷ノ浦 |
壱岐 |
|
良型ヒラマサです! |
日帰 |
斎藤様 |
 |
|
11/26 |
| 郷ノ浦 |
壱岐 |
|
ヒラス!ルアーも楽しめますよー! |
日帰 |
福島・小柳様 |
 |
|
11/23 |
| 郷ノ浦 |
壱岐 |
|
大型クロ!40オーバー結構いますよ!捌いてますけど(笑) お見事です! |
夜釣 |
廣瀬グループ様 |
 |
 |
11/22 |
| 郷ノ浦 |
壱岐 |
|
イサキにクロ!好釣果ですね! |
夜釣 |
山下グループ様 |
 |
|
11/22 |
| 郷ノ浦 |
壱岐 |
|
クロ、良い型してます!40オーバー! |
夜釣 |
下野様 |
 |
|
11/22 |
| 郷ノ浦 |
壱岐 |
|
イサキです!まだまだイサキも行けそうです! |
夜釣 |
安河内様 |
 |
|
11/22 |
| 郷ノ浦 |
壱岐 |
|
アラです!良いお土産できてます! |
夜釣 |
篠崎様 |
 |
|
11/22 |
| 郷ノ浦 |
壱岐 |
|
ヒラマサです!ルアーもまずまずの釣果です! |
日帰 |
川田グループ様 |
 |
|
11/21 |
| 郷ノ浦 |
壱岐 |
|
しっかりヒラマサ仕留めてます! |
日帰 |
竹松様 |
 |
|
11/21 |
| 郷ノ浦 |
壱岐 |
|
良型の真鯛です!クロ、イサキも釣れてます! |
日帰 |
宮坂・斎藤様 |
 |
|
11/18 |
| 郷ノ浦 |
壱岐 |
|
大型のアジ47cmにクロです!貴重なデカアジ釣れてますよ! |
夜釣 |
小屋様 |
 |
|
11/18 |
| 郷ノ浦 |
壱岐 |
|
イサキに真鯛、クロ!ハトの釣果ですよ! |
夜釣 |
柴垣様 |
 |
|
11/17 |
| 郷ノ浦 |
壱岐 |
|
ヒラマサ!良型です、ルアー良い感じです! |
日帰 |
添田様 |
 |
|
11/16 |
| 郷ノ浦 |
壱岐 |
|
イシガキに小アラが釣れてます! |
夜釣 |
矢山様 |
 |
|
11/16 |
| 郷ノ浦 |
壱岐 |
|
クロにイサキです! |
夜釣 |
芳賀様 |
 |
|
11/16 |
| 郷ノ浦 |
壱岐 |
|
クロにイサキです! |
夜釣 |
大黒様 |
 |
|
11/16 |
| 郷ノ浦 |
壱岐 |
|
デカアジにイサキ、クロ! 好釣果です! |
夜釣 |
樋口様 |
 |
|
11/15 |
| 郷ノ浦 |
壱岐 |
|
デカアジにイサキクロ! デカアジ凄いです! |
夜釣 |
松吉様 |
 |
|
11/15 |
| 郷ノ浦 |
壱岐 |
|
イサキにクロ、ヒラゴも釣れてます! |
日帰 |
住吉様 |
 |
|
11/15 |
| 郷ノ浦 |
壱岐 |
|
イサキにクロ、良型ですよ! |
夜釣 |
後藤様 |
 |
|
11/14 |
| 郷ノ浦 |
壱岐 |
|
大型クロ46cmに45cm2匹42cm1匹!お見事です!30cm台はバッカンにもいっぱいでした! 型も数も見事な釣果です! |
夜釣 |
大河内様 |
 |
 |
11/13 |
| 郷ノ浦 |
壱岐 |
|
大型アジ44cmにイサキ、クロ!一人分の釣果ですよ!大漁です! |
夜釣 |
今泉様 |
 |
 |
11/13 |
| 郷ノ浦 |
壱岐 |
|
大型アジにイサキ、小アラ!好釣果でした! |
夜釣 |
岡田グループ様 |
 |
 |
11/13 |
| 郷ノ浦 |
壱岐 |
|
クロ、良く釣れてます!良型も入ってますよ! |
日帰 |
山本・渡辺様 |
 |
|
11/11 |
| 郷ノ浦 |
壱岐 |
|
大アジ釣れてますよ!イサキも好調です! |
夜釣 |
平野グループ様 |
 |
|
11/9 |
| 郷ノ浦 |
壱岐 |
|
イサキにクロです、好釣果でした! |
夜釣 |
下川様 |
 |
|
11/8 |
| 郷ノ浦 |
壱岐 |
|
良型の真鯛です!67cm 3.7kg |
夜釣 |
武田様 |
 |
|
11/8 |
| 郷ノ浦 |
壱岐 |
|
良い天気の中、良い釣行ができました! |
夜釣 |
前川グループ様 |
 |
|
11/8 |
| 郷ノ浦 |
壱岐 |
|
真鯛です、イサキも釣れてました! |
夜釣 |
山口様 |
 |
|
11/7 |
| 郷ノ浦 |
壱岐 |
|
大大爆釣です!クロ45cm頭に40アップ沢山釣れてます!アジも47cmでした!イサキも大型です!一人でクーラー、バッカン満タンです! |
夜釣 |
井上様 |
 |
 |
11/6 |
| 郷ノ浦 |
壱岐 |
|
釣れてます!イサキ、クロに大アジも釣れてますね!いつもながらお見事です! |
夜釣 |
荒磯会様 |
 |
 |
11/6 |
| 郷ノ浦 |
壱岐 |
|
大型クロ42cmにイサキです!流石です! |
夜釣 |
一ノ瀬様 |
 |
|
11/6 |
| 郷ノ浦 |
壱岐 |
|
大型イサキにクロ、数釣れてます!昼間短時間 |
日帰 |
宮坂様 |
 |
|
11/6 |
| 郷ノ浦 |
壱岐 |
|
イサキに小アラ、アカハタ!土産できてます! |
夜釣 |
小野様 |
 |
|
11/5 |
| 郷ノ浦 |
壱岐 |
|
ヒラスです!お見事! |
日帰 |
石丸グループ様 |
 |
|
11/3 |
| 郷ノ浦 |
壱岐 |
|
イサキに真鯛です!大漁でした! |
夜釣 |
武藤・吉開様 |
 |
 |
11/1 |
| 郷ノ浦 |
壱岐 |
|
イシガキにカツオ! |
夜釣 |
花田・下野様 |
 |
|
11/1 |
| 郷ノ浦 |
壱岐 |
|
イシガキです! |
日帰 |
宮下・美佐様 |
 |
 |
11/1 |
| 郷ノ浦 |
壱岐 |
|
大型の真鯛!お見事です! |
日帰 |
神名様 |
 |
|
10/31 |
| 郷ノ浦 |
壱岐 |
|
青物にカツオです! |
日帰 |
白石様 |
 |
 |
10/31 |
| 郷ノ浦 |
壱岐 |
|
良型の尾長クロです! |
日帰 |
清水・山本様 |
 |
 |
10/30 |
| 郷ノ浦 |
壱岐 |
|
クロです!数釣れてます! |
日帰 |
植村様 |
 |
|
10/29 |
| 郷ノ浦 |
壱岐 |
|
大型クロ!40オーバー多数です! |
夜釣 |
井上様 |
 |
|
10/27 |
| 郷ノ浦 |
壱岐 |
|
クロにスマガツオです! |
夜釣 |
石田様 |
 |
|
10/26 |
| 郷ノ浦 |
壱岐 |
|
イサキにアジです! |
夜釣 |
徳永様 |
 |
|
10/26 |
| 郷ノ浦 |
壱岐 |
|
イサキにアカハタです! |
夜釣 |
江田様 |
 |
|
10/26 |
| 郷ノ浦 |
壱岐 |
|
平スズキ、サラシがあれば好調ですよ! |
日帰 |
岡本・馬場様 |
 |
 |
10/24 |
| 郷ノ浦 |
壱岐 |
|
イシガキにイシダイです! |
夜釣 |
稲田様 |
 |
|
10/24 |
| 郷ノ浦 |
壱岐 |
|
良型イサキに平スズキ、クロです! |
夜釣 |
淡島様 |
 |
|
10/24 |
| 郷ノ浦 |
壱岐 |
|
真鯛にイサキ!良い型してます!クーラー満タンの好釣果でした! |
夜釣 |
野上様 |
 |
|
10/19 |
| 郷ノ浦 |
壱岐 |
|
良型イサキにクロ! 釣れてますよ! |
夜釣 |
長野様 |
 |
|
10/19 |
| 郷ノ浦 |
壱岐 |
|
真鯛に平スズキです!ルアーです! |
夜釣 |
添田様 |
 |
|
10/19 |
| 郷ノ浦 |
壱岐 |
|
イサキ、クロ、アジです! |
夜釣 |
岡田様 |
 |
|
10/19 |
| 郷ノ浦 |
壱岐 |
|
大型クロにアラ、イサキ!好釣果! |
夜釣 |
下川様 |
 |
|
10/18 |
| 郷ノ浦 |
壱岐 |
|
大型クロ!40オーバー多数です! |
夜釣 |
廣田様 |
|
|
10/18 |
| 郷ノ浦 |
壱岐 |
|
クロ41cmにイサキ、アジ! |
夜釣 |
松崎様 |
 |
 |
10/18 |
| 郷ノ浦 |
壱岐 |
|
良型のイサキにクロも良型います! |
日帰 |
寒川様 |
 |
|
10/17 |
| 郷ノ浦 |
壱岐 |
|
イサキにクロです! |
夜釣 |
吉開様 |
 |
|
10/17 |
| 郷ノ浦 |
壱岐 |
|
真鯛にアジ、チヌです! |
夜釣 |
河野様 |
 |
|
10/17 |
| 郷ノ浦 |
壱岐 |
|
クロにイサキです! |
夜釣 |
吉田様 |
 |
|
10/16 |
| 郷ノ浦 |
壱岐 |
|
クロ、クーラー満タンです!型は35cmまでですが今から良くなってきますよ! |
夜釣 |
渋田様 |
 |
|
10/14 |
| 郷ノ浦 |
壱岐 |
|
大アジも数匹います!クロ、イサキ! |
夜釣 |
有川様 |
 |
|
10/14 |
| 郷ノ浦 |
壱岐 |
|
平スズキ!良くなって来てますよ! |
日帰 |
大久保様 |
 |
|
10/14 |
| 郷ノ浦 |
壱岐 |
|
大型ヒラスに平スズキです!好釣果! |
日帰 |
吉武・本田様 |
|
|
10/11 |
| 郷ノ浦 |
壱岐 |
|
ヒラマサに平スズキ、ルアーも釣れてますよ! |
夜釣 |
藤原様 |
 |
 |
10/11 |
| 郷ノ浦 |
壱岐 |
|
良型真鯛に大型のアオハタです! |
日帰 |
平田様 |
 |
|
10/11 |
| 郷ノ浦 |
壱岐 |
|
良型イサキにクロ、アジ好釣果です! |
夜釣 |
徳安グループ様 |
 |
 |
10/6 |
| 郷ノ浦 |
壱岐 |
|
イサキにヒラゴです!お土産できてます! |
夜釣 |
芳賀グループ様 |
 |
|
10/5 |
| 郷ノ浦 |
壱岐 |
|
良型イサキ!好調ですよ! |
夜釣 |
長野様 |
 |
|
10/5 |
| 郷ノ浦 |
壱岐 |
|
良型真鯛です!捌いてますけど(笑) |
夜釣 |
水城様 |
 |
|
10/5 |
| 郷ノ浦 |
壱岐 |
|
真鯛にヤズです!イサキも釣れてました! |
夜釣 |
田中様 |
 |
|
10/5 |
| 郷ノ浦 |
壱岐 |
|
大型真鯛にイサキ、クロ!良い釣果です! |
夜釣 |
鈴木・石井様 |
 |
|
10/3 |
| 郷ノ浦 |
壱岐 |
|
イサキにクロ、大漁です! |
夜釣 |
荒磯会様 |
 |
|
10/3 |
| 郷ノ浦 |
壱岐 |
|
イサキにクロ!好釣果です! |
夜釣 |
お客様 |
 |
|
10/3 |
| 郷ノ浦 |
壱岐 |
|
真鯛の数釣りです、イサキも釣れてます! |
夜釣 |
武田様 |
 |
|
10/3 |
| 郷ノ浦 |
壱岐 |
|
大型イサキに真鯛です! |
夜釣 |
柴垣様 |
 |
|
10/3 |
| 郷ノ浦 |
壱岐 |
|
イサキに真鯛!好釣果です! |
夜釣 |
有吉グループ様 |
 |
 |
9/22 |
| 郷ノ浦 |
壱岐 |
|
本イシ釣れてます、大型ですよ! |
夜釣 |
筒井様 |
 |
 |
9/21 |
| 郷ノ浦 |
壱岐 |
|
イシガキ!良型です、イサキもいます! |
夜釣 |
友岡様 |
 |
|
9/21 |
| 郷ノ浦 |
壱岐 |
|
良型イサキにクロ!大漁です! |
日帰 |
大工グループ様 |
 |
|
9/21 |
| 郷ノ浦 |
壱岐 |
|
イサキにクロ、チヌ!好釣果です! |
夜釣 |
坂本様 |
 |
|
9/21 |
| 郷ノ浦 |
壱岐 |
|
イサキ、アジ!クーラーいっぱいです! |
夜釣 |
泉様 |
 |
|
9/21 |
| 郷ノ浦 |
壱岐 |
|
アラにイサキ、アラカブです! |
夜釣 |
田島グループ様 |
 |
 |
9/21 |
| 郷ノ浦 |
壱岐 |
|
平スズキにイサキです! |
夜釣 |
百田様 |
 |
|
9/21 |
| 郷ノ浦 |
壱岐 |
|
イサキにヒラスです!良く釣れてますね! |
夜釣 |
吉開様 |
 |
|
9/20 |
| 郷ノ浦 |
壱岐 |
|
イサキ!好釣果です! |
夜釣 |
春本様 |
 |
|
9/20 |
| 郷ノ浦 |
壱岐 |
|
イサキ! 良型ですよ! |
夜釣 |
山本様 |
 |
|
9/20 |
| 郷ノ浦 |
壱岐 |
|
真鯛、イサキ、クロ!良い真鯛です! |
夜釣 |
斎藤様 |
 |
 |
9/20 |
| 郷ノ浦 |
壱岐 |
|
大型真鯛!地元の名手、流石です!昼でもこのサイズですよ! |
日帰 |
長嶋様 |
 |
|
9/20 |
| 郷ノ浦 |
壱岐 |
|
良型クロ!40cmです! |
日帰 |
中尾様 |
 |
|
9/20 |
| 郷ノ浦 |
壱岐 |
|
イサキに真鯛!お土産できてます! |
夜釣 |
松隈様 |
 |
|
9/20 |
| 郷ノ浦 |
壱岐 |
|
イサキにクロ! |
夜釣 |
田中様 |
 |
|
9/20 |
| 郷ノ浦 |
壱岐 |
|
特大イサキにクロ!日中のみでこの釣果です! |
日帰 |
寒川様 |
 |
|
9/19 |
| 郷ノ浦 |
壱岐 |
|
イサキにクロ!2人分の釣果ですよ!良く釣れてますね! |
夜釣 |
牧園様 |
 |
 |
9/16 |
| 郷ノ浦 |
壱岐 |
|
大型イサキ、大漁です!好釣果! |
夜釣 |
大庭・長野様 |
 |
|
9/14 |
| 郷ノ浦 |
壱岐 |
|
真鯛です!お見事! |
夜釣 |
吉丸様 |
 |
|
9/14 |
| 郷ノ浦 |
壱岐 |
|
爆釣です!大型イサキ、クーラーにも入りきらずバッカンまで満タンです!一人分ですよ! |
夜釣 |
井上様 |
 |
|
9/11 |
| 郷ノ浦 |
壱岐 |
|
イサキです! |
夜釣 |
坂本様 |
 |
|
8/23 |
| 郷ノ浦 |
壱岐 |
|
イシガキに小アラです! |
夜釣 |
花田様 |
 |
|
8/23 |
| 郷ノ浦 |
壱岐 |
|
イシガキにアコウです! |
夜釣 |
中嶋様 |
 |
|
8/23 |
| 郷ノ浦 |
壱岐 |
|
イサキです! |
夜釣 |
中村様 |
 |
|
8/23 |
| 郷ノ浦 |
壱岐 |
|
イサキです! |
夜釣 |
古川様 |
 |
|
8/23 |
| 郷ノ浦 |
壱岐 |
|
大型真鯛です!90cmお見事! |
夜釣 |
鹿毛・田中様 |
 |
|
8/22 |
| 郷ノ浦 |
壱岐 |
|
アラにイシガキです! |
夜釣 |
江口様 |
 |
 |
8/19 |
| 郷ノ浦 |
壱岐 |
|
良型イサキ!好釣果です! |
夜釣 |
薦野様 |
 |
|
8/15 |
| 郷ノ浦 |
壱岐 |
|
良型イサキです!釣れてますねー! |
夜釣 |
大川様 |
 |
|
8/15 |
| 郷ノ浦 |
壱岐 |
|
イサキに真鯛、クロです! |
夜釣 |
安河内・湯浅様 |
 |
|
8/13 |
| 郷ノ浦 |
壱岐 |
|
イサキにヒラゴです! |
夜釣 |
川原・西村様 |
 |
|
8/13 |
| 郷ノ浦 |
壱岐 |
|
イシガキです!数釣れてますねー!イサキも釣れてました! |
夜釣 |
橋本・西野様 |
 |
|
8/7 |
| 郷ノ浦 |
壱岐 |
|
大漁です!イサキにクロ! |
夜釣 |
荒磯会様 |
 |
|
8/2 |
| 郷ノ浦 |
壱岐 |
|
良型イサキです! |
日帰 |
古川様 |
 |
|
8/2 |
| 郷ノ浦 |
壱岐 |
|
良型イサキに真鯛も釣れてましたよ! |
日帰 |
長嶋様 |
 |
|
8/2 |
| 郷ノ浦 |
壱岐 |
|
イサキにクロ、子アラも釣れてました! |
夜釣 |
吉峰様 |
 |
|
8/2 |
| 郷ノ浦 |
壱岐 |
|
イサキにクロです! |
日帰 |
長嶋様 |
 |
|
7/26 |
| 郷ノ浦 |
壱岐 |
|
クロ、良型です!イサキも釣れてます! |
夜釣 |
大石様 |
 |
|
7/26 |
| 郷ノ浦 |
壱岐 |
|
ヒラスにクロ、チヌ も釣れてましたよ! |
夜釣 |
石田様 |
 |
|
7/20 |
| 郷ノ浦 |
壱岐 |
|
イサキにクロです!時化の中お疲れ様でした! |
夜釣 |
岡崎グループ様 |
 |
|
7/20 |
| 郷ノ浦 |
壱岐 |
|
大型イサキにクロでクーラー満タンです! |
夜釣 |
大河内様 |
 |
|
7/19 |
| 郷ノ浦 |
壱岐 |
|
大型イサキ!大漁です! |
夜釣 |
山本様 |
 |
|
7/19 |
| 郷ノ浦 |
壱岐 |
|
クロもイサキも40cmクラスです!アジも良型! |
夜釣 |
廣田様 |
 |
|
7/19 |
| 郷ノ浦 |
壱岐 |
|
イサキよく釣れてます! |
夜釣 |
長野様 |
 |
|
7/19 |
| 郷ノ浦 |
壱岐 |
|
イサキ大漁です!二人分の釣果ですよ! |
夜釣 |
荒磯会様 |
 |
|
7/18 |
| 郷ノ浦 |
壱岐 |
|
下に良型真鯛がいます!クロにイサキです! |
日帰 |
宮坂・松本様 |
 |
|
7/17 |
| 郷ノ浦 |
壱岐 |
|
イサキにクロです!イサキ良型です! |
夜釣 |
松本・熊川様 |
 |
|
7/17 |
| 郷ノ浦 |
壱岐 |
|
坂本さん相変わらず釣ってますね!イサキにクロ!お見事です! |
夜釣 |
坂本様 |
 |
 |
7/12 |
| 郷ノ浦 |
壱岐 |
|
イサキにクロです! |
夜釣 |
下津・森山様 |
 |
|
7/12 |
| 郷ノ浦 |
壱岐 |
|
アラにイシガキです! |
夜釣 |
花田様 |
 |
 |
7/12 |
| 郷ノ浦 |
壱岐 |
|
クロです!良い型が釣れてます! |
日帰 |
中嶋・篠崎様 |
 |
|
7/12 |
| 郷ノ浦 |
壱岐 |
|
良型イサキですよ、短時間で数も釣れてます! |
日帰 |
寒川様 |
 |
|
7/11 |
| 郷ノ浦 |
壱岐 |
|
大型イサキ!釣れてましたよ! |
日帰 |
清川様 |
 |
|
7/11 |
| 郷ノ浦 |
壱岐 |
|
沖防のイサキです!大型40cmアップです! |
夜釣 |
笠様 |
 |
|
7/5 |
| 郷ノ浦 |
壱岐 |
|
イサキにクロ、大漁です!大型も沢山釣れてますよ!好釣果です! |
夜釣 |
服部グループ様 |
 |
 |
7/4 |
| 郷ノ浦 |
壱岐 |
|
良型イサキです! |
夜釣 |
西田様 |
 |
|
7/4 |
| 郷ノ浦 |
壱岐 |
|
良型イサキにクロ!良いお土産ができてます! |
夜釣 |
大川グループ様 |
 |
 |
7/3 |
| 郷ノ浦 |
壱岐 |
|
良型真鯛に捌いてますけどイサキも結構釣れてましたよ! |
夜釣 |
西村様 |
 |
|
7/3 |
| 郷ノ浦 |
壱岐 |
|
クロ40cmにイサキも良型です! |
夜釣 |
日高様 |
 |
 |
6/28 |
| 郷ノ浦 |
壱岐 |
|
真鯛です、65cm、3.0kg!昼間の釣果です! |
日帰 |
古川様 |
 |
|
6/28 |
| 郷ノ浦 |
壱岐 |
|
良型イサキ、クロ!好釣果でした! |
夜釣 |
今村様 |
 |
|
6/28 |
| 郷ノ浦 |
壱岐 |
|
イサキ数釣れてます! |
夜釣 |
大河内様 |
 |
|
6/28 |
| 郷ノ浦 |
壱岐 |
|
大型イサキで大漁です! |
夜釣 |
坂本様 |
 |
|
6/28 |
| 郷ノ浦 |
壱岐 |
|
大型イサキ、大漁です! |
夜釣 |
吉開様 |
 |
|
6/28 |
| 郷ノ浦 |
壱岐 |
|
大型イサキ、アラ、クロ!大漁ですね!悪天候の中この釣果はお見事です! |
夜釣 |
荒磯会様 |
 |
|
6/27 |
| 郷ノ浦 |
壱岐 |
|
大型イサキ!!クーラー満タン!一ノ瀬さん相変わらず釣ってますね! |
夜釣 |
一ノ瀬様 |
 |
|
6/24 |
| 郷ノ浦 |
壱岐 |
|
型の良いイサキにクロです!ハトも好調です! |
夜釣 |
柴垣様 |
 |
|
6/23 |
| 郷ノ浦 |
壱岐 |
|
イサキにクロ、よく釣れてますよ!絶好調! |
夜釣 |
長野様 |
 |
|
6/22 |
| 郷ノ浦 |
壱岐 |
|
イサキにクロ!大漁です! |
夜釣 |
関・田中様 |
 |
|
6/22 |
| 郷ノ浦 |
壱岐 |
|
大型イサキに良型クロ!流石の釣果です! |
夜釣 |
大石様 |
 |
|
6/21 |
| 郷ノ浦 |
壱岐 |
|
昼間のハトの釣果です、大型イサキ! |
日帰 |
中嶋様 |
 |
|
6/21 |
| 郷ノ浦 |
壱岐 |
|
大型真鯛にイサキ!お見事です! |
夜釣 |
大西・山田様 |
 |
 |
6/20 |
| 郷ノ浦 |
壱岐 |
|
良型クロ40up数匹に30後半多数です! |
日帰 |
市川・川畑様 |
 |
|
6/20 |
| 郷ノ浦 |
壱岐 |
|
大型イサキです!丸々してます! |
夜釣 |
武田様 |
 |
|
6/20 |
| 郷ノ浦 |
壱岐 |
|
大漁です!イサキ、クロ、大アジも釣れてました |
夜釣 |
橋本グループ様 |
 |
 |
6/17 |
| 郷ノ浦 |
壱岐 |
|
大型クロ50cmにイサキも大漁です!好釣果! |
夜釣 |
荒磯会様 |
 |
 |
6/17 |
| 郷ノ浦 |
壱岐 |
|
イサキ大漁です!40cmクラスも沢山いますよ! |
夜釣 |
西村様 |
 |
|
6/17 |
| 郷ノ浦 |
壱岐 |
|
アラが釣れてます!イサキにクロ! |
夜釣 |
清澤様 |
 |
|
6/16 |
| 郷ノ浦 |
壱岐 |
|
平スズキにイサキ! リリースもかなりしてます! |
日帰 |
中野様 |
 |
|
6/16 |
| 郷ノ浦 |
壱岐 |
|
イサキにクロです!良い型してます! |
夜釣 |
梶原様 |
 |
|
6/16 |
| 郷ノ浦 |
壱岐 |
|
ハトの昼間です!大型イサキにクロ、良型もいますね!ハトのイサキも期待出来ます! |
日帰 |
寒川様 |
 |
 |
6/13 |
| 郷ノ浦 |
壱岐 |
|
日中のクロです! |
日帰 |
山本様 |
 |
|
6/10 |
| 郷ノ浦 |
壱岐 |
|
大型イサキで大型クーラー満タンです!良く釣れてましねー!クロも大型が下にいましたよ! |
夜釣 |
長野様 |
 |
 |
6/8 |
| 郷ノ浦 |
壱岐 |
|
イサキにクロ、良型揃いです!好調ですよ! |
夜釣 |
芳賀・大黒様 |
 |
|
6/8 |
| 郷ノ浦 |
壱岐 |
|
夜釣りのみの釣果です!大型イサキ! |
夜釣 |
古川様 |
 |
|
6/7 |
| 郷ノ浦 |
壱岐 |
|
大型クロ45cmに大型イサキ! |
夜釣 |
橋本様 |
 |
|
6/7 |
| 郷ノ浦 |
壱岐 |
|
イサキにクロ!良いお土産できてます! |
日帰 |
中嶋グループ様 |
 |
|
6/7 |
| 郷ノ浦 |
壱岐 |
|
大型 イサキにクロです! |
夜釣 |
福島様 |
 |
|
6/7 |
| 郷ノ浦 |
壱岐 |
|
大型 イサキにクロです! |
夜釣 |
保坂様 |
|
|
6/7 |
| 郷ノ浦 |
壱岐 |
|
大型イサキ!クーラー満タンです! |
夜釣 |
坂本様 |
 |
 |
6/6 |
| 郷ノ浦 |
壱岐 |
|
良型イサキですよー!クロも良型釣れてますねー!好釣果でした、お見事! |
夜釣 |
渋田グループ様 |
 |
|
6/5 |
| 郷ノ浦 |
壱岐 |
|
クロにアカハタです、小型もいますが数釣りです |
夜釣 |
関・水野様 |
 |
|
6/2 |
| 郷ノ浦 |
壱岐 |
|
大型クロ43cm頭に良く釣れてます!イサキも釣れてますよ!好釣果です! |
夜釣 |
吉開・武藤様 |
 |
 |
5/31 |
| 郷ノ浦 |
壱岐 |
|
大型クロ40cmクラスにアラ、チヌも釣れてます! 大漁でした!お見事です! |
夜釣 |
大河内様 |
 |
|
5/31 |
| 郷ノ浦 |
壱岐 |
|
良型クロにイサキです! |
日帰 |
石井・中田様 |
 |
|
5/31 |
| 郷ノ浦 |
壱岐 |
|
クロにイサキ!クロなかなかの良型でしたよ! |
夜釣 |
河野・古川様 |
 |
|
5/30 |
| 郷ノ浦 |
壱岐 |
|
クロにチヌ、アラカブ沢山釣れてます! |
夜釣 |
柴垣様 |
 |
|
5/27 |
| 郷ノ浦 |
壱岐 |
|
大型イサキにクロ40cm、真鯛も釣れてます! |
日帰 |
木脇様 |
|
|
5/26 |
| 郷ノ浦 |
壱岐 |
|
アラが釣れてます、40cm口太、35cm尾長も釣れてました! |
夜釣 |
麻生様 |
 |
 |
5/24 |
| 郷ノ浦 |
壱岐 |
|
大型クロ50cmを頭に良く釣れてましたよ!メバルも釣れてました!好釣果です! |
夜釣 |
大河内様 |
 |
 |
5/17 |
| 郷ノ浦 |
壱岐 |
|
良型イサキ41cmにヒラゴです! 丸々してます |
日帰 |
平田様 |
 |
|
5/13 |
| 郷ノ浦 |
壱岐 |
|
大型クロ49cm、2.0kgです!大漁でした! |
夜釣 |
佐村・豊村様 |
 |
|
5/5 |
| 郷ノ浦 |
壱岐 |
|
大型クロ44cmにイサキ、チヌ好釣果です! |
日帰 |
村部様 |
 |
|
5/5 |
| 郷ノ浦 |
壱岐 |
|
チヌにクロです!好釣果です! |
夜釣 |
田中グループ様 |
 |
 |
5/3 |
| 郷ノ浦 |
壱岐 |
|
チヌ大漁です、カンダイ、クロもいます!好釣果です!まだまだチヌ釣れますよ! |
夜釣 |
山田グループ様 |
 |
|
5/1 |
| 郷ノ浦 |
壱岐 |
|
チヌにクロです!大型もいますね! |
夜釣 |
渡辺グループ様 |
 |
|
5/1 |
| 郷ノ浦 |
壱岐 |
|
チヌにイサキ、クロもいますよ! |
日帰 |
中尾様 |
|
|
4/29 |
| 郷ノ浦 |
壱岐 |
|
チヌ、お腹パンパンです!数も型も狙えますよ |
夜釣 |
田辺様 |
 |
|
4/27 |
| 郷ノ浦 |
壱岐 |
|
大型チヌに良型のイサキです! |
夜釣 |
上野様 |
 |
|
4/27 |
| 郷ノ浦 |
壱岐 |
|
良型イサキに大型チヌ!チヌのリリースありです、釣れてますよ! |
日帰 |
古川・長嶋様 |
|
|
4/19 |
| 郷ノ浦 |
壱岐 |
|
良型イサキにクロです!好釣果! |
日帰 |
柳原様 |
 |
|
4/16 |
| 郷ノ浦 |
壱岐 |
|
チヌです、良く釣れてましたよ! |
夜釣 |
井上様 |
 |
|
4/15 |
| 郷ノ浦 |
壱岐 |
|
チヌ、カンダイ、スズキです! |
夜釣 |
山口・福田様 |
 |
|
4/11 |
| 郷ノ浦 |
壱岐 |
|
チヌ、釣れてますよ! |
夜釣 |
長野様 |
 |
|
4/9 |
| 郷ノ浦 |
壱岐 |
|
クロ30cmですが数釣れてます!ヤズもいます |
日帰 |
宮坂様 |
 |
|
4/8 |
| 郷ノ浦 |
壱岐 |
|
チヌ!今年も釣れてますよ!クーラー満タンです!チヌ祭りわこれからですよ! |
夜釣 |
河井・田辺様 |
 |
|
4/7 |
| 郷ノ浦 |
壱岐 |
|
桜鯛です!寒川さん二日目の釣果です! |
日帰 |
寒川様 |
 |
|
4/4 |
| 郷ノ浦 |
壱岐 |
|
真鯛です、良いサイズですよ!4.3kg! |
日帰 |
長岡様 |
 |
|
4/4 |
| 郷ノ浦 |
壱岐 |
|
良型真鯛です、74cm・4.2kg! 好釣果でした! |
日帰 |
寒川様 |
 |
|
4/3 |
| 郷ノ浦 |
壱岐 |
|
クロ41cm、良型もまだまだ釣れますよ! |
日帰 |
小畑様 |
 |
|
4/3 |
| 郷ノ浦 |
壱岐 |
|
平スズキです! |
日帰 |
中野様 |
 |
|
4/1 |
| 郷ノ浦 |
壱岐 |
|
特大のイサキにチヌ!大漁です! |
夜釣 |
首藤様 |
 |
|
3/29 |
| 郷ノ浦 |
壱岐 |
|
尾長クロ45cmにチヌ、イサキです! |
夜釣 |
三原様 |
 |
|
3/29 |
| 郷ノ浦 |
壱岐 |
|
尾長クロ43cm2匹、まだまだ釣れますよ! |
日帰 |
長嶋様 |
 |
|
3/29 |
| 郷ノ浦 |
壱岐 |
|
大型チヌ55cmに良型イサキです! |
夜釣 |
河野・木下様 |
 |
|
3/29 |
| 郷ノ浦 |
壱岐 |
|
平スズキです!釣果も良くなってきましたよ! |
日帰 |
牟田口・古賀様 |
 |
 |
3/28 |
| 郷ノ浦 |
壱岐 |
|
尾長クロ45cm!チヌも釣れてました! |
日帰 |
五井様 |
 |
|
3/25 |
| 郷ノ浦 |
壱岐 |
|
良型イサキにクロ!好釣果です! |
夜釣 |
古賀様 |
 |
|
3/25 |
| 郷ノ浦 |
壱岐 |
|
良型の真鯛です、67cm、3.8kg!桜鯛の季節です、今からどんどん良くなってきますよ! |
日帰 |
大曲様 |
 |
|
3/24 |
| 郷ノ浦 |
壱岐 |
|
クロ42cmにカンダイ4.7kgです! |
日帰 |
福田・山口様 |
 |
|
3/24 |
| 郷ノ浦 |
壱岐 |
|
ヒラスにチヌです!チヌ釣れてます! |
夜釣 |
広田グループ様 |
 |
 |
3/21 |
| 郷ノ浦 |
壱岐 |
|
良型イサキにチヌ、クロです! |
夜釣 |
吉開様 |
 |
|
3/21 |
| 郷ノ浦 |
壱岐 |
|
良型真鯛にヒラスです!お見事! |
日帰 |
勝又様 |
 |
 |
3/20 |
| 郷ノ浦 |
壱岐 |
|
チヌ、好釣果です!チヌも釣れだしましたよ! |
日帰 |
井上様 |
|
|
3/19 |
| 郷ノ浦 |
壱岐 |
|
石鯛、イサキ、チヌ、好釣果でした! |
日帰 |
原田様 |
 |
 |
3/18 |
| 郷ノ浦 |
壱岐 |
|
大型真鯛です!今から真鯛も良くなりますよ! |
日帰 |
古川様 |
 |
|
3/15 |
| 郷ノ浦 |
壱岐 |
|
良型イサキにクロです! |
夜釣 |
松崎様 |
 |
|
3/14 |
| 郷ノ浦 |
壱岐 |
|
真鯛に良型イサキです! |
日帰 |
黒川様 |
 |
|
3/13 |
| 郷ノ浦 |
壱岐 |
|
クロ、40オーバー尾長です! |
日帰 |
松本様 |
 |
|
3/13 |
| 郷ノ浦 |
壱岐 |
|
真鯛にクロです! |
夜釣 |
御厨様 |
 |
|
3/12 |
| 郷ノ浦 |
壱岐 |
|
良型クロ43cmにチヌです! |
日帰 |
杉原様 |
|
|
3/9 |
| 郷ノ浦 |
壱岐 |
|
大型クロに大型チヌを釣ってます! 好釣果! |
日帰 |
原田様 |
 |
 |
3/7 |
| 郷ノ浦 |
壱岐 |
|
大型クロにチヌ!チヌも釣れだしました! |
日帰 |
福田様 |
 |
|
3/7 |
| 郷ノ浦 |
壱岐 |
|
チヌにクロ、アジも良型です! |
夜釣 |
岡田グループ様 |
 |
 |
3/7 |
| 郷ノ浦 |
壱岐 |
|
クロ49cmに大型チヌ60cm、3.5kgです!クロ40オーバー数匹です、好釣果! |
日帰 |
山田様 |
 |
 |
3/6 |
| 郷ノ浦 |
壱岐 |
|
クロ42cm1.2kgの良型ですよ! |
日帰 |
増田様 |
 |
|
3/6 |
| 郷ノ浦 |
壱岐 |
|
クロにイサキ、チヌです! |
日帰 |
結城様 |
 |
|
3/6 |
| 郷ノ浦 |
壱岐 |
|
真鯛、クロ、イサキ、チヌです! |
日帰 |
竹藤グループ様 |
 |
|
3/2 |
| 郷ノ浦 |
壱岐 |
|
クロにイサキです! |
夜釣 |
長野様 |
 |
|
3/2 |
| 郷ノ浦 |
壱岐 |
|
大型クロ48cm1.8kgです! クロ釣れてます! |
日帰 |
松本様 |
 |
 |
3/1 |
| 郷ノ浦 |
壱岐 |
|
尾長クロ46cm、口太クロ45cmです! |
日帰 |
牟田崎様 |
 |
|
3/1 |
| 郷ノ浦 |
壱岐 |
|
大型クロ48cm、45cm、40cmです! |
日帰 |
中尾様 |
 |
|
2/29 |
| 郷ノ浦 |
壱岐 |
|
大型クロ3匹です!40cmオーバーは他にもいましたよ!流石の釣果です! |
日帰 |
松本様 |
 |
|
2/28 |
| 郷ノ浦 |
壱岐 |
|
大型クロ48cm、1.9kg大型で数も釣れてます!クロも絶好調ですよ~! |
日帰 |
長嶋様 |
 |
 |
2/28 |
| 郷ノ浦 |
壱岐 |
|
大型クロにチヌもデカいです!お見事! |
日帰 |
寺井様 |
 |
|
2/28 |
| 郷ノ浦 |
壱岐 |
|
良型アジにイサキ、クロ、クーラー満タン! |
夜釣 |
挽地・小池様 |
 |
 |
2/28 |
| 郷ノ浦 |
壱岐 |
|
クロ40upの大型ばかりですよ!チヌも釣れてます!好釣果です! |
日帰 |
田山様 |
 |
 |
2/24 |
| 郷ノ浦 |
壱岐 |
|
大型クロ1.6kgです!丸々してます! |
日帰 |
篠崎・中嶋様 |
 |
|
2/24 |
| 郷ノ浦 |
壱岐 |
|
良い型のアジです、40cmオーバーもいますよ! |
夜釣 |
お客様 |
 |
|
2/23 |
| 郷ノ浦 |
壱岐 |
|
大型クロ47cm、1.8kgに44cmです! |
日帰 |
長嶋様 |
 |
|
2/23 |
| 郷ノ浦 |
壱岐 |
|
真鯛にクロ、チヌです! |
日帰 |
李様 |
 |
|
2/23 |
| 郷ノ浦 |
壱岐 |
|
クロの数釣りです! |
日帰 |
石井様 |
|
|
2/23 |
| 郷ノ浦 |
壱岐 |
|
大型クロ46cmです!好釣果でした! |
日帰 |
小畑様 |
 |
|
2/20 |
| 郷ノ浦 |
壱岐 |
|
大型クロ40オーバー5枚ですよ! |
日帰 |
結城様 |
 |
|
2/20 |
| 郷ノ浦 |
壱岐 |
|
大型クロ釣れてますよー! |
日帰 |
柳原様 |
 |
|
2/20 |
| 郷ノ浦 |
壱岐 |
|
大型クロです! |
日帰 |
松本様 |
 |
|
2/20 |
| 郷ノ浦 |
壱岐 |
|
クロ40オーバー5枚の好釣果!数も釣れてます |
日帰 |
五井様 |
 |
|
2/15 |
| 郷ノ浦 |
壱岐 |
|
大型クロに真鯛です!真鯛も良く釣れてます! |
夜釣 |
小池様 |
 |
|
2/14 |
| 郷ノ浦 |
壱岐 |
|
大型クロが沢山釣れてますよ!46cm、45cm、爆釣です、クロ絶好調ですよ! |
日帰 |
宮原様 |
 |
|
2/11 |
| 郷ノ浦 |
壱岐 |
|
大型クロ48cm!40オーバー多数です! |
日帰 |
木脇様 |
 |
|
2/11 |
| 郷ノ浦 |
壱岐 |
|
クロ49cmと44cmの大物です!いい感じで釣れてます!お見事! |
日帰 |
増田・山田様 |
 |
|
2/11 |
| 郷ノ浦 |
壱岐 |
|
真鯛75cmにクロ46cmです!クーラー満タンの好釣果です! |
夜釣 |
松隈様 |
 |
|
2/11 |
| 郷ノ浦 |
壱岐 |
|
良型真鯛!数も釣れてますねー! |
夜釣 |
長野様 |
 |
|
2/11 |
| 郷ノ浦 |
壱岐 |
|
4.0kgの真鯛ですよ!昼でも真鯛釣れちゃいます |
日帰 |
福田様 |
 |
|
2/11 |
| 郷ノ浦 |
壱岐 |
|
大型クロ45cmに42cmです!好釣果! |
日帰 |
山口様 |
 |
|
2/11 |
| 郷ノ浦 |
壱岐 |
|
大型クロ50cm、1.8kgです!真鯛も72cm、4kgの良型ですよ!流石です! |
日帰 |
長嶋様 |
 |
|
2/9 |
| 郷ノ浦 |
壱岐 |
|
クロ42cm、41cmです! |
日帰 |
金様 |
 |
|
2/9 |
| 郷ノ浦 |
壱岐 |
|
チヌに真鯛、クロです! |
日帰 |
長嶋様 |
 |
|
2/9 |
| 郷ノ浦 |
壱岐 |
|
良型真鯛72cmです!お見事でした! |
夜釣 |
長澤様 |
 |
|
2/8 |
| 郷ノ浦 |
壱岐 |
|
良型クロ、クーラー満タンです!好釣果です! |
夜釣 |
首藤・前田様 |
 |
|
2/8 |
| 郷ノ浦 |
壱岐 |
|
今日も良型クロを仕留めてます! |
日帰 |
金様 |
 |
|
2/8 |
| 郷ノ浦 |
壱岐 |
|
石鯛に良型クロです! |
日帰 |
寒川様 |
 |
|
2/8 |
| 郷ノ浦 |
壱岐 |
|
二日目も良型のクロを仕留めてますねー! |
日帰 |
金様 |
 |
|
2/6 |
| 郷ノ浦 |
壱岐 |
|
クロ40cmにチヌです! |
日帰 |
金様 |
 |
|
2/5 |
| 郷ノ浦 |
壱岐 |
|
良型クロ、クーラー満タンの好釣果です! |
夜釣 |
関様 |
 |
|
2/4 |
| 郷ノ浦 |
壱岐 |
|
大型クロ49cmです!お見事! |
日帰 |
植村様 |
 |
 |
2/2 |
| 郷ノ浦 |
壱岐 |
|
良型の真鯛です!お見事! |
日帰 |
お客様 |
 |
|
2/2 |
| 郷ノ浦 |
壱岐 |
|
2日目も大型クロを仕留めてます!流石です! |
日帰 |
小屋・後藤様 |
 |
|
2/2 |
| 郷ノ浦 |
壱岐 |
|
クロ46cmに45cmです! |
日帰 |
清川様 |
 |
|
2/2 |
| 郷ノ浦 |
壱岐 |
|
大型クロ49cm、48cm40オーバー多数です!チヌも釣れてます!クロ好調ですよ! |
日帰 |
後藤・小屋様 |
 |
 |
2/1 |
| 郷ノ浦 |
壱岐 |
|
大型クロ47cmです!お見事! |
日帰 |
山本様 |
 |
|
2/1 |
| 郷ノ浦 |
壱岐 |
|
大型クロ45cmに41cmです! |
日帰 |
結城様 |
 |
|
2/1 |
| 郷ノ浦 |
壱岐 |
|
二日目の釣果です、青物もまだまだ釣れますよ |
日帰 |
児玉・黒木様 |
 |
|
1/30 |
| 郷ノ浦 |
壱岐 |
|
ヒラマサにヤズです! |
日帰 |
児玉・黒木様 |
 |
|
1/29 |
| 郷ノ浦 |
壱岐 |
|
大型クロ釣れてます!あとチヌです! |
夜釣 |
廣田・中村様 |
|
|
1/26 |
| 郷ノ浦 |
壱岐 |
|
時化の中での大爆釣です‼口太48cm、尾長45cm、40オーバーが沢山釣れてますよ! |
日帰 |
福田・長岡様 |
 |
 |
1/25 |
| 郷ノ浦 |
壱岐 |
|
サンバソウにクロです! |
日帰 |
寒川様 |
 |
|
1/24 |
| 郷ノ浦 |
壱岐 |
|
クロ46cmに45cm、良型が沢山釣れてますよ! |
日帰 |
山口様 |
 |
 |
1/23 |
| 郷ノ浦 |
壱岐 |
|
クロ最大43cmで40オーバー多数です!チヌやヘダイも釣れてます!好釣果でした! |
夜釣 |
井上様 |
 |
|
1/22 |
| 郷ノ浦 |
壱岐 |
|
大型クロ45cmです!好釣果! |
夜釣 |
関様 |
 |
|
1/21 |
| 郷ノ浦 |
壱岐 |
|
捌いてますけど40後半の大型クロですよ! |
日帰 |
久保様 |
 |
|
1/20 |
| 郷ノ浦 |
壱岐 |
|
良型ヒラマサです! |
日帰 |
武田様 |
 |
|
1/17 |
| 郷ノ浦 |
壱岐 |
|
クロ41cmにチヌです! |
日帰 |
斎藤・宮坂様 |
 |
|
1/16 |
| 郷ノ浦 |
壱岐 |
|
大型クロ46cmに良型真鯛です! |
日帰 |
長嶋様 |
 |
|
1/13 |
| 郷ノ浦 |
壱岐 |
|
真鯛です、時化でバラシ連発の中お見事です |
日帰 |
石井様 |
 |
|
1/12 |
| 郷ノ浦 |
壱岐 |
|
真鯛にヒラスでクーラー満タンです! |
夜釣 |
日下部様 |
 |
 |
1/11 |
| 郷ノ浦 |
壱岐 |
|
大型 クロ1.8kgに大アジ、イサキ好釣果です! |
夜釣 |
御厨様 |
 |
 |
1/11 |
| 郷ノ浦 |
壱岐 |
|
クロ45cm,1.5kgです!お見事! |
日帰 |
松本様 |
 |
|
1/11 |
| 郷ノ浦 |
壱岐 |
|
ハトの良型サンバソウですよ! |
日帰 |
寒川様 |
 |
|
1/11 |
| 郷ノ浦 |
壱岐 |
|
大型クロ46cmです!大型クロも釣れてます! |
日帰 |
山口様 |
|
|
1/10 |
| 郷ノ浦 |
壱岐 |
|
クロ43cmに40cmです!好釣果! |
日帰 |
小畑様 |
 |
|
1/10 |
| 郷ノ浦 |
壱岐 |
|
ヒラス78cmに真鯛も釣れてますよ! |
日帰 |
大曲様 |
 |
|
1/10 |
| 郷ノ浦 |
壱岐 |
|
大アジ50cm釣れてますよ!iglooのクーラーいっぱいです!下に真鯛とクロがいます! |
夜釣 |
白川様 |
|
|
1/6 |
| 郷ノ浦 |
壱岐 |
|
大型クロ43cmが4匹です!良い感じで釣れてます!お見事です! |
日帰 |
馬場様 |
 |
|
1/5 |
| 郷ノ浦 |
壱岐 |
|
クロ40cm、大きなバラシもあったみたいです! |
日帰 |
福田様 |
 |
|
1/5 |
| 郷ノ浦 |
壱岐 |
|
大型アジ50クラスです!クロも40オーバーです |
夜釣 |
中村様 |
 |
|
1/5 |
| 郷ノ浦 |
壱岐 |
|
石鯛に真鯛です! 良いサイズです! |
夜釣 |
和田様 |
 |
 |
1/4 |
| 郷ノ浦 |
壱岐 |
|
大型クロ48cmですよ!お見事! |
夜釣 |
坂本様 |
 |
|
1/4 |
| 郷ノ浦 |
壱岐 |
|
良型真鯛にイサキ、チヌです! |
夜釣 |
下川様 |
 |
|
1/4 |
| 郷ノ浦 |
壱岐 |
|
イサキにクロ、チヌです! |
夜釣 |
大石様 |
 |
|
1/4 |
| 郷ノ浦 |
壱岐 |
|
大型クロ43cmにヒラスです! 好釣果! |
日帰 |
白川様 |
 |
|
1/3 |
| 郷ノ浦 |
壱岐 |
|
良型クロ、数つれてました! |
日帰 |
矢野様 |
 |
|
1/3 |
| 郷ノ浦 |
壱岐 |
|
大アジです!クーラーいっぱいの釣果です! |
夜釣 |
田辺様 |
 |
|
1/3 |
| 郷ノ浦 |
壱岐 |
|
クロ、数釣りです! |
夜釣 |
関様 |
 |
|
1/3 |
| 郷ノ浦 |
壱岐 |
|
五目釣りでの好釣果! |
夜釣 |
柴垣様 |
 |
|
1/1 |
| 郷ノ浦 |
壱岐 |
|
良型クロ、ハトの釣果ですよ! |
日帰 |
寒川様 |
 |
|
1/1 |
| 郷ノ浦 |
壱岐 |
|
真鯛60cmにクロ41cmと40cmです! |
日帰 |
中田様 |
 |
 |
12/29 |
| 郷ノ浦 |
壱岐 |
|
大アジにアラ、好釣果です! |
夜釣 |
坂本様 |
 |
|
12/29 |
| 郷ノ浦 |
壱岐 |
|
大型クロ45cmです! |
日帰 |
山川様 |
 |
|
12/29 |
| 郷ノ浦 |
壱岐 |
|
クロ40cmにイサキです! |
日帰 |
篠崎様 |
 |
 |
12/29 |
| 郷ノ浦 |
壱岐 |
|
良型のサワラですよ! |
日帰 |
金子様 |
 |
|
12/29 |
| 郷ノ浦 |
壱岐 |
|
真鯛に良型サンバソウ、クロです! |
日帰 |
寒川様 |
 |
|
12/29 |
| 郷ノ浦 |
壱岐 |
|
大アジ50cm級です! |
夜釣 |
津田様 |
 |
|
12/29 |
| 郷ノ浦 |
壱岐 |
|
チヌにクロです! |
日帰 |
長嶋様 |
 |
|
12/29 |
| 郷ノ浦 |
壱岐 |
|
良型真鯛です!イサキにクロも釣れてました! |
夜釣 |
松崎様 |
 |
|
12/28 |
| 郷ノ浦 |
壱岐 |
|
良型クロ最大40cm、数も釣れてます! |
日帰 |
結城様 |
 |
|
12/24 |
| 郷ノ浦 |
壱岐 |
|
尾長クロ40cmにイサキ、真鯛です! |
夜釣 |
長野様 |
 |
|
12/24 |
| 郷ノ浦 |
壱岐 |
|
大型クロ45cmに50cmクラスの大アジです! |
夜釣 |
中村・鷹田・永様 |
 |
 |
12/22 |
| 郷ノ浦 |
壱岐 |
|
クロ、まずまずのサイズですが数釣れてます! |
日帰 |
村部様 |
 |
|
12/21 |
| 郷ノ浦 |
壱岐 |
|
大型のアラですよ!お見事です! |
夜釣 |
清澤様 |
 |
 |
12/20 |
| 郷ノ浦 |
壱岐 |
|
イサキにアジです!良型ですよ! |
夜釣 |
川口様 |
 |
|
12/20 |
| 郷ノ浦 |
壱岐 |
|
ヒラスにクロです! |
日帰 |
釘本様 |
 |
|
12/20 |
| 郷ノ浦 |
壱岐 |
|
大型真鯛です!大アジに良型クロも釣れてます |
夜釣 |
芳賀様 |
 |
 |
12/16 |
| 郷ノ浦 |
壱岐 |
|
クロ、大型です46cm、41cmアジも45cmありますよ! 好釣果です! |
夜釣 |
井上様 |
 |
|
12/16 |
| 郷ノ浦 |
壱岐 |
|
尾長クロ40cmに真鯛62cmです! |
日帰 |
久保様 |
 |
|
12/15 |
| 郷ノ浦 |
壱岐 |
|
ヒラスにブリ、良型でした! |
日帰 |
平田様 |
 |
|
12/15 |
| 郷ノ浦 |
壱岐 |
|
大アジ40オーバーにクロです! |
夜釣 |
河村・渡辺様 |
 |
|
12/14 |
| 郷ノ浦 |
壱岐 |
|
平スズキに良型ブリ!リリースも結構したそうですよ。 |
日帰 |
中野様 |
 |
|
12/12 |
| 郷ノ浦 |
壱岐 |
|
真鯛に石鯛、クロ、良型です!好釣果! |
夜釣 |
高鍋様 |
 |
|
12/11 |
| 郷ノ浦 |
壱岐 |
|
クロ最大45cmで40オーバーも数枚いました! |
日帰 |
竹藤グループ様 |
 |
 |
12/10 |
| 郷ノ浦 |
壱岐 |
|
良型の真鯛です!76cm、4.7kg! |
夜釣 |
冷水様 |
 |
|
12/7 |
| 郷ノ浦 |
壱岐 |
|
良型の石鯛です!クロにスマガツオも釣れてました! |
日帰 |
伊藤・清川・中村様 |
 |
 |
12/1 |
| 郷ノ浦 |
壱岐 |
|
ヒラマサ93cm、いつもながらの好釣果です! |
日帰 |
中西・吉本様 |
 |
|
11/30 |
| 郷ノ浦 |
壱岐 |
|
大型イサキ爆釣です!夜中はイサキ釣れてます |
夜釣 |
吉福様 |
 |
|
11/30 |
| 郷ノ浦 |
壱岐 |
|
尾長クロ44cm、1.3kg!昼間のクロもだんだん良くなって来てます! |
日帰 |
結城様 |
 |
|
11/29 |
| 郷ノ浦 |
壱岐 |
|
石鯛です!良型ですよ! |
夜釣 |
稲田様 |
 |
|
11/28 |
| 郷ノ浦 |
壱岐 |
|
大アジに平アジ、イサキ、クロ好釣果です! |
夜釣 |
田川・有川・伊藤様 |
 |
|
11/27 |
| 郷ノ浦 |
壱岐 |
|
イサキに大アジです!好釣果! |
夜釣 |
大川様 |
 |
|
11/24 |
| 郷ノ浦 |
壱岐 |
|
真鯛です!イサキも釣れてました! |
夜釣 |
|
 |
|
11/24 |
| 郷ノ浦 |
壱岐 |
|
イサキにクロ、大アジも釣れてますよ! |
夜釣 |
古川・河野様 |
 |
|
11/23 |
| 郷ノ浦 |
壱岐 |
|
イサキにクロ、平アジです!好釣果です! |
夜釣 |
東様 |
 |
|
11/23 |
| 郷ノ浦 |
壱岐 |
|
クロ、イサキ、平アジです!良型ですよ! |
夜釣 |
松本様 |
 |
|
11/23 |
| 郷ノ浦 |
壱岐 |
|
クロです、良型ですよ! |
日帰 |
お客様 |
 |
|
11/22 |
| 郷ノ浦 |
壱岐 |
|
ヒラマサ!青物好調ですよ! |
日帰 |
安保様 |
 |
 |
11/19 |
| 郷ノ浦 |
壱岐 |
|
平スズキにヒラマサです! |
日帰 |
|
 |
|
11/19 |
| 郷ノ浦 |
壱岐 |
|
クロ44cmに大アジ、イサキ大漁です! |
夜釣 |
一ノ瀬・大河内様 |
 |
|
11/17 |
| 郷ノ浦 |
壱岐 |
|
クロ、イサキ、アジ好釣果です!40オーバーの尾長も数匹いますよ!クロ、好調の兆しです! |
夜釣 |
古賀グループ様 |
 |
|
11/17 |
| 郷ノ浦 |
壱岐 |
|
大アジ50cmクラスです!イサキも40cmクラスですよ! |
夜釣 |
池田グループ様 |
 |
|
11/16 |
| 郷ノ浦 |
壱岐 |
|
クロの数釣です! |
日帰 |
寒川様 |
 |
|
11/15 |
| 郷ノ浦 |
壱岐 |
|
特大アジに良型のクロ、イサキも釣れてます! |
夜釣 |
九州荒磯会様 |
 |
 |
11/13 |
| 郷ノ浦 |
壱岐 |
|
ヒラスです!青物、好調ですよ! |
日帰 |
片岡・内田・中村様 |
 |
 |
11/12 |
| 郷ノ浦 |
壱岐 |
|
イサキにクロ、大アジです!クロもイサキも大型がいますよ!好釣果です! |
夜釣 |
吉岡・太田様 |
 |
|
11/10 |
| 郷ノ浦 |
壱岐 |
|
アジ47cm、クロ42cmイサキも良型です! |
夜釣 |
古川様 |
 |
|
11/10 |
| 郷ノ浦 |
壱岐 |
|
真鯛90cmです!お見事です! |
夜釣 |
吉峰様 |
 |
|
11/10 |
| 郷ノ浦 |
壱岐 |
|
イサキにクロです!下に良型のクロがいます! |
夜釣 |
御厨様 |
 |
|
11/9 |
| 郷ノ浦 |
壱岐 |
|
クロにアラカブ、キジハタです! |
夜釣 |
柴垣様 |
 |
|
11/9 |
| 郷ノ浦 |
壱岐 |
|
イサキ!大型も交ざっていますよ!好釣果! |
夜釣 |
徳永様 |
 |
|
11/6 |
| 郷ノ浦 |
壱岐 |
|
アジ大型最大47cmです!イサキ、クロもいます |
夜釣 |
山本・大庭様 |
 |
|
11/5 |
| 郷ノ浦 |
壱岐 |
|
イサキに青物4kgのおまけ付きです! |
夜釣 |
友岡様 |
 |
 |
11/4 |
| 郷ノ浦 |
壱岐 |
|
イシガキにイサキです! |
夜釣 |
友岡様 |
 |
|
11/4 |
| 郷ノ浦 |
壱岐 |
|
ヒラマサに平スズキです!ヒラス良い型してます |
夜釣 |
豊田様 |
 |
|
11/4 |
| 郷ノ浦 |
壱岐 |
|
デカアジにイサキです! |
日帰 |
大石様 |
 |
|
11/4 |
| 郷ノ浦 |
壱岐 |
|
口太クロ50cmです!イサキも釣れてクーラー満タンの釣果です! |
夜釣 |
下川様 |
 |
 |
11/3 |
| 郷ノ浦 |
壱岐 |
|
好釣果、色々釣れてます!大漁です! |
夜釣 |
岩崎グループ様 |
 |
 |
11/3 |
| 郷ノ浦 |
壱岐 |
|
クーラー満タンの釣果です!良い感じです! |
夜釣 |
坂本様 |
 |
 |
11/3 |
| 郷ノ浦 |
壱岐 |
|
イサキ、特大サイズです! |
夜釣 |
大河内様 |
 |
|
11/3 |
| 郷ノ浦 |
壱岐 |
|
青物、釣れてますよ! |
夜釣 |
井上様 |
 |
|
11/3 |
| 郷ノ浦 |
壱岐 |
|
イサキにアジ!好釣果! |
夜釣 |
吉里様 |
 |
|
11/3 |
| 郷ノ浦 |
壱岐 |
|
青物です!サラシがなくても釣れてますよ! |
日帰 |
上村グループ様 |
 |
|
11/2 |
| 郷ノ浦 |
壱岐 |
|
クロの数釣です!最大36cm、ハトの釣果です |
日帰 |
寒川様 |
 |
|
11/2 |
| 郷ノ浦 |
壱岐 |
|
大型のイサキに大アジ、クーラーいっぱいの爆釣です! 凪ば釣果も上がってきますよ! |
夜釣 |
鈴木グループ様 |
 |
|
11/1 |
| 郷ノ浦 |
壱岐 |
|
イサキ、大漁です‼好釣果ですね! |
夜釣 |
右田グループ様 |
 |
|
11/1 |
| 郷ノ浦 |
壱岐 |
|
クロ42cm、40cm2匹にアジ46cmです!クロも今から良くなっていきますよ! |
夜釣 |
井上様 |
 |
 |
11/1 |
| 郷ノ浦 |
壱岐 |
|
大アジにイサキです!アジは40~45cmの大型です、クーラーいっぱいの好釣果です! |
夜釣 |
岡田様 |
 |
|
10/29 |
| 郷ノ浦 |
壱岐 |
|
イサキにクロ、アジ!好釣果です! |
夜釣 |
上野グループ様 |
 |
|
10/28 |
| 郷ノ浦 |
壱岐 |
|
ヒラマサ85cm!ルアーも今からますます良くなってきますよ! |
日帰 |
石田様 |
 |
|
10/28 |
| 郷ノ浦 |
壱岐 |
|
クロにイサキです! |
日帰 |
大曲様 |
 |
|
10/28 |
| 郷ノ浦 |
壱岐 |
|
クロにイサキです! |
日帰 |
宮坂様 |
 |
|
10/28 |
| 郷ノ浦 |
壱岐 |
|
良型のイサキ大漁です!流石です! |
夜釣 |
大河内様 |
 |
|
10/27 |
| 郷ノ浦 |
壱岐 |
|
イサキ、好釣果です!まだイサキも釣れてますよ! |
夜釣 |
西村グループ様 |
 |
 |
10/22 |
| 郷ノ浦 |
壱岐 |
|
イサキにキジハタ、アジ、クーラーいっぱいです!アジも良型が交じってますよ! |
夜釣 |
野上様 |
 |
|
10/21 |
| 郷ノ浦 |
壱岐 |
|
イシガキです! |
夜釣 |
前川様 |
 |
 |
10/19 |
| 郷ノ浦 |
壱岐 |
|
良型のイサキにクロ、型もまずまずです!大漁です! |
日帰 |
寒川様 |
 |
|
10/19 |
| 郷ノ浦 |
壱岐 |
|
尾長クロ40オーバーです!アカハタに平アジ! |
夜釣 |
井上様 |
 |
|
10/17 |
| 郷ノ浦 |
壱岐 |
|
良型イサキに良型のクロも釣れてます!大時化の中お疲れ様でした! |
夜釣 |
樋口様 |
 |
|
10/15 |
| 郷ノ浦 |
壱岐 |
|
イサキにアコウ、アラカブです!大漁でした! |
夜釣 |
柴垣様 |
 |
|
10/9 |
| 郷ノ浦 |
壱岐 |
|
良型イサキです!朝の短時間での釣果です! |
日帰 |
古川様 |
 |
|
10/6 |
| 郷ノ浦 |
壱岐 |
|
クロ、数釣れてます! |
日帰 |
石田グループ様 |
 |
|
9/30 |
| 郷ノ浦 |
壱岐 |
|
大型のイサキですよ!クロも釣れてます! |
夜釣 |
立石様 |
 |
|
9/29 |
| 郷ノ浦 |
壱岐 |
|
イサキに良型のアジです! |
夜釣 |
古川様 |
 |
|
9/29 |
| 郷ノ浦 |
壱岐 |
|
良型のガキが良く釣れてます!お見事! |
夜釣 |
稲田・馬込様 |
 |
 |
9/27 |
| 郷ノ浦 |
壱岐 |
|
イサキ、クロ、タイ、チヌ大漁です! |
夜釣 |
近藤グループ様 |
 |
 |
9/26 |
| 郷ノ浦 |
壱岐 |
|
イサキです、好釣果! |
夜釣 |
徳永様 |
 |
|
9/25 |
| 郷ノ浦 |
壱岐 |
|
クロ、数釣れてます! |
日帰 |
寒川様 |
 |
|
9/20 |
| 郷ノ浦 |
壱岐 |
|
大型イサキ!まだまだ釣れますよ! |
夜釣 |
古川様 |
|
|
9/15 |
| 郷ノ浦 |
壱岐 |
|
大型イサキです!良く釣れてましたよ! |
夜釣 |
有吉様 |
 |
 |
9/15 |
| 郷ノ浦 |
壱岐 |
|
イサキ大型でした! クロもボチボチの型です! |
日帰 |
大曲様 |
 |
|
9/15 |
| 郷ノ浦 |
壱岐 |
|
イサキにクロで好釣果です! |
日帰 |
長嶋様 |
 |
|
9/15 |
| 郷ノ浦 |
壱岐 |
|
イサキ数来てますね!クロもいます! |
日帰 |
寒川様 |
 |
|
9/15 |
| 郷ノ浦 |
壱岐 |
|
アラにイサキです! |
夜釣 |
吉峰様 |
 |
|
9/15 |
| 郷ノ浦 |
壱岐 |
|
イサキです!好釣果ですね! |
夜釣 |
吉福様 |
 |
|
9/14 |
| 郷ノ浦 |
壱岐 |
|
アラ3本に良型のイシガキです! |
夜釣 |
川本様 |
 |
|
9/14 |
| 郷ノ浦 |
壱岐 |
|
イサキにチヌです!好釣果! |
夜釣 |
樋口・因様 |
 |
|
9/10 |
| 郷ノ浦 |
壱岐 |
|
イサキです、クーラーいっぱいですよ!ヒラゴも釣れてましたよ!大漁です! |
夜釣 |
西村様 |
 |
|
9/6 |
| 郷ノ浦 |
壱岐 |
|
イサキにアラカブ、下の方はイサキばかりです! 数釣れてました、好釣果です! |
夜釣 |
川口様 |
 |
|
9/5 |
| 郷ノ浦 |
壱岐 |
|
イサキにクロです! |
夜釣 |
清澤様 |
 |
|
9/5 |
| 郷ノ浦 |
壱岐 |
|
雨ばかりですけど魚はいますよ~イサキです! |
夜釣 |
古川様 |
 |
|
9/1 |
| 郷ノ浦 |
壱岐 |
|
大型クロ43cm、1.2kg良い型のクロが結構釣れてましたよ!! イサキにチヌも良型です! |
夜釣 |
大河内様 |
 |
|
8/25 |
| 郷ノ浦 |
壱岐 |
|
アラにクロです! |
日帰 |
長嶋様 |
 |
|
8/25 |
| 郷ノ浦 |
壱岐 |
|
平スズキにヒラス、大型イサキです!朝のみの釣行で安定の釣果!流石です! |
日帰 |
中野様 |
 |
|
8/23 |
| 郷ノ浦 |
壱岐 |
|
大型のイサキです!好釣果! |
夜釣 |
西村グループ様 |
 |
|
8/22 |
| 郷ノ浦 |
壱岐 |
|
良型の真鯛です!お見事です! |
日帰 |
伊豆丸様 |
|
|
8/21 |
| 郷ノ浦 |
壱岐 |
|
大型イサキです!海もやっと凪いで来ましたよ、イサキも以前好調です! |
夜釣 |
古川様 |
|
|
8/18 |
| 郷ノ浦 |
壱岐 |
|
アラに真鯛です!お見事です! |
夜釣 |
久保様 |
 |
 |
8/13 |
| 郷ノ浦 |
壱岐 |
|
真鯛にイサキ共に良型です!好釣果! |
夜釣 |
川原様 |
 |
|
8/13 |
| 郷ノ浦 |
壱岐 |
|
イサキにクロ、真鯛です! |
夜釣 |
中尾様 |
 |
|
8/13 |
| 郷ノ浦 |
壱岐 |
|
アラに底物です!お疲れ様でした! |
夜釣 |
小田グループ様 |
 |
|
8/12 |
| 郷ノ浦 |
壱岐 |
|
イサキ好調ですよ!夜中の釣果です! |
夜釣 |
西村様 |
 |
|
8/9 |
| 郷ノ浦 |
壱岐 |
|
イサキ、数つれてました! |
夜釣 |
関・田中様 |
 |
|
8/5 |
| 郷ノ浦 |
壱岐 |
|
83cmの 大鯛です!ハトでもこのサイズが結構釣れます!お見事です! |
夜釣 |
判田様 |
 |
|
8/4 |
| 郷ノ浦 |
壱岐 |
|
石 ガキです、イサキも良く釣れてましたよ! |
夜釣 |
川久保様 |
 |
|
8/4 |
| 郷ノ浦 |
壱岐 |
|
イサキ好調ですよ!なかなかの型です! |
夜釣 |
古川様 |
 |
|
8/4 |
| 郷ノ浦 |
壱岐 |
|
ヒラス80cmです! |
日帰 |
平田様 |
 |
|
8/4 |
| 郷ノ浦 |
壱岐 |
|
大型イサキ!まだまだ好調ですよ! |
夜釣 |
古賀様 |
 |
|
7/31 |
| 郷ノ浦 |
壱岐 |
|
大型のイサキ爆釣です!流石です! |
夜釣 |
一ノ瀬・河合様 |
 |
|
7/28 |
| 郷ノ浦 |
壱岐 |
|
大型クロ、イサキ、子アラです!好釣果! |
夜釣 |
大河内様 |
 |
|
7/28 |
| 郷ノ浦 |
壱岐 |
|
良型真鯛にイサキです! |
夜釣 |
河村様 |
 |
|
7/28 |
| 郷ノ浦 |
壱岐 |
|
ルアーフィッシングでもイサキ釣れてます! |
日帰 |
浜尾・大川様 |
 |
|
7/25 |
| 郷ノ浦 |
壱岐 |
|
イサキ釣れてますよ!好釣果! |
夜釣 |
松崎・下田様 |
 |
|
7/24 |
| 郷ノ浦 |
壱岐 |
|
真鯛にイサキです、中学生も良型釣ってます! |
日帰 |
藤井・大和様 |
 |
 |
7/23 |
| 郷ノ浦 |
壱岐 |
|
大型イサキ、大爆釣です!朝の短時間だけでクーラー満タン、好調ですよ! |
日帰 |
大川様 |
 |
|
7/22 |
| 郷ノ浦 |
壱岐 |
|
アラです!良く釣れてますねー、流石です! |
夜釣 |
亀田様 |
 |
 |
7/15 |
| 郷ノ浦 |
壱岐 |
|
石鯛に石ガキです! お見事! |
夜釣 |
片原様 |
|
|
7/15 |
| 郷ノ浦 |
壱岐 |
|
40cm尾長にイサキです!好釣果! |
夜釣 |
平田様 |
 |
 |
7/15 |
| 郷ノ浦 |
壱岐 |
|
大型イサキ釣れてますねー!クロも良型です! |
夜釣 |
長野様 |
 |
|
7/15 |
| 郷ノ浦 |
壱岐 |
|
日中の釣果です、良型イサキ釣れてます! |
日帰 |
中田様 |
 |
|
7/15 |
| 郷ノ浦 |
壱岐 |
|
大型の真鯛です、イサキにクロも釣れてます! |
夜釣 |
東様 |
 |
 |
7/13 |
| 郷ノ浦 |
壱岐 |
|
尾長40オーバーに大型イサキです! |
夜釣 |
橋本様 |
 |
|
7/13 |
| 郷ノ浦 |
壱岐 |
|
大型イサキにヒラゴです!ルアーでの釣果です!イサキ釣れてますよ! |
日帰 |
前川様 |
 |
|
7/12 |
| 郷ノ浦 |
壱岐 |
|
大型イサキ爆釣です!平スズキもいます! |
日帰 |
中野様 |
 |
|
7/11 |
| 郷ノ浦 |
壱岐 |
|
良型真鯛です!別の場所ではイサキも良く釣れてましたよ、好調です! |
夜釣 |
辻様 |
 |
|
7/7 |
| 郷ノ浦 |
壱岐 |
|
アラも釣れてます!お見事です! |
夜釣 |
成吉様 |
 |
|
7/7 |
| 郷ノ浦 |
壱岐 |
|
イサキ大漁です!お見事! |
夜釣 |
樋口グループ様 |
 |
 |
7/6 |
| 郷ノ浦 |
壱岐 |
|
大型イサキ最大43cm!良い型ばかりです、数も良くなって来てますよ! |
夜釣 |
右田グループ様 |
 |
|
7/5 |
| 郷ノ浦 |
壱岐 |
|
大型イサキにクロです!短時間での好釣果! |
日帰 |
近藤・田中様 |
 |
|
6/29 |
| 郷ノ浦 |
壱岐 |
|
ハトの大イサキです!鯛、クロ、アジもいます! |
夜釣 |
大西・山田様 |
 |
|
6/29 |
| 郷ノ浦 |
壱岐 |
|
良型イサキにクロです!好釣果! |
夜釣 |
藤木・徳永様 |
 |
|
6/25 |
| 郷ノ浦 |
壱岐 |
|
ハトでも良型イサキが釣れてますよ! |
夜釣 |
定松様 |
 |
|
6/25 |
| 郷ノ浦 |
壱岐 |
|
大型イサキが良く釣れてます!お見事! |
夜釣 |
坂本様 |
 |
 |
6/23 |
| 郷ノ浦 |
壱岐 |
|
イサキに真鯛、クロ、根魚です! |
夜釣 |
川畑様 |
 |
|
6/23 |
| 郷ノ浦 |
壱岐 |
|
アジにクロです!数釣れてますねー! |
夜釣 |
大河内様 |
 |
|
6/23 |
| 郷ノ浦 |
壱岐 |
|
クロにイサキ、チヌです! |
夜釣 |
首藤・前田様 |
|
|
6/22 |
| 郷ノ浦 |
壱岐 |
|
イサキ釣れてます!40cmクラスも数匹いますよ、好釣果です! |
夜釣 |
長野様 |
|
|
6/17 |
| 郷ノ浦 |
壱岐 |
|
クロ、最大48cm にイサキも釣れてます!クロ、イサキ共にだんだんと良くなって来てますよ! |
夜釣 |
梶原・大石グループ様 |
 |
 |
6/16 |
| 郷ノ浦 |
壱岐 |
|
イシダイ、真鯛、イサキ、クロ好釣果! |
日帰 |
寒川様 |
 |
|
6/15 |
| 郷ノ浦 |
壱岐 |
|
良型のイサキです!好釣果! |
夜釣 |
西村・徳永様 |
|
|
6/10 |
| 郷ノ浦 |
壱岐 |
|
大型クロが釣れてます、47cm、1.8kg! |
夜釣 |
山本様 |
 |
|
6/10 |
| 郷ノ浦 |
壱岐 |
|
特大サイズのイサキです!クロも釣れてます! |
夜釣 |
松隈様 |
|
|
6/2 |
| 郷ノ浦 |
壱岐 |
|
真鯛にクロの数釣です! |
日帰 |
寒川様 |
 |
|
6/1 |
| 郷ノ浦 |
壱岐 |
|
大型クロ45cm、イサキ43cm!お見事! |
夜釣 |
大河内様 |
 |
 |
5/26 |
| 郷ノ浦 |
壱岐 |
|
好釣果です!クロ、チヌ、サンバソウ! |
夜釣 |
伊藤・右田様 |
 |
 |
5/26 |
| 郷ノ浦 |
壱岐 |
|
良型のアジが釣れてます、クロ、イサキ! |
夜釣 |
百田様 |
 |
|
5/26 |
| 郷ノ浦 |
壱岐 |
|
真鯛71cm、クロ45cm、大型です!イサキも釣れてます、良くなってきてますよ! |
日帰 |
吉福様 |
 |
|
5/25 |
| 郷ノ浦 |
壱岐 |
|
真鯛にイサキ、クロです! |
日帰 |
寒川様 |
 |
|
5/18 |
| 郷ノ浦 |
壱岐 |
|
大型真鯛にチヌも釣れてました! |
日帰 |
大曲様 |
 |
 |
5/12 |
| 郷ノ浦 |
壱岐 |
|
イサキに良型の尾長40cmです! |
夜釣 |
坂本様 |
 |
|
5/12 |
| 郷ノ浦 |
壱岐 |
|
良型真鯛にイサキ、流石です! |
日帰 |
宮原様 |
 |
 |
5/8 |
| 郷ノ浦 |
壱岐 |
|
イシダイが釣れてます!クロも40cm の尾長です!お見事です! |
夜釣 |
松隈様 |
 |
 |
5/5 |
| 郷ノ浦 |
壱岐 |
|
チヌ、52cm、2.4kgにクロ、良いサイズです! |
日帰 |
篠崎様 |
 |
|
5/3 |
| 郷ノ浦 |
壱岐 |
|
良型のイシダイに真鯛です!お見事! |
夜釣 |
武田様 |
 |
 |
5/2 |
| 郷ノ浦 |
壱岐 |
|
真鯛にアラカブ、良いサイズが釣れてます! |
夜釣 |
三島様 |
 |
 |
5/2 |
| 郷ノ浦 |
壱岐 |
|
大型チヌに真鯛です! |
日帰 |
中尾様 |
 |
|
5/2 |
| 郷ノ浦 |
壱岐 |
|
サンバソウが数釣れてますね! |
夜釣 |
芝様 |
 |
|
5/1 |
| 郷ノ浦 |
壱岐 |
|
クロにチヌです!クロも良いサイズです! |
夜釣 |
広田様 |
 |
|
4/28 |
| 郷ノ浦 |
壱岐 |
|
40オーバークロに50オーバーのチヌも釣れてます!皆さんまずまずの釣果でした! |
夜釣 |
つりひこ様 |
 |
 |
4/28 |
| 郷ノ浦 |
壱岐 |
|
良型イサキにクロ、チヌです!好釣果! |
夜釣 |
古川様 |
 |
|
4/27 |
| 郷ノ浦 |
壱岐 |
|
大型の平スズキです!アタリも結構あったみたいですよ、サラシが有れば期待出来ますよ! |
日帰 |
大川様 |
 |
 |
4/26 |
| 郷ノ浦 |
壱岐 |
|
チヌに平スズキ、ヒラゴ、カンダイ!チヌ釣れてますよ!連休も釣れそうですね⁉ |
夜釣 |
岡崎グループ様 |
 |
|
4/22 |
| 郷ノ浦 |
壱岐 |
|
チヌにアジです!好釣果! |
夜釣 |
相原様 |
 |
|
4/22 |
| 郷ノ浦 |
壱岐 |
|
チヌにイサキ、良型のアジも釣れてます! |
夜釣 |
田中グループ様 |
 |
 |
4/21 |
| 郷ノ浦 |
壱岐 |
|
良型の真鯛にイサキ、サンバソウです! |
日帰 |
寒川様 |
 |
|
4/21 |
| 郷ノ浦 |
壱岐 |
|
チヌにイサキ、アラカブも釣れてます! |
夜釣 |
古田様 |
 |
|
4/21 |
| 郷ノ浦 |
壱岐 |
|
チヌにカンダイ、イサキも釣れてます! |
日帰 |
平嶋様 |
 |
|
4/19 |
| 郷ノ浦 |
壱岐 |
|
良型のイサキにクロです! |
日帰 |
増田様 |
 |
|
4/19 |
| 郷ノ浦 |
壱岐 |
|
良型の真鯛にチヌです! |
夜釣 |
樋口様 |
 |
 |
4/16 |
| 郷ノ浦 |
壱岐 |
|
大型チヌ50cmクラスです!イサキも良型です、いつもながら良く釣ってます、お見事! |
夜釣 |
一ノ瀬様 |
 |
|
4/14 |
| 郷ノ浦 |
壱岐 |
|
クロ42cmにチヌ、メバル好釣果です! |
夜釣 |
大河内・川畑様 |
 |
|
4/14 |
| 郷ノ浦 |
壱岐 |
|
真鯛にイサキ、チヌです!好釣果! |
夜釣 |
御厨様 |
|
|
4/14 |
| 郷ノ浦 |
壱岐 |
|
チヌ、イサキ、クロです!大時化の中お疲れ様でした、好釣果です! |
夜釣 |
栄開グループ様 |
 |
 |
4/10 |
| 郷ノ浦 |
壱岐 |
|
デカ真鯛79cmです!平スズキにイサキ、チヌ、クロが釣れてます!好釣果です! |
夜釣 |
龍頭・川浪様 |
 |
|
4/8 |
| 郷ノ浦 |
壱岐 |
|
特大サイズの真鯛です!チヌも大型が釣れてましたよ!お見事です! |
夜釣 |
三原様 |
|
|
4/7 |
| 郷ノ浦 |
壱岐 |
|
良型真鯛にチヌです!綺麗なサクラ鯛です! |
夜釣 |
御厨様 |
 |
 |
4/4 |
| 郷ノ浦 |
壱岐 |
|
チヌにクロです! |
日帰 |
結城様 |
 |
|
4/3 |
| 郷ノ浦 |
壱岐 |
|
チヌにイサキ、クロです! |
日帰 |
清川様 |
 |
 |
4/2 |
| 郷ノ浦 |
壱岐 |
|
良型チヌです、今から良くなってきますよ!アジも良いサイズが釣れてます! |
夜釣 |
首藤・前田様 |
 |
|
3/31 |
| 郷ノ浦 |
壱岐 |
|
クロです!大型もいますよ、数も釣れてます! |
夜釣 |
籐様 |
 |
|
3/29 |
| 郷ノ浦 |
壱岐 |
|
平スズキ、釣れてますよ!バラシも結構あったそうですよ! |
日帰 |
高山・山下・田篭様 |
 |
|
3/28 |
| 郷ノ浦 |
壱岐 |
|
クロ40cm,1.1kgにメイタです! |
日帰 |
結城様 |
 |
|
3/24 |
| 郷ノ浦 |
壱岐 |
|
アラです!62cm、3.5kg、お見事! |
日帰 |
小田様 |
 |
|
3/23 |
| 郷ノ浦 |
壱岐 |
|
クロ43cmに真鯛です! |
日帰 |
福田様 |
 |
|
3/23 |
| 郷ノ浦 |
壱岐 |
|
ハトのサンバソウです、42cm良いサイズです! |
日帰 |
寒川様 |
 |
|
3/22 |
| 郷ノ浦 |
壱岐 |
|
ヒラマサ83cmです!凪の中お見事です! |
日帰 |
上村グループ様 |
 |
|
3/20 |
| 郷ノ浦 |
壱岐 |
|
デカ真鯛ですよ!86cm,7.1kg! |
夜釣 |
大庭様 |
 |
|
3/18 |
| 郷ノ浦 |
壱岐 |
|
時化の時はルアーですよ、良型のヒラスです! |
日帰 |
児玉・松田・上杉様 |
 |
 |
3/16 |
| 郷ノ浦 |
壱岐 |
|
ブリです!魚が曲がって小さく見えますが良型です!平スズキも良い時期ですよ! |
日帰 |
平野様 |
 |
|
3/14 |
| 郷ノ浦 |
壱岐 |
|
大型クロ49cm,1.9kg!まだまだクロもいけますよ! |
日帰 |
結城様 |
 |
|
3/14 |
| 郷ノ浦 |
壱岐 |
|
大型クロ46cm,1.6kgに43cmです!デカアジも数匹ですけど釣れてます!好調です! |
夜釣 |
稲田様 |
 |
 |
3/9 |
| 郷ノ浦 |
壱岐 |
|
真鯛64cm、3.2kgを頭に良型真鯛に、大型のイサキで大漁です!流石ですね~! |
日帰 |
宮原様 |
 |
|
3/8 |
| 郷ノ浦 |
壱岐 |
|
クロ良型です、40cm!まずまずの釣果です! |
日帰 |
ジョン様 |
 |
 |
3/8 |
| 郷ノ浦 |
壱岐 |
|
大型クロ47cm、良型もいますよ!チヌも釣れだしましたよ! |
日帰 |
山口様 |
 |
|
3/6 |
| 郷ノ浦 |
壱岐 |
|
クロ40cmクラスです!ボチボチですね! |
日帰 |
松本様 |
 |
|
3/3 |
| 郷ノ浦 |
壱岐 |
|
良型のシマアジです! |
夜釣 |
大河内様 |
 |
|
3/3 |
| 郷ノ浦 |
壱岐 |
|
大型クロ46、45、40cmよく釣れてます! |
日帰 |
長嶋様 |
 |
|
3/2 |
| 郷ノ浦 |
壱岐 |
|
クロの数釣です!40弱も結構いますよ! |
日帰 |
松隈様 |
 |
|
3/2 |
| 郷ノ浦 |
壱岐 |
|
クロ1kgを頭にクロ、チヌが釣れてます! |
日帰 |
福田様 |
 |
|
3/2 |
| 郷ノ浦 |
壱岐 |
|
クロにイサキ、真鯛です! |
夜釣 |
吉開様 |
 |
|
3/2 |
| 郷ノ浦 |
壱岐 |
|
大型クロ48cmにイサキです!良いサイズばかりです! |
日帰 |
吉福様 |
 |
|
3/1 |
| 郷ノ浦 |
壱岐 |
|
クロ42cmを頭に好釣果! |
日帰 |
斎藤様 |
 |
|
3/1 |
| 郷ノ浦 |
壱岐 |
|
大型クロ40cm後半あります。数もよく釣れてクーラーいっぱです! |
日帰 |
宮坂様 |
 |
|
3/1 |
| 郷ノ浦 |
壱岐 |
|
良型真鯛に40オーバークロ2枚です! |
日帰 |
結城様 |
 |
|
2/28 |
| 郷ノ浦 |
壱岐 |
|
良型のクロです、 お疲れ様でした! |
日帰 |
金様 |
 |
|
2/28 |
| 郷ノ浦 |
壱岐 |
|
釣れてます!!クロ46cmを頭に大漁です!好釣果! |
日帰 |
籐様 |
 |
 |
2/26 |
| 郷ノ浦 |
壱岐 |
|
大型40cmクラスのクロです! |
日帰 |
篠崎様 |
 |
|
2/26 |
| 郷ノ浦 |
壱岐 |
|
良型のアジ、37cmです!クロも釣れてます! |
夜釣 |
河村様 |
 |
|
2/26 |
| 郷ノ浦 |
壱岐 |
|
大型真鯛にイシダイ、ヒラマサです!真鯛が良く釣れてますね!好釣果です! |
日帰 |
田中・原井様 |
 |
 |
2/25 |
| 郷ノ浦 |
壱岐 |
|
大型クロ47cmです!アジは30cmまででした! |
日帰 |
山本様 |
 |
|
2/25 |
| 郷ノ浦 |
壱岐 |
|
大型クロ46cm、1.5kgです!お見事! |
日帰 |
松本様 |
 |
|
2/25 |
| 郷ノ浦 |
壱岐 |
|
真鯛にイサキ、クロです! |
日帰 |
お客様 |
 |
 |
2/25 |
| 郷ノ浦 |
壱岐 |
|
大型真鯛77cm、クロ41cm、41cm、40cm!イサキも釣れてます! |
日帰 |
中田・石井・市山様 |
 |
 |
2/24 |
| 郷ノ浦 |
壱岐 |
|
大型真鯛に大型クロ49cm、イサキも41cmです!クロの40クラスも数枚いましたよ! |
夜釣 |
御厨様 |
 |
 |
2/23 |
| 郷ノ浦 |
壱岐 |
|
クロ、45cm、1.6kg!イサキも40cmありますよ!好釣果です! |
日帰 |
宮原様 |
 |
 |
2/21 |
| 郷ノ浦 |
壱岐 |
|
クロです、43cmまでで数も釣れてますよ! |
日帰 |
宮坂様 |
 |
|
2/21 |
| 郷ノ浦 |
壱岐 |
|
真鯛に大型クロです、ヒラマサも釣れてます! |
日帰 |
結城様 |
 |
|
2/20 |
| 郷ノ浦 |
壱岐 |
|
大型クロです、47cm、1.6kg! |
日帰 |
白石様 |
 |
|
2/20 |
| 郷ノ浦 |
壱岐 |
|
良型クロ、数もまずまず釣れてますよ! |
日帰 |
江藤様 |
 |
|
2/18 |
| 郷ノ浦 |
壱岐 |
|
良型の真鯛です!良い釣果でてますよ! |
日帰 |
福田様 |
 |
|
2/17 |
| 郷ノ浦 |
壱岐 |
|
クロ45cmに40cmです! |
夜釣 |
大石様 |
 |
|
2/17 |
| 郷ノ浦 |
壱岐 |
|
大型クロです!流石、釣ってますね! |
日帰 |
竹松様 |
 |
|
2/16 |
| 郷ノ浦 |
壱岐 |
|
真鯛にチヌです! |
日帰 |
団体様 |
 |
|
2/16 |
| 郷ノ浦 |
壱岐 |
|
クロ40オーバー多数です!時化のため朝だけの釣行でこの釣果です! |
日帰 |
柳原様 |
 |
|
2/15 |
| 郷ノ浦 |
壱岐 |
|
山口さんも大型クロ沢山釣ってまずよ!好釣果です、クロもまた上がり調子ですよ! |
日帰 |
山口様 |
 |
|
2/15 |
| 郷ノ浦 |
壱岐 |
|
大型クロ40オーバー3匹にイサキです! |
日帰 |
結城様 |
 |
|
2/13 |
| 郷ノ浦 |
壱岐 |
|
大型の真鯛です! 田中先生すいません写真が撮れてませんでした |
夜釣 |
田中様 |
|
|
2/12 |
| 郷ノ浦 |
壱岐 |
|
大型クロ!40オーバー多数いますよ!好釣果です! |
夜釣 |
吉開様 |
 |
|
2/10 |
| 郷ノ浦 |
壱岐 |
|
大型のアジです!45cmまででクーラーいっぱいの好釣果です! |
日帰 |
滝岡グループ様 |
 |
|
2/10 |
| 郷ノ浦 |
壱岐 |
|
大型クロ45cm,1.6kgです!丸々した口太です! |
日帰 |
長嶋様 |
 |
|
2/10 |
| 郷ノ浦 |
壱岐 |
|
大型クロ47cm、1.7kg!お見事! |
日帰 |
木本様 |
 |
|
2/9 |
| 郷ノ浦 |
壱岐 |
|
良型の真鯛にクロです! |
日帰 |
増田様 |
 |
|
2/9 |
| 郷ノ浦 |
壱岐 |
|
良型のクロです! |
夜釣 |
御厨様 |
 |
|
2/5 |
| 郷ノ浦 |
壱岐 |
|
良型のヒラマサです!5kgお見事! |
日帰 |
竹松様 |
 |
|
2/2 |
| 郷ノ浦 |
壱岐 |
|
真鯛にイサキ、クロ40cmです! |
日帰 |
中田・石井様 |
 |
|
2/2 |
| 郷ノ浦 |
壱岐 |
|
大型クロ45cmに40オーバー数枚釣れてます! |
夜釣 |
山本様 |
 |
 |
1/30 |
| 郷ノ浦 |
壱岐 |
|
大型クロ44cmに40cm!時化の中でも釣れてますよ! |
日帰 |
白川様 |
 |
|
1/27 |
| 郷ノ浦 |
壱岐 |
|
大型の尾長です!好釣果です! |
夜釣 |
吉開様 |
 |
 |
1/26 |
| 郷ノ浦 |
壱岐 |
|
大型クロです!最大46cmで40オーバーが沢山いますよ!流石です! |
日帰 |
結城様 |
 |
 |
1/24 |
| 郷ノ浦 |
壱岐 |
|
良型の真鯛にクロ43cm、イサキも大型です! |
日帰 |
宮原様 |
 |
|
1/24 |
| 郷ノ浦 |
壱岐 |
|
良型の真鯛です! |
日帰 |
杉原様 |
 |
|
1/22 |
| 郷ノ浦 |
壱岐 |
|
真鯛にヒラゴ、クロ40cmです!真鯛も良くなって来ましたよ! |
日帰 |
鋸崎・長岡様 |
 |
|
1/20 |
| 郷ノ浦 |
壱岐 |
|
大型クロ45cm!大型で数も釣れてますよ!朝マズメが特に良かったみたいです! |
夜釣 |
井上様 |
 |
 |
1/19 |
| 郷ノ浦 |
壱岐 |
|
時化の中、真鯛と青物、クロを仕留めてます! |
夜釣 |
日下部・白田様 |
 |
|
1/16 |
| 郷ノ浦 |
壱岐 |
|
大型のキジハタです、50cm、2kg! |
日帰 |
平田様 |
 |
|
1/15 |
| 郷ノ浦 |
壱岐 |
|
良型のサンバソウにクロ、数釣れてます! |
日帰 |
勝又様 |
 |
|
1/14 |
| 郷ノ浦 |
壱岐 |
|
大型クロ最大48cm!大型が数匹いますよ! |
日帰 |
首藤・長嶋様 |
 |
|
1/13 |
| 郷ノ浦 |
壱岐 |
|
良型クロバッカンいっぱいです! |
日帰 |
村部様 |
 |
|
1/13 |
| 郷ノ浦 |
壱岐 |
|
アラです!お見事! |
夜釣 |
石田様 |
 |
|
1/13 |
| 郷ノ浦 |
壱岐 |
|
良型真鯛が釣れます!クロも大型いますよ! |
夜釣 |
古川グループ様 |
 |
 |
1/12 |
| |
|
|
皆さんまずまずの釣果でした! |
|
|
 |
|
|
| 郷ノ浦 |
壱岐 |
|
クロの数釣りです! |
日帰 |
寒川様 |
 |
|
1/12 |
| 郷ノ浦 |
壱岐 |
|
良型のクロです! |
日帰 |
結城様 |
 |
|
1/10 |
| 郷ノ浦 |
壱岐 |
|
クロ45cmに真鯛、イサキです!好釣果です! |
夜釣 |
釘本・籐様 |
 |
 |
1/8 |
| 郷ノ浦 |
壱岐 |
|
良型真鯛にヒラゴ、イサキ、クロです! |
日帰 |
宮原様 |
 |
|
1/7 |
| 郷ノ浦 |
壱岐 |
|
良型のクロです! |
日帰 |
竹松様 |
 |
|
1/6 |
| 郷ノ浦 |
壱岐 |
|
クロ45cm.1.5kgにヤズです! |
夜釣 |
水本様 |
 |
|
1/5 |
| 郷ノ浦 |
壱岐 |
|
クロ、最大44cm大型も数いますよ!好釣果です! |
日帰 |
山本様 |
 |
|
1/4 |
| 郷ノ浦 |
壱岐 |
|
デカアジです、48cmありますよ!クロもいいサイズが釣れてました! |
夜釣 |
御厨様 |
 |
|
1/4 |
| 郷ノ浦 |
壱岐 |
|
大型アジです!40オーバー!数もでてますよ! |
夜釣 |
和田様 |
 |
|
1/4 |
| 郷ノ浦 |
壱岐 |
|
こちらも大型です!アジの回遊来てますね! |
夜釣 |
薦野様 |
 |
|
1/4 |
| 郷ノ浦 |
壱岐 |
|
良型のクロです! |
日帰 |
結城様 |
|
|
1/3 |
| 郷ノ浦 |
壱岐 |
|
青物が釣れてます! |
日帰 |
長岡様 |
 |
|
1/2 |
| 郷ノ浦 |
壱岐 |
|
チヌ、クロ、ヘダイです!好釣果! |
日帰 |
一ノ瀬様 |
 |
|
1/2 |
| 郷ノ浦 |
壱岐 |
|
クロ45cmに42cm、アジも大型釣れてました! |
夜釣 |
吉里・井上様 |
 |
 |
12/31 |
| 郷ノ浦 |
壱岐 |
|
大型クロ40オーバーに真鯛です! |
日帰 |
中尾様 |
 |
|
12/31 |
| 郷ノ浦 |
壱岐 |
|
寒川さん相変わらず良型釣ってます! |
日帰 |
寒川様 |
|
|
12/31 |
| 郷ノ浦 |
壱岐 |
|
青物爆釣です!流石にいい腕してます! |
日帰 |
中西グループ様 |
 |
 |
12/29 |
| 郷ノ浦 |
壱岐 |
|
寒ブリです、脂乗ってますよ!平スズキも大型74cmです、イサキも釣れてました! |
日帰 |
藤原グループ様 |
 |
 |
12/28 |
| 郷ノ浦 |
壱岐 |
|
クロ40cmに良型のキジハタです! |
夜釣 |
坂本様 |
 |
 |
12/27 |
| 郷ノ浦 |
壱岐 |
|
クロ、44cm,1.3kgです!昼間のクロも良くなってきてますよ! |
日帰 |
山口様 |
 |
|
12/26 |
| 郷ノ浦 |
壱岐 |
|
大型 イサキにヒラスです!昼間でマズメを釣らずに大漁のイサキ、デカいですよ!好釣果! |
日帰 |
宮原様 |
|
|
12/25 |
| 郷ノ浦 |
壱岐 |
|
良型のアラが出てます!10kgクラスですよ!皆さんも釣り納めで大型狙って釣りに行きましょう⁉ |
夜釣 |
笹井様 |
|
|
12/23 |
| 郷ノ浦 |
壱岐 |
|
良型クロです、40cmクラスの尾長です! |
夜釣 |
大石様 |
 |
|
12/23 |
| 郷ノ浦 |
壱岐 |
|
クロ、良型もいますよ!30cm~40cm |
日帰 |
結城・長岡様 |
 |
|
12/22 |
| 郷ノ浦 |
壱岐 |
|
クロの数釣です!25cm~35cm |
日帰 |
村部・鋸崎様 |
 |
|
12/22 |
| 郷ノ浦 |
壱岐 |
|
大型の尾長クロです!46cm、1.5kg! |
日帰 |
寒川様 |
|
|
12/15 |
| 郷ノ浦 |
壱岐 |
|
マグロが釣れてます!8kgお見事です! |
日帰 |
松田様 |
 |
|
12/10 |
| 郷ノ浦 |
壱岐 |
|
大型アジ40cmにイサキ、クロです! |
夜釣 |
山本・高野様 |
 |
 |
12/10 |
| 郷ノ浦 |
壱岐 |
|
大型のヒラマサです!97cmお見事! |
日帰 |
東野様 |
 |
|
12/9 |
| 郷ノ浦 |
壱岐 |
|
ヒラマサ98cmその他も大型ですよ!青物好調です! |
日帰 |
吉村・澤・大先様 |
 |
 |
12/7 |
| 郷ノ浦 |
壱岐 |
|
大型の平スズキにデカマサです、流石です!ルアーマン、今のうちがチャンスですよ! |
日帰 |
中西・入部様 |
 |
|
12/5 |
| 郷ノ浦 |
壱岐 |
|
サワラに真鯛です! |
日帰 |
平田様 |
 |
|
12/3 |
| 郷ノ浦 |
壱岐 |
|
イサキ、クロ、大漁です!良型ですよ! |
夜釣 |
河村様 |
 |
|
12/2 |
| 郷ノ浦 |
壱岐 |
|
クロ、40オーバー6匹に大アジ48cm好釣果! |
夜釣 |
真崎・田嶋様 |
 |
|
12/2 |
| 郷ノ浦 |
壱岐 |
|
クロ、イサキ、タイです! 良型もいますよ! |
夜釣 |
富永・林田様 |
 |
|
12/2 |
| 郷ノ浦 |
壱岐 |
|
イサキ、クロ、チヌです!良型もいますよ! |
夜釣 |
大河内様 |
 |
|
12/2 |
| 郷ノ浦 |
壱岐 |
|
以前、青物よく釣れてます! ナギの中での1匹です! |
日帰 |
福田様 |
 |
|
12/2 |
| 郷ノ浦 |
壱岐 |
|
スマガツオにクロ、イサキです! |
日帰 |
柳原・山口様 |
 |
|
12/2 |
| 郷ノ浦 |
壱岐 |
|
良型クロです!昼間、短時間での釣果です! |
日帰 |
大川・河野様 |
 |
|
11/29 |
| 郷ノ浦 |
壱岐 |
|
大型の口太グロです!45cmはありましたよ! |
夜釣 |
山田様 |
 |
|
11/28 |
| 郷ノ浦 |
壱岐 |
|
青物にクロです、好釣果! |
日帰 |
山口・柳原様 |
 |
|
11/27 |
| 郷ノ浦 |
壱岐 |
|
良型のクロ40cmクラスです!クロまだまだ良くなってきますよ! |
夜釣 |
吉開様 |
 |
|
11/25 |
| 郷ノ浦 |
壱岐 |
|
青物好調ですよ!まだまだ釣れます⁉ |
日帰 |
吉兼様 |
 |
|
11/25 |
| 郷ノ浦 |
壱岐 |
|
大型のクロです!昼間に釣れたそうです! |
夜釣 |
梶田様 |
 |
|
11/25 |
| 郷ノ浦 |
壱岐 |
|
良型ブリにクロ!お土産できてます! |
夜釣 |
川浪様 |
 |
|
11/25 |
| 郷ノ浦 |
壱岐 |
|
ファミリーフィッシングで良型クロを仕留めてます!お疲れ様でした! |
夜釣 |
坂口様 |
 |
|
11/25 |
| 郷ノ浦 |
壱岐 |
|
大型イサキに鯛、アラ、クロ、好釣果! |
夜釣 |
冷水様 |
 |
|
11/24 |
| 郷ノ浦 |
壱岐 |
|
ヒラス、良型です!お見事です! |
日帰 |
栗原様 |
 |
|
11/24 |
| 郷ノ浦 |
壱岐 |
|
青物が数釣れてますよ!バイトも沢山あったみたいです! |
日帰 |
志賀様 |
 |
|
11/24 |
| 郷ノ浦 |
壱岐 |
|
ヒラス釣れてますよ!青物好釣果です! |
日帰 |
古賀様 |
 |
|
11/23 |
| 郷ノ浦 |
壱岐 |
|
大型のヒラマサです!95cm‼お見事です! |
日帰 |
福田様 |
 |
|
11/18 |
| 郷ノ浦 |
壱岐 |
|
ヤズに良型クロ、スマガツオも釣れてますよ! |
日帰 |
長岡・山口様 |
 |
|
11/18 |
| 郷ノ浦 |
壱岐 |
|
良型クロ、クーラーいっぱいです! |
日帰 |
寒川様 |
 |
|
11/17 |
| 郷ノ浦 |
壱岐 |
|
大型アラが釣れてます!20kgオーバーデカいです!まだまだ居ますよ! |
夜釣 |
久保様 |
 |
 |
11/12 |
| 郷ノ浦 |
壱岐 |
|
大型のヒラマサです!92cm流石です! |
日帰 |
石田様 |
 |
|
11/12 |
| 郷ノ浦 |
壱岐 |
|
大型尾長に大アジ、大イサキです! |
夜釣 |
山本様 |
 |
|
11/12 |
| 郷ノ浦 |
壱岐 |
|
クロにイサキです!良い型してます! |
夜釣 |
林田グループ様 |
 |
 |
11/11 |
| 郷ノ浦 |
壱岐 |
|
イサキにクロにアジ! |
夜釣 |
中尾様 |
 |
|
11/11 |
| 郷ノ浦 |
壱岐 |
|
イシガキの数釣です! |
夜釣 |
タキイ様 |
 |
|
11/11 |
| 郷ノ浦 |
壱岐 |
|
大型クロです、46cm! |
夜釣 |
御厨様 |
 |
|
11/8 |
| 郷ノ浦 |
壱岐 |
|
良型の真鯛にイサキです! |
夜釣 |
今村様 |
 |
|
11/8 |
| 郷ノ浦 |
壱岐 |
|
良型のイサキです!時化の中お疲れ様でした。 |
日帰 |
山下様 |
 |
|
11/9 |
| 郷ノ浦 |
壱岐 |
|
イシダイにアラにイシガキです! |
夜釣 |
馬込様 |
 |
 |
11/6 |
| 郷ノ浦 |
壱岐 |
|
特大サイズのアジです、46cm、1.2kg!大アジがボチボチ釣れだしましたよ! |
夜釣 |
河村様 |
 |
|
11/5 |
| 郷ノ浦 |
壱岐 |
|
クロ46cm,1.7kg!イサキもアジもデカいです! |
夜釣 |
一ノ瀬・川畑様 |
 |
|
11/4 |
| 郷ノ浦 |
壱岐 |
|
クロ、イサキでクーラー満タンです! |
夜釣 |
松藤・荒駒様 |
 |
|
11/4 |
| 郷ノ浦 |
壱岐 |
|
40クラスのイサキです! |
夜釣 |
大河内様 |
 |
|
11/4 |
| 郷ノ浦 |
壱岐 |
|
大型クロ47cmお見事! |
夜釣 |
松藤様 |
 |
|
11/4 |
| 郷ノ浦 |
壱岐 |
|
大型クロ46cm、アジも大型です! |
夜釣 |
坂本様 |
 |
|
11/4 |
| 郷ノ浦 |
壱岐 |
|
小アラにイシガキです! |
夜釣 |
亀田様 |
 |
|
11/4 |
| 郷ノ浦 |
壱岐 |
|
イシダイにイシガキです! |
夜釣 |
葛西様 |
 |
|
11/4 |
| 郷ノ浦 |
壱岐 |
|
アラ釣れとります! |
夜釣 |
矢山様 |
 |
|
11/3 |
| 郷ノ浦 |
壱岐 |
|
良型のクロ40cm頭に数釣れてます! |
日帰 |
寒川様 |
 |
|
11/3 |
| 郷ノ浦 |
壱岐 |
|
壱岐の名手田山さん、大型ヒラスに平スズキ8本です!青物いい感じで釣れてますよ! |
日帰 |
田山様 |
 |
 |
10/29 |
| 郷ノ浦 |
壱岐 |
|
大型アラを見事釣られてます! |
夜釣 |
泉様 |
 |
|
10/29 |
| 郷ノ浦 |
壱岐 |
|
真鯛にイサキ、クロ、アコウです! |
夜釣 |
岩本・松藤様 |
 |
|
10/22 |
| 郷ノ浦 |
壱岐 |
|
真鯛、40cmイサキ大型です! |
夜釣 |
西様 |
 |
|
10/22 |
| 郷ノ浦 |
壱岐 |
|
大型真鯛にイサキ、クロ好釣果です! |
夜釣 |
御厨様 |
 |
 |
10/21 |
| 郷ノ浦 |
壱岐 |
|
良型イサキ数釣れてます! |
夜釣 |
長野様 |
 |
|
10/21 |
| 郷ノ浦 |
壱岐 |
|
昼間の釣果です、イサキ40cm、クロ クーラー2個満タンですよ!流石です! |
日帰 |
寒川様 |
|
|
10/20 |
| 郷ノ浦 |
壱岐 |
|
大型ヒラスに平スズキ!平スズキ条件がそろえば数も型も期待できます! |
日帰 |
吉武・本田様 |
 |
 |
10/20 |
| 郷ノ浦 |
壱岐 |
|
大型クロ45cmクラスが爆釣です! 大型クロが多数釣れてますよ、小アラも釣れてます! |
夜釣 |
松藤・山本様 |
 |
 |
10/15 |
| |
|
|
|
|
|
 |
 |
|
| 郷ノ浦 |
壱岐 |
|
良い型のクロが数も釣れてますよ! |
日帰 |
長嶋様 |
 |
|
10/14 |
| 郷ノ浦 |
壱岐 |
|
良型イサキです!イサキまだまだ釣れそうです |
夜釣 |
古川様 |
 |
|
10/14 |
| 郷ノ浦 |
壱岐 |
|
良型イサキにクロです! |
夜釣 |
古田様 |
 |
 |
10/14 |
| 郷ノ浦 |
壱岐 |
|
40オーバークロにイサキも良型いますね! |
夜釣 |
林田・梅津様 |
 |
 |
10/14 |
| 郷ノ浦 |
壱岐 |
|
クロ46cm!イサキにクロでクーラー満タンです!好釣果!! |
夜釣 |
武藤・吉開様 |
 |
 |
10/13 |
| 郷ノ浦 |
壱岐 |
|
イシガキにイシダイです!アタリが多くて楽しめたそうです! |
夜釣 |
前川・平川・加野様 |
 |
|
10/13 |
| 郷ノ浦 |
壱岐 |
|
小アラに真鯛、イサキ、好釣果です! |
夜釣 |
小野様 |
 |
|
10/12 |
| 郷ノ浦 |
壱岐 |
|
大型クロ49cmです!45cmも釣れてます、だいぶ大型クロがふえてきましたよ! |
夜釣 |
山本様 |
 |
 |
10/12 |
| 郷ノ浦 |
壱岐 |
|
イサキにクロ、下に3kgクラスの真鯛もいます!クーラーいっぱいの好釣果です! |
夜釣 |
石川様 |
 |
|
10/12 |
| 郷ノ浦 |
壱岐 |
|
良型イサキです!まだ夜のイサキは釣れますよ! |
夜釣 |
大庭様 |
 |
|
10/9 |
| 郷ノ浦 |
壱岐 |
|
ヤズ、アコウ、イサキです! |
夜釣 |
山本・宮脇様 |
 |
 |
10/9 |
| 郷ノ浦 |
壱岐 |
|
ロックフィッシュでアラが釣れてます!エコギアの平岩さん流石です! |
日帰 |
平岩様 |
 |
|
10/8 |
| 郷ノ浦 |
壱岐 |
|
良型クロ、数も釣れてます!最大40cm! |
日帰 |
寒川様 |
 |
|
10/8 |
| 郷ノ浦 |
壱岐 |
|
大型イシダイが釣れてます!アラにイサキも以前好調ですよ! |
夜釣 |
飯地様 |
 |
 |
9/24 |
| 郷ノ浦 |
壱岐 |
|
アラにクロ、イサキ好釣果!型もいいですね! |
日帰 |
山重様 |
 |
|
9/23 |
| 郷ノ浦 |
壱岐 |
|
大型クロもでてますよ!48cm、イサキも釣れてました!流石です! |
夜釣 |
大石様 |
 |
|
9/23 |
| 郷ノ浦 |
壱岐 |
|
アラにイサキです!上物釣りでもアラ連発です! |
夜釣 |
吉峰様 |
 |
|
9/23 |
| 郷ノ浦 |
壱岐 |
|
イサキ、型も数も好調です! |
夜釣 |
松本様 |
 |
|
9/23 |
| 郷ノ浦 |
壱岐 |
|
良型のイサキです! |
夜釣 |
中山様 |
 |
|
9/23 |
| 郷ノ浦 |
壱岐 |
|
アラにイシガキです!好釣果! |
夜釣 |
江口・藤島様 |
 |
|
9/21 |
| 郷ノ浦 |
壱岐 |
|
アラです、良型イサキにクロの数釣りです!
アラは釣れたチャリコに食いついて来たそうです、アラも沢山いそうですね⁉ |
日帰 |
寒川様 |
 |
|
9/21 |
| 郷ノ浦 |
壱岐 |
|
良い型のイサキが爆釣です!クーラーに入りきらなかったみたいですよ! |
夜釣 |
一ノ瀬様 |
 |
|
9/19 |
| 郷ノ浦 |
壱岐 |
|
イサキです!良型も釣れてますね! |
夜釣 |
長野様 |
 |
|
9/18 |
| 郷ノ浦 |
壱岐 |
|
良型真鯛にイサキ、ヤズ、キジハタです! |
日帰 |
平田様 |
 |
|
9/18 |
| 郷ノ浦 |
壱岐 |
|
アラです!小型アラがいい感じで釣れてます! |
夜釣 |
篠崎様 |
 |
|
9/17 |
| 郷ノ浦 |
壱岐 |
|
良型のイサキ大漁です!釣れてますよ! |
夜釣 |
有吉様 |
 |
|
9/16 |
| 郷ノ浦 |
壱岐 |
|
イサキに真鯛ともに良型です! |
夜釣 |
大河内・武田様 |
|
|
9/16 |
| 郷ノ浦 |
壱岐 |
|
イサキにクロです!皆さん釣れてました! |
夜釣 |
友清様 |
|
|
9/16 |
| 郷ノ浦 |
壱岐 |
|
大型イサキ!40cmありますよ! |
夜釣 |
石井様 |
 |
|
8/20 |
| 郷ノ浦 |
壱岐 |
|
良型のイサキがクーラーいっぱいです! |
夜釣 |
徳永様 |
|
|
8/20 |
| 郷ノ浦 |
壱岐 |
|
イサキ釣れてますよ! |
夜釣 |
古川様 |
|
|
8/19 |
| 郷ノ浦 |
壱岐 |
|
イサキにクロです! |
日帰 |
角道・花田様 |
 |
|
8/16 |
| 郷ノ浦 |
壱岐 |
|
良型のイサキにクロで好釣果です! |
夜釣 |
中尾様 |
 |
|
8/15 |
| 郷ノ浦 |
壱岐 |
|
イサキです!好釣果 |
夜釣 |
松原・井山様 |
 |
|
8/5 |
| 郷ノ浦 |
壱岐 |
|
イサキ数釣りです、良型もいますよ! |
夜釣 |
古川様 |
|
|
8/5 |
| 郷ノ浦 |
壱岐 |
|
イサキにアジです! |
夜釣 |
坂本・判田様 |
|
|
8/5 |
| 郷ノ浦 |
壱岐 |
|
上物での大型フエフキです! |
夜釣 |
首藤様 |
 |
|
8/5 |
| 郷ノ浦 |
壱岐 |
|
大型の石鯛とイシガキです!流石です! |
夜釣 |
片原様 |
|
 |
8/4 |
| 郷ノ浦 |
壱岐 |
|
イサキの数釣りです! |
夜釣 |
岡崎様 |
|
|
7/23 |
| 郷ノ浦 |
壱岐 |
|
良型のイサキです!イサキ釣れてますよ! |
夜釣 |
袋野様 |
 |
|
7/22 |
| 郷ノ浦 |
壱岐 |
|
良型の真鯛に大型イサキです! |
夜釣 |
吉福様 |
 |
|
7/21 |
| 郷ノ浦 |
壱岐 |
|
大型イサキにチヌです! |
夜釣 |
一ノ瀬様 |
|
|
7/20 |
| 郷ノ浦 |
壱岐 |
|
イサキ釣れてますよ!好釣果です! |
夜釣 |
釘本様 |
|
|
7/19 |
| 郷ノ浦 |
壱岐 |
|
良型のイサキです!900gで40近くあります! |
日帰 |
平田様 |
 |
|
7/17 |
| 郷ノ浦 |
壱岐 |
|
大型石鯛です!65cm見事です! |
夜釣 |
飯地様 |
|
 |
7/16 |
| 郷ノ浦 |
壱岐 |
|
良型のイサキにアコウ、アラカブです! |
夜釣 |
首藤様 |
|
|
7/15 |
| 郷ノ浦 |
壱岐 |
|
イサキの数釣りです!真鯛のアタリもあったそうですよ! |
夜釣 |
中尾様 |
|
|
7/15 |
| 郷ノ浦 |
壱岐 |
|
良型のイサキです!イサキ 釣れてますよ! |
夜釣 |
古賀様 |
|
|
7/13 |
| 郷ノ浦 |
壱岐 |
|
捌いてて見にくいですけど、イサキ!型も数もいい感じで釣れてます! |
夜釣 |
西村・徳永様 |
|
|
7/10 |
| 郷ノ浦 |
壱岐 |
|
大型のマアジです!40cm! |
日帰 |
|
|
|
7/10 |
| 郷ノ浦 |
壱岐 |
|
平スズキに真鯛、イサキ!時化の中お疲れ様でした! |
夜釣 |
大河内様 |
|
|
7/9 |
| 郷ノ浦 |
壱岐 |
|
真鯛にクロ、イサキ大型ばかりです! |
夜釣 |
大河内様 |
|
|
6/24 |
| 郷ノ浦 |
壱岐 |
|
イサキが数釣れてます!その他クロにアジ! |
夜釣 |
中尾様 |
|
|
6/24 |
| 郷ノ浦 |
壱岐 |
|
良型の真鯛に大型イサキです! |
日帰 |
平田様 |
|
|
6/22 |
| 郷ノ浦 |
壱岐 |
|
大型イサキ爆釣です!お見事! |
夜釣 |
川村様 |
|
|
6/18 |
| 郷ノ浦 |
壱岐 |
|
チヌにアラカブ、クロ!ハトの釣果です! |
夜釣 |
鈴木商店様 |
|
|
6/18 |
| 郷ノ浦 |
壱岐 |
|
五目釣りで大漁です!イサキも大型でした! |
日帰 |
寒川様 |
|
|
6/17 |
| 郷ノ浦 |
壱岐 |
|
見事に大型クロを釣られてます!47cm 1.7kg |
日帰 |
嶋津様 |
|
|
6/16 |
| 郷ノ浦 |
壱岐 |
|
クロ 41cm 1.2kg!イサキにアジです! |
夜釣 |
大河内様 |
|
|
6/10 |
| 郷ノ浦 |
壱岐 |
|
イサキにクロ、アジ時化の中で流石です! |
夜釣 |
友清様 |
|
|
6/10 |
| 郷ノ浦 |
壱岐 |
|
大型真鯛、74cm 4.7kg!! |
日帰 |
古川様 |
|
|
6/10 |
| 郷ノ浦 |
壱岐 |
|
イサキに尾長です!好釣果です! |
夜釣 |
吉福様 |
|
|
6/9 |
| 郷ノ浦 |
壱岐 |
|
真鯛に大型イサキ、アコウです!ジグの釣果! |
日帰 |
平田様 |
 |
|
6/8 |
| 郷ノ浦 |
壱岐 |
|
イサキがいい感じで釣れてますよ!大きいのは40cm超えてます!夜中だけの釣果です! |
夜釣 |
佐藤様 |
 |
|
6/4 |
| 郷ノ浦 |
壱岐 |
|
イサキ爆釣です!大型から中型で数つれてます! まるまる太って油乗ってますよ! |
夜釣 |
保坂・橋本様 |
 |
 |
6/3 |
| 郷ノ浦 |
壱岐 |
|
イサキ釣れてますよ!大型ばかりですね! |
夜釣 |
中山様 |
 |
|
6/3 |
| 郷ノ浦 |
壱岐 |
|
大型のクロです、40オーバーです! |
夜釣 |
大河内様 |
 |
|
6/3 |
| 郷ノ浦 |
壱岐 |
|
大型クロ、44cmに40オーバーを数枚釣られてます!イサキも大型でアラも釣れてますよ! |
夜釣 |
一ノ瀬様 |
 |
|
6/2 |
| 郷ノ浦 |
壱岐 |
|
良型の真鯛にイサキ、クロです! |
夜釣 |
武藤様 |
 |
 |
6/2 |
| 郷ノ浦 |
壱岐 |
|
大型の尾長です!42cm、1.2kg! |
日帰 |
松隈様 |
 |
|
5/27 |
| 郷ノ浦 |
壱岐 |
|
アラにブリです! |
日帰 |
平田様 |
 |
|
5/14 |
| 郷ノ浦 |
壱岐 |
|
イサキにチヌ、フエフキです!時化の中での釣果です!イサキ良型ですね! |
夜釣 |
大河内・御厨様 |
 |
|
5/6 |
| 郷ノ浦 |
壱岐 |
|
良型のイサキです!なかなか写真撮れてませんが他のお客様もクロ、チヌ釣れてますよ! |
日帰 |
中尾様 |
 |
|
5/1 |
| 郷ノ浦 |
壱岐 |
|
大型真鯛が釣れてますよ!81cm 流石です! |
夜釣 |
飯塚様 |
 |
|
4/30 |
| 郷ノ浦 |
壱岐 |
|
良型の真鯛にチヌです!他にも色々釣れてました、メバルが大型でしたね! |
夜釣 |
泉・平田様 |
 |
|
4/29 |
| 郷ノ浦 |
壱岐 |
|
クロ、ヒラス、イサキ、チヌ大漁です! |
夜釣 |
御厨様 |
 |
|
4/28 |
| 郷ノ浦 |
壱岐 |
|
大型平スズキ80オーバー!数もリリース分を含めると16本位釣れたそうです!あとブリです! |
日帰 |
山口様 |
|
 |
4/25 |
| 郷ノ浦 |
壱岐 |
|
皆さん爆釣してました、大型もいますね! |
夜釣 |
直方荒磯様 |
 |
|
4/22 |
| 郷ノ浦 |
壱岐 |
|
大型真鯛77cm!狙いどうりでしたね! |
夜釣 |
武田様 |
 |
|
4/22 |
| 郷ノ浦 |
壱岐 |
|
良型クロ、イサキも釣れてます! |
夜釣 |
松江様 |
 |
 |
4/22 |
| 郷ノ浦 |
壱岐 |
|
チヌ釣れてますよ!好釣果です! |
夜釣 |
藤原様 |
 |
|
4/22 |
| 郷ノ浦 |
壱岐 |
|
40cmオーバーのクロに55cmチヌ、大イサキ!クーラーいっぱいです! |
夜釣 |
一ノ瀬様 |
 |
|
4/21 |
| 郷ノ浦 |
壱岐 |
|
特大の真鯛です!他のサンバソウ、真鯛も良型ですよ! |
日帰 |
伊豆丸様 |
 |
 |
4/21 |
| 郷ノ浦 |
壱岐 |
|
イサキにチヌ大漁です!いい感じで釣れてます |
夜釣 |
吉開様 |
 |
 |
4/21 |
| 郷ノ浦 |
壱岐 |
|
イサキ釣れてます!昼夜共に釣れたそうです。 |
夜釣 |
長野様 |
 |
|
4/21 |
| 郷ノ浦 |
壱岐 |
|
見にくいですけど、クロ、イサキ、チヌ大漁! |
夜釣 |
那須様 |
 |
|
4/21 |
| 郷ノ浦 |
壱岐 |
|
イサキ40オーバーにチヌ、クロ好釣果です! |
夜釣 |
岩本・松藤様 |
 |
|
4/20 |
| 郷ノ浦 |
壱岐 |
|
大型イサキにチヌ!チヌも大型です! |
日帰 |
増田・平田様 |
|
|
4/18 |
| 郷ノ浦 |
壱岐 |
|
大型イサキ40cmオーバーですよ!クロにチヌもいい感じで釣れてます! |
日帰 |
松本様 |
 |
|
4/16 |
| 郷ノ浦 |
壱岐 |
|
良型のイサキにチヌ、クロ好釣果です! |
日帰 |
白川様 |
 |
 |
4/15 |
| 郷ノ浦 |
壱岐 |
|
平スズキ、好調ですよ!春は数釣れます! |
日帰 |
|
 |
|
4/15 |
| 郷ノ浦 |
壱岐 |
|
大型チヌにクロ、魚は釣れますけど時化ばかりですね~ |
夜釣 |
大賀様 |
 |
|
4/13 |
| 郷ノ浦 |
壱岐 |
|
チヌに平スズキです!時化の中での好釣果! |
夜釣 |
木村様 |
 |
 |
4/8 |
| 郷ノ浦 |
壱岐 |
|
特大の真鯛です!90cm、10kg昼間にこのサイズです!真鯛を狙うなら今からですよ! |
日帰 |
柳原様 |
 |
|
4/4 |
| 郷ノ浦 |
壱岐 |
|
クロ、アラカブ、チヌお土産はできてます! |
夜釣 |
籐・釘本様 |
 |
|
4/2 |
| 郷ノ浦 |
壱岐 |
|
ノッコミチヌ釣れてますよ!大型もいます! |
夜釣 |
持丸・中村・佐々木様 |
 |
 |
4/2 |
| 郷ノ浦 |
壱岐 |
|
大型チヌ51cm2.1kg!リリースもかなりしたみたいですよ! |
日帰 |
松本様 |
 |
|
4/2 |
| 郷ノ浦 |
壱岐 |
|
良型桜鯛!沖防の真鯛が釣れだしましたよ!昼でも夜でも狙えます! |
夜釣 |
田中様 |
 |
|
3/31 |
| 郷ノ浦 |
壱岐 |
|
大型クロ48cm、1.8㎏に大型チヌでクーラーいっぱい、好釣果です! |
日帰 |
篠崎様 |
 |
|
3/29 |
| 郷ノ浦 |
壱岐 |
|
大型クロ46cm,2匹40オーバー数枚です! |
夜釣 |
松藤様 |
 |
|
3/29 |
| 郷ノ浦 |
壱岐 |
|
大型チヌ50cm、2.1kg!クロも良型です! |
夜釣 |
高田様 |
 |
|
3/29 |
| 郷ノ浦 |
壱岐 |
|
今日もデカ真鯛釣れてますよ!80cm昼夜ともに真鯛期待できますよ! |
夜釣 |
御厨様 |
 |
|
3/27 |
| 郷ノ浦 |
壱岐 |
|
大型のチヌです!好釣果です! |
夜釣 |
一ノ瀬・大河内様 |
 |
|
3/25 |
| 郷ノ浦 |
壱岐 |
|
良型真鯛です!今から数も釣れだしますよ! |
夜釣 |
大西様 |
 |
|
3/25 |
| 郷ノ浦 |
壱岐 |
|
真鯛にチヌ、チヌのノッコミいよいよですよ! |
夜釣 |
川畑様 |
 |
|
3/25 |
| 郷ノ浦 |
壱岐 |
|
大型のアジとクロ、チヌです! |
夜釣 |
山本・宮脇様 |
 |
|
3/25 |
| 郷ノ浦 |
壱岐 |
|
毎年恒例の寒川さんの大鯛です!78cm、6.7kg綺麗なサクラ鯛です! |
日帰 |
寒川様 |
 |
|
3/24 |
| 郷ノ浦 |
壱岐 |
|
良型クロ40cmクラスにチヌ!チヌも釣れだしました! |
夜釣 |
前田様 |
 |
|
3/24 |
| 郷ノ浦 |
壱岐 |
|
真鯛!大型です75cm、5kg! |
日帰 |
平田様 |
 |
|
3/23 |
| 郷ノ浦 |
壱岐 |
|
大アジにクロが釣れてます! |
夜釣 |
大賀様 |
 |
|
3/14 |
| 郷ノ浦 |
壱岐 |
|
クロの数釣りです! |
夜釣 |
山本様 |
 |
|
3/14 |
| 郷ノ浦 |
壱岐 |
|
大型クロ1.4kg!キロオーバーばかりです! |
日帰 |
田中様 |
 |
|
3/12 |
| 郷ノ浦 |
壱岐 |
|
大アジ40cmクラスです!クロにチヌ好釣です! |
夜釣 |
大庭・山本様 |
 |
|
3/12 |
| 郷ノ浦 |
壱岐 |
|
平スズキ86cm‼体高もあって見事なサイズです! |
夜釣 |
溝辺様 |
 |
|
3/11 |
| 郷ノ浦 |
壱岐 |
|
良型クロ40cm,アラカブもデカいですね! |
夜釣 |
吉開様 |
|
|
3/11 |
| 郷ノ浦 |
壱岐 |
|
良型クロ40オーバーに真鯛、チヌ好釣果です! |
日帰 |
杉原様 |
|
|
3/10 |
| 郷ノ浦 |
壱岐 |
|
クロ50㎝に49㎝!大型で数もでてますよ! |
日帰 |
牟田崎様 |
|
|
3/4 |
| 郷ノ浦 |
壱岐 |
|
田中先生40後半3枚です! |
日帰 |
田中様 |
 |
|
3/4 |
| 郷ノ浦 |
壱岐 |
|
クロ!大型釣れてます!! |
日帰 |
久保様 |
|
|
3/4 |
| 郷ノ浦 |
壱岐 |
|
大型クロに真鯛、40cm級のアジも釣れてます! |
夜釣 |
松隈様 |
|
|
3/4 |
| 郷ノ浦 |
壱岐 |
|
爆釣です!48cmを頭に大漁です、クーラーに入らずバッカンにも!地元の長文さんです! |
日帰 |
長嶋様 |
 |
|
3/3 |
| 郷ノ浦 |
壱岐 |
|
大型クロを数枚、釣られてました!好釣果です! |
日帰 |
山口様 |
 |
|
3/3 |
| 郷ノ浦 |
壱岐 |
|
ヒラスに真鯛、大型アコウです! |
日帰 |
平田様 |
 |
|
3/3 |
| 郷ノ浦 |
壱岐 |
|
大型クロ51cmに47cm‼今シーズン2回目の50オーバー、流石です! |
日帰 |
結城様 |
|
|
3/2 |
| 郷ノ浦 |
壱岐 |
|
クロ46cmにアジ40~30cm真鯛も好調です! |
日帰 |
御厨様 |
|
|
2/27 |
| 郷ノ浦 |
壱岐 |
|
大型クロの大爆釣です!48cmを頭に40オーバーだけでも10数枚釣られてます! |
日帰 |
松本様 |
|
|
2/25 |
| 郷ノ浦 |
壱岐 |
|
短時間で46cm,44cmのクロを釣られてます! |
日帰 |
田中様 |
 |
|
2/25 |
| 郷ノ浦 |
壱岐 |
|
大型クロ40オーバーを数枚釣ってます! |
日帰 |
山川様 |
 |
|
2/25 |
| 郷ノ浦 |
壱岐 |
|
大型クロ3枚に40cmのアジもつれてました! |
夜釣 |
井上様 |
 |
|
2/25 |
| 郷ノ浦 |
壱岐 |
|
大型クロにチヌ好釣果です! |
夜釣 |
大河内様 |
|
|
2/25 |
| 郷ノ浦 |
壱岐 |
|
良型アジに40オーバーのクロ! |
夜釣 |
松藤様 |
|
|
2/25 |
| 郷ノ浦 |
壱岐 |
|
今週も大型を釣ってます、クロ40オーバー! |
日帰 |
竹松様 |
 |
|
2/24 |
| 郷ノ浦 |
壱岐 |
|
良型の真鯛に良型チヌです! |
日帰 |
長嶋様 |
 |
|
2/24 |
| 郷ノ浦 |
壱岐 |
|
大型真鯛、大漁です!クロも大型でした! |
日帰 |
中田様 |
 |
 |
2/18 |
| 郷ノ浦 |
壱岐 |
|
大型クロ2枚に良型の真鯛です! |
日帰 |
村部様 |
 |
 |
2/18 |
| 郷ノ浦 |
壱岐 |
|
大型クロ47cmに45cm、イサキも釣れてました |
日帰 |
竹松様 |
 |
|
2/17 |
| 郷ノ浦 |
壱岐 |
|
47cm、1.8kg大型クロ! |
日帰 |
前田様 |
 |
|
2/17 |
| 郷ノ浦 |
壱岐 |
|
最大46cm大型クロ、好釣果です! |
夜釣 |
松本様 |
 |
 |
2/17 |
| 郷ノ浦 |
壱岐 |
|
イサキにクロ40cmクラスです。 |
日帰 |
吉福・原口様 |
|
|
2/16 |
| 郷ノ浦 |
壱岐 |
|
良型の真鯛、昼間の釣果です! |
日帰 |
平田様 |
 |
|
2/13 |
| 郷ノ浦 |
壱岐 |
|
ヒラスズキに青物、アタリは沢山会ったそうです |
日帰 |
藤原グループ様 |
 |
|
2/11 |
| 郷ノ浦 |
壱岐 |
|
大型クロ47cmに46cmです。 |
日帰 |
小畑・柳原様 |
 |
 |
2/9 |
| 郷ノ浦 |
壱岐 |
|
真鯛の釣果が上がって来ました! 良型です! |
日帰 |
深見様 |
|
|
2/4 |
| 郷ノ浦 |
壱岐 |
|
大型クロ44cmに41cm良型も釣れてます! |
日帰 |
原口・吉福様 |
 |
 |
2/2 |
| 郷ノ浦 |
壱岐 |
|
大型クロ44cm1.4kgと43cm1.2kg |
日帰 |
松本様 |
 |
|
1/21 |
| 郷ノ浦 |
壱岐 |
|
大型クロ47cm1.6kg |
日帰 |
古賀様 |
|
|
1/20 |
| 郷ノ浦 |
壱岐 |
|
良型のクロ釣りました。 |
日帰 |
結城様 |
 |
|
1/19 |
| 郷ノ浦 |
壱岐 |
|
45cm1.4kgのクロ釣りました。 |
日帰 |
柳原様・山口様 |
 |
|
1/15 |
| 郷ノ浦 |
壱岐 |
|
44cm1.3kgのクロ釣りました。 |
日帰 |
松本様 |
 |
|
1/15 |
| 郷ノ浦 |
壱岐 |
|
45cm 1.5kgnoクロにイサキ真鯛釣りました。 |
夜釣 |
荒川様・米永様 |
 |
|
1/14 |
| 郷ノ浦 |
壱岐 |
|
49cm大型のクロ他40cmオーバー数枚です |
日帰 |
柳原様 |
 |
 |
1/4 |
| 郷ノ浦 |
壱岐 |
|
みごと49cm2kgオーバーのクロ釣りました。 |
日帰 |
植村様 |
 |
|
1/4 |
| 郷ノ浦 |
壱岐 |
|
45cmの大型クロ2枚釣りました。 |
日帰 |
山口様 |
 |
|
1/4 |
| 郷ノ浦 |
壱岐 |
|
40cmオーバーの良型のクロ他 |
日帰 |
白川様 |
 |
|
1/4 |
| 郷ノ浦 |
壱岐 |
|
大型のイサキにヤズ・アカハタ釣りました。 |
日帰 |
結城様 |
 |
|
1/4 |